Nancy J. Cohen's Blog: Nancy's Notes from Florida, page 102
August 31, 2012
How Can Readers Help Authors?
If you’re an avid reader, no doubt you’d like to encourage your favorite authors to keep writing. What can you, as a consumer, do for the writer who bares her soul to you in each story? Beyond buying her latest title, is there more?
You betcha! Here are some things you can do on your end that will be appreciated.
Write customer reviews of author’s books on Amazon, Barnes and Noble, Goodreads, Shelfari, and Library Thing.
Add author’s book to your Wish List on Amazon.
Search for author’s website, author name, and book titles periodically to raise their rank in search engines.
Bookmark or add to Favorites the author’s online sites.
Like author’s Facebook page; Share and comment on her Facebook posts.
Retweet author’s Twitter updates; Mention author and her books on Twitter.
Like and Tag author’s Amazon author page as well as each book title and edition.
Share author’s newsletter with your friends.
Recommend author’s books online on various reader forums.
Create a Listmania list on Amazon and add author’s books.
Look for good reviews of author’s book and click Yes to “Was this review helpful to you?”
Follow author’s blog tours and leave comments.
Repin author’s photos on Pinterest. Go to online bookseller and Pin author’s book covers into one of your albums.
Offer to hand out bookmarks for author.
Initiate a Street Team of fans to spread the word about author’s works.
If you live in the same region, suggest the author as a speaker to various groups.
Buy the author’s latest book or ask your librarian to order it and put your name on the wait list.
<><><>
Anything you can do will help, especially in this era of viral content. Word of mouth still has the most clout. So share your pleasure in the author’s writing and make her job easier so she can concentrate on writing the next book.


August 25, 2012
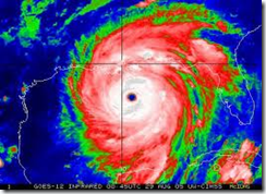
Hurricane Prep List
A Tropical Storm Warning has been posted for Broward County, and this means we should make preparations for damaging winds just in case. Flooding and water contamination can occur with heavy rains as well, so it’s time to share my annual list. Here’s hoping everyone stays safe!
HURRICANE PREPARATION
1. Buy bags of ice. Put on lower shelves in freezer, and later in fridge if power is out, so melting ice doesn’t flood the interior. Or freeze water in plastic containers ahead of time to help keep food cool. Turn fridge to colder setting ahead of storm.
2. Buy bottled water and fruit juices; sports drinks if you like them. Fill unused plastic pitchers at home with tap water and refrigerate for drinking.
3. Have enough snack foods in stock. Fruits that keeps well: grapes, apples, bananas. Buy bread for peanut butter and jelly sandwiches.
4. Cook and eat perishable foods. Hard boil your eggs, and make sure you cook dinner early in case the power goes out.
5. Consider boarding your pet at a kennel or make plans to have a secure place for the pooch and enough supplies.
6. Backup important computer files. Send an email to yourself at another online address or to an out of state relative or friend with your important data files attached.
7. Bring in all loose objects from outside.
8. Do the laundry.
9. Perform personal grooming essentials. It’s hard to shave and wash hair with no lights, and the water might get contaminated.
10. Fill gas tank in car.
11. Get extra cash to have on hand. ATM’s won’t work in a power failure.
12. Pay bills.
13. Charge cell phone and other portable electronic gadgets.
14. Prepare list of repairmen and tree trimmers who might be needed.
16. Buy hand sanitizer and moist wipes in case the water is contaminated.
17. Have paper plates and cups on hand along with plastic utensils and paper towels.
18. Stock up on trash bags to clear away debris.
19. Place a flashlight or battery-run lantern in each room. Buy extra batteries, cooking fuel if necessary, duct tape, and a roll of plastic sheeting. Candles can be a fire hazard and they don’t provide enough light to read by in the dark.
20. Put insurance papers and other important documents into a plastic bag for quick departure or store copies in a separate location.
