Steve Bull's Blog, page 1323
September 5, 2017
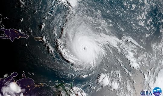
Hurricane Irma Strenghtens To “Extremely Dangerous” Category 5, Eastern Caribbean On Lockdown
Irma has strengthened to an “extremely dangerous” Category 5 hurricane, the National Hurricane Center said in its advisory at 7:45am AST. According to the Hurricane center, NOAA and Air Force hurricane hunter aircraft data indicate Hurricane Irma has intensified into an “extremely dangerous” Category 5 hurricane on the Saffir-Simpson Hurricane Wind Scale with maximum winds of 175 mph (280 km/h) with higher gusts.


Follow
Eric Webb @webberweather
Recon finds surface winds of 152 knots (175 mph) in #Irma‘s right front quadrant. Holy crap.
7:34 AM – Sep 5, 2017
As of this moment, the hurricane is located 270 miles east of Antigua, moving west at 14 mph. States of emergency were declared in Puerto Rico, the U.S. Virgin Islands and all of Florida while people on various Caribbean islands boarded up homes and rushed to find last-minute supplies, forming long lines outside supermarkets and gas stations. This morning the Dominican Republic has issued a Hurricane Watch from Cabo Engano to northern border with Haiti; Tropical Storm Watch from south of Cabo Engao to Isla Saona.

Follow
HurricaneTracker App @hurrtrackerapp
BREAKING: Hurricane #Irma is the first Category 5 storm of the 2017 Atlantic season. Winds are at 175 mph. This is a very dangerous storm!
7:47 AM – Sep 5, 2017
According to meteorologists, Irma is the 17th hurricane in the Atlantic on record to have max winds >= 175 mph. Atlantic max wind record is Allen (1980) at 190 mph.
Ultimately, the question is how strong Irma will be when it inevitably makes landfall on the Eastern Seaboard, somewhere in the vicinity of Miami.
Meanwhile, officials across the northeastern Caribbean canceled airline flights, shuttered schools and urged people to hunker down indoors as Hurricane Irma barreled toward the region, now as an “extremely powerful” Category 5 storm. Irma’s maximum sustained winds increased to near 175 mph early Tuesday.
…click on the above link to read the rest of the article…
Sustainable Uses of Food Waste
SUSTAINABLE USES OF FOOD WASTE
Food waste is considered by many people as non-useful materials. It is harmful to the environment. Greenhouse gases are released as by-products of food waste and these warm the environment, causing imaginable negative environmental impacts such as sea level rise and floods. Wasted food items are also harmful to humans. It can cause illnesses such as meningitis and foot disease if human beings come in contact with it. In general, the issues of food waste constitute a burden to people and the society. It also creates financial losses to food waste producers.
It is noteworthy that waste hardly exists in theory. When waste is produced, in essence, it means that some of the resources (such as energy, chemicals, and labour) that were used to produce the wasted product had been given off or wasted.
A lot of people are making huge efforts to eliminate food waste. However, wasteful practices seem to be inevitable in today’s world. A promising and long-lasting solution to food waste is for it to be turned into useful items and reused, thereby averting it from getting to landfill.In today’s world, it is possible to make good use of food waste by turning it into resources. And below are a few things we can do sustainably with food waste.
Hunger: A significant proportion of food waste comes from food items in good conditions that were not used before their expiry dates. As health and safety require that expired food items be discarded, such unconsumed food items are sometimes sent to landfill sites. However, instead of sending the waste to landfill, an environmentally friendly way of dealing with food items that are in a good condition is to donate them to food banks or charities prior to their expiry dates. This measure is increasingly being used by supermarkets in developed countries to alleviate hunger in the society.
…click on the above link to read the rest of the article…
Green Beret Warns: “Skepticism Will Vanish When The Power Suddenly Fails Across the United States”
It should be obvious, now, even to the most vocal and acetic naysayers that no matter how much they try to declare that nothing will happen regarding North Korea, they’re wrong. It is happening, as we speak, and the buildup reached a high octave with North Korea’s sixth nuclear detonation, one that experts are saying was between 100 to 120 kilotons. This detonation occurred in North Korea’s test facility on Sunday, and North Korean news stated that it was a hydrogen bomb. Here’s a Wall Street Journalarticle excerpt:
“In a televised statement, North Korea described the underground explosion, which triggered a large earthquake, as a “perfect success in the test of a hydrogen bomb for an ICBM.” Pyongyang said, “the creditability of the operation of the nuclear warhead is fully guaranteed.” The test came just hours after leader Kim Jong Un showed off what he described as a hydrogen bomb capable of being mounted on an intercontinental ballistic missile.”