21. Eat all the ice cream in your freezer!
Watch the weather reports at:
National Hurricane Center: http://www.nhc.noaa.gov/
Navy Tropical Cyclone Page: http://www.nrlmry.navy.mil/TC.html
National Weather Service, Miami: http://www.srh.noaa.gov/mfl/
The Weather Channel: http://www.weather.com/
Broward County Hurricane Page: http://www.broward.org/hurricane/Pages/Default.aspx


August 22, 2012
The Wrap Scene
You’re approaching the end of your book. Do you finish in a spate of action, or do you have your characters meet in a quiet scene where they reflect on what’s occurred? In a romance, these last pages are where the hero proposes and the main characters profess their love for each other. In a mystery, this scene serves a different purpose. It’s where all loose ends are tied up and final explanations for the crime come to light. Use the following steps as a guideline for your own work.
The authorities reveal information they previously couldn’t discuss.
In the course of an investigation, the police/detectives/federal agents cannot reveal all that they know. But once the killer is in custody, they can explain the rationale that led them to determining the murderer’s identity. In my Bad Hair Day mysteries, hairstylist Marla Vail is married to a homicide detective. Her husband Dalton may discuss some aspects of the crime with her earlier on, but much of what he learns cannot come out until later. Marla follows a different path to targeting the killer. This final scene may show them exchanging information on how each one arrived at the same conclusion but from a different angle.
The villain’s means, motives, and opportunity are confirmed.
What drove the villain to commit the crime? How did he do it? Very likely, in the previous chapter, the hero confronted the killer, who may have confessed. But here is where you can fill in the sordid details and psychological aspects of the crime.
The survivors are not forgotten.
Even if you’re writing a light cozy mystery, the murder affects people. What happens to the victim’s family? How about the killer’s close relations? Two sets of tragedies occur here. What are the ramifications for these people?
What has my character learned?
This is perhaps the most important item. Your main character, the amateur sleuth, has been affected by these events in some way. What has she learned from this experience? How have the people around her changed? How does this sequence of events change her plans for the future?
Set up for the sequel.
Has a new person been introduced into your universe who may play a larger role next time? Is there an unsolved mystery that’s part of a bigger story arc? Or does your main character receive a call to action that he has to accept? Here is where you can drop a hint of what’s to come.
Revisit old friends.
This final scene might take place between your main characters alone, or among recurrent characters whom your readers have come to regard as friends. This decision will arise from your setting and from the people who’ve peppered your story. Genre expectations may play a role here, too. In a romance, usually the hero and heroine are focused on each other at the end. Anything goes in a mystery, thriller, or sci-fi/fantasy, but make sure the ending has emotional impact no matter which characters it includes.
Frame the story.
If you began your story with a particular setting, you may want to return there for your final scene. This gives your book a sense of completeness. It also resonates with readers.
<><><>
It’s hard to remember everything that’s happened in the story when you write the first draft of this scene. No doubt you’ll add more later during self-edits. It helps to write down all the loose ends when you do a thorough read-through. Then you can check off each item as it’s answered in the story and fill in any missing information during the final chapter. Once you are satisfied that you have covered all bases, save and close the file with a smile.


August 16, 2012
World Building with Angela Renee
DEBUT AUTHOR ANGELA RENEE visits us today with a discussion on World Building.
World Building
I’m an avid reader. Read just about every genre, but my favorite genres are fantasy and sci-fi with a good dose of romance thrown in there, which explains why my debut novel, You Are Mine, is a sci-fi romance. I love reading the world the author creates and I love creating worlds. But you still must be careful.
I was reading my favorite fantasy novel, Villains by Necessity by Eve Forward, which made me completely change this post. I had planned to write about how fantastic You Are Mine, is… No not really. I’m kidding. I had planned on submitting a post about the excitement and expectations of a debut author.