Now, the Western Consumer Marketing/Euro Arrogance-Confidence News Networks and Politicos all decried North Korea’s capabilities for years. The news-twisters and politicos still only begrudgingly admit what recognized experts have been jumping up and down to warn the public about for years, namely this:
That North Korea does indeed possess nuclear weapons
North Korea does have ICBM’s capable of delivering a nuclear warhead
North Korea possesses the technology and the ability to deploy an EMP (Electromagnetic Pulse) weapon
Submarine-Launched Ballistic Missiles (SLBM’s) are in North Korea’s arsenal
Two satellites (Kwangmyongsang-3 and Kwangmyongsang-4) are currently orbiting the earth, and each satellite passes over the United States several times per day
The possibility exists that the satellites are carrying/have been fitted with an EMP weapon
The central focus of North Korea’s strategic doctrine regarding nuclear war is geared toward an EMP strike
…click on the above link to read the rest of the article…
What Will Markets Do if Congress Pushes US into Default? And “Trump Nationalism” Faces the Globalist System
Here I am with radio host Jim Goddard on This Week in Money, holding forth on the chances that Congress won’t raise the debt ceiling in time and will push the US into default — if it does, “curl up into a fetal position and wait till the dust settles.”
And Jim asked if “Trump nationalism” would be better than the globalist system in place now. Better for whom? And what are the forces lined up against him on this? Sparks fly.
This is how monetary policies have crushed the value of labor. Read… The US Cities with the Biggest Housing Bubbles
A War With North Korea Could Send Oil Prices Skyrocketing

An open military conflict in Northern Asia would disrupt more than a third of global seaborne crude oil trade, Wood Mackenzie warned last week amid yet another escalation between North Korea, its neighbors, and the U.S.
Such a conflict would cripple North Asia’s production and refining capacity, the consultancy said. Some 65 percent of Asia’s crude oil refining capacity is located in China, Japan, and South Korea, so the effects of an open war would be far-reaching and potentially long-lasting. The most pressing question, then, is how likely such an open conflict is.
Pyongyang seems determined to expand its military capabilities with intercontinental ballistic missiles that can carry a nuclear head. State media claim that the nuclear head is a fact, releasing a photo featuring the country’s leader Kim Jong Un inspecting said weapon. After a quick succession of ballistic missile tests over the last couple of months that put South Korea, Japan, and the U.S. on red alert, more nuclear talk from Pyongyang is exactly what the world does not need. Yet it is what we are getting.
Talk is not enough to tip the region into a war—possibly even a nuclear war—but it serves to heighten the pressure, and decisions made under pressure are seldom the wisest. Analysts seem to be divided as to the most probable course the events would take.
A recent analysis by SBS News’ Kelsey Munro looks into the two basic scenarios: accept a nuclear North Korea, or prevent it from becoming nuclear as soon as possible. Geopolitics experts seem to be split on which scenario is the more sensible one to follow.
…click on the above link to read the rest of the article…
Walking on Lava
This week we’re excited to announce the official launch of Walking on Lava: Selected Works for Uncivilised Times. A one-volume introduction to Dark Mountain containing forty pieces selected from our first ten issues, Walking on Lava is published by Chelsea Green and available through bookshops or through our online shop.
Over the next two weeks, we’ll be running a series of excerpts from the book, starting today with the editorial.
Uncentring Our Minds
An Introduction to This Book
Uncivilisation, the manifesto that launched the Dark Mountain Project, was written in the autumn of 2008, at a time of global crisis and collapse. A firestorm was blowing through the world’s financial system, and for a while it was unclear how much of the world would be left standing when it ended. This book was assembled eight years later, at the end of 2016 – a year in which it was the turn of the West’s political systems to feel the force of a storm blowing through history, upending expectations as it passed through.
The timing, in both cases, seems fitting. Dark Mountain was created by two English writers who felt that writing was not doing its job. In a world in which the climate itself was being changed by human activities; in which global ecosystems were dying back before the human advance; and in which the dominant economic and cultural assumptions of the West were clearly beginning to crumble, that little manifesto – 20 pages long, hand-stitched, bound in red paper – asked a simple question: where are the writers, and the artists? Why were the novels, the films, the music, the cultural forms that passed for ‘mainstream’ in our society still behaving as if it were the 20th century – or even the 19th?
…click on the above link to read the rest of the article…
The Trouble with Asset Bubbles: If You Stop Pumping, They Pop
The idea that authorities can massage their pumping to keep asset bubbles inflated at a permanently high plateau is currently being tested.
The trouble with inflating asset bubbles is that you have to keep inflating them or they pop. Unfortunately for the bubble-blowing central banks, asset bubbles are a double-bind: you cannot inflate assets forever. At some unpredictable point, the risk and moral hazard that are part and parcel of all asset bubbles trigger an avalanche of selling that pops the bubble.
This is another facet of The Fed’s Double-Bind: if you stop pumping asset bubbles, they pop as participants realize the music has stopped, and if you keep pumping them, they expand to super-nova criticality and implode.
There are several dynamics at play in this double-bind.
1. The process of inflating a bubble (for example, the current bubbles in stocks and real estate) requires pushing investors and speculators alike into risky asset classes. This puts the market at increasing risk as everyone is pushed to one side of the boat.
2. Those on the other side of the boat (i.e. shorts) are slowly but surely eradicated as the pumping keeps inflating the bubble. When the bubble finally bursts, there are no shorts left to cover, i.e. buy stocks at lower prices to reap their profits.
3. As the bubble continues to expand, the money available to enter the market and keep prices rising declines. The very success of the pumping process strips the markets of new sources of new money, leading to a point where normal selling exceeds new-money buying and the bubble collapses.
…click on the above link to read the rest of the article…
BofA: Even The Bubbles Are Becoming More “Bubbly” Thanks To Central Banks
Back in June, Citi’s credit strategist Hans Lorenzen pointed out that while QE had failed to spark inflation across the broader economy, it had achieved something else: “the principal transmission channel to the real economy has been… lifting asset prices.” That however has required continuous CB balance sheet growth, and with the Fed, ECB and BOJ all poised to “renormalize” over the next year, the global monetary impulse is set to turn negative in the coming year. Meanwhile, as financial markets scramble to maximize every last ounce of what central bank impulse remains, we get such bubbles as London real estate, bitcoin and vintage cars, or as Citi puts it: “the wealth effect is stretching farther and farther afield.”
Three months later, the latest to tackle the issue of central bank bubble creation, is BofA’s Barnaby Martin, who in a note released overnight asks rhetorically “are bubbles becoming more “bubbly”?
Just like Lorenzen, Martin observes the blanket central bank “lower for longer” rates intervention, which leads to “speculative behavior in assets.” Well, technically, Martin hedges by calling it a “risk”, but one look at the chart above and below shows that the bubbles created by central banks are all too real. And as Martin, whose topic is the unprecedented buying spree across credit, notes it’s not just credit markets that are seeing exceptional investor demand at this point in the cycle: so is everything else, or as he puts it:
“As chart 3, over the page shows, asset bubbles seem to be becoming more “bubbly” as time goes by.”
…click on the above link to read the rest of the article…
Telecoms Knew About Spying Loophole for Decades, Did Nothing
Issues with the SS7 network only really entered the public consciousness a few years ago. But the telecom community has known about the issues for a lot longer.

PHOTO ILLUSTRATION BY SARAH ROGERS/THE DAILY BEAST
Spies and hackers are actively exploiting a backbone of how mobile phones communicate—and telecoms have known about it for 19 years.
By targeting a network and set of related protocol known as SS7, for-profit surveillance companies and financially motivated criminals can track phones across the planet, or intercept calls and text messages.
In recent years, security researchers and the media have highlighted these problems, with one news outlet even eavesdropping on the calls of Congressman Ted Lieu to demonstrate the vulnerabilities. Despite high-profile coverage, generally the problems in SS7 persist.
But at least some members of the telecom community have known about the serious security issues in SS7 for nearly two decades, according to a document reviewed by The Daily Beast. The news highlights the snail’s pace at which the industry has addressed glaring holes in the world’s mobile infrastructure, leaving U.S. citizens and others around the world open to spying.
“There is no adequate security in SS7. Mobile operators’ needs [sic] to protect themselves from attack by hackers and inadvertent action that could stop a network or networks operating correctly,” a recently unearthed, 1998 document from the European Telecommunications Standards Institute (ETSI) reads.
ETSI is a nonprofit organization that today has over 800 members from the telecom industry, including giants such as T-Mobile, Vodafone, and Orange. ETSI developed versions of SS7 for the European market, organization spokesperson Claire Boyer told The Daily Beast. The document itself is a report from a meeting of ETSI’s “Special Mobile Group.”
The 1998 document adds that “the problem with the current SS7 system is that messages can be altered and injected into the global SS7 networks in an un-controlled manner.”
…click on the above link to read the rest of the article…
Hurricane Irma Projected To Reach Category 5 And Hit The East Coast – Panic Prepping Begins In Florida
On Monday, Hurricane Irma strengthened into a category 4 hurricane, and some meteorologists are projecting that it will eventually become a category 5 storm before it eventually makes landfall in the United States. And since a “category 6” has not been created yet, category 5 is as high as the scale goes at the moment. Over the past couple of days, the track of the storm has shifted “a lot further to the west”, and at this point it appears that Miami is the most likely to take the full force of the hurricane. But as we have seen, trying to forecast the behavior of hurricanes is not an exact science. Irma may never become a category 5 storm, and it may never hit the U.S. at all. Or it may zip past Florida to the south and end up making landfall in the Gulf of Mexico. The truth is that we just don’t know.
But for the moment things are not looking good for Florida, and a state of emergency has already been declared for every single county in the state…
On Monday afternoon, Florida Gov. Rick Scott declared a state of emergency for every county in Florida in anticipation of Irma. A state of emergency was also declared in Puerto Rico earlier in the day.
Another scenario still on the table is that Irma curve northward and miss the East Coast entirely. This would still generate large surf and rip currents along the East Coast. However, this scenario is the least likely to occur at this point.
And as I mentioned above, many are projecting that Irma will become a category 5 storm just a few days from now. The following comes from the Express…
…click on the above link to read the rest of the article…