Back to the book I was re-reading for the umpteenth time. The important part is the lesson I learned about world building. I love the world Eve Forward built just as much as I love the cast of characters and the plot she dropped them into. She made rules and didn’t break them. I know there are those out there who say, “Rules are made to be broken,” but that doesn’t work in fiction. And this is more than just other worldly genres such as fantasy and sci-fi. In mainstream and contemporary genres, authors use artistic license combined with “reality” to set up the world rules. If a rule is broken, there needs to be a legitimate reason and then it’s not actually breaking the rule but giving a broader understanding of the rules.
I’m an experienced reader of forty years and am just tipping into this published author thing, so I am a much better reader than author and whenever my reading buddies and I are discussing books, we rarely bring up the world the novel is built in itself. The only time it comes up is if the author breaks some rule of the world. Hmmm, interesting. Without proper world building, your novel will not be realistic (fiction realistic not real realistic. LOL). World building is under appreciated. As a reader, I love sinking into the author’s fictional world, no matter what the genre. So while this post was supposed to be about my novel, it has turned out to be more of a thank you to the great world builders out there. THANK YOU!
Now I can’t go without saying something about You Are Mine. I hope the world I built in this sci-fi romance meets your expectations. I know the thought of sci-fi romance may be foreign to many of you. Don’t be scared to try something new. Have fun with it.
You Are Mine: In the hundreds of special assignments Erica Morgan has worked, there was nothing that prepared her for waking one morning on an alien spaceship. More surprisingly, her captor and adversary, the leader of this mission, is the one man who could make her want to leave her home planet and embrace a different life.
D’Jarus Commodore doesn’t want a wife, but his planet is slowly dying, and their salvation lies in the people of Earth. As leader of Darien, he chooses to make a sacrifice and be the first to marry a terran. His captive bride, Erica, is like no other being he has ever met. At first sight he knows he must have her, but for obvious reasons—he did kidnap her after all—she resists him every step of the way.
Website/Blog: http://www.authorangelarenee.com/
Buy links: Purchase the Print Version ($9.99) or the electronic version Nook, Kindle ($3.99)
Facebook: http://www.facebook.com/pages/Angela-Renee/224764087637836
Twitter: http://twitter.com/#!/angelareneebook
Nancy, thank you for allowing me visit your piece of the cyber world.

August 12, 2012
Tami Hoag
NY Times bestselling author Tami Hoag was the guest speaker at the Florida Romance Writers August 11th meeting. Tami began by describing how different things were in the publishing world when she started out at this career. She wrote in longhand and typed up her pages. Then she sold the second book she’d written and the computer age dawned. In those days, computers were expensive, unusual to own, and not justified in her mind until her career blossomed.
Tami Hoag and FRW President Rose Lawson Tami, Rose, and Nancy J. Cohen (center)
“I always wanted to be a writer”, Tami said, but she admitted that in those days, she didn’t read romance. She was a self-confessed “book snob” with preconceived notions about the romance genre. But then a friend at an event gave her a historical romance by Kathleen Woodiwiss, and on the way home, Tami’s car broke down. She had nothing else to read and started the book. That hooked her, and she went on to become an avid romance fan.
Still, she wanted to write but wasn’t sure where to start. She’d been learning about the business through Romantic Times Magazine and didn’t know any other writers in the area. After researching the markets on her own, she realized she could write comedy and chose Bantam Loveswept as her target. She liked them because they didn’t pigeonhole their authors. They allowed their writers to push the boundaries within category romance. Tami acquired an agent and got published writing romantic comedies. She joined RWA and eventually crossed over into suspense.
My camera battery is about to die; hence the discoloration.
Why does she like to write dark stories now? Her interest in psychology compels her to write edge-of-your-seat thrillers. “Character is the heart of everything.” Psychology and the dynamics between characters are the driving force behind these tales. “Crime is the structure for human interaction.” Also, readers must care about the characters. She begins her stories with a crime and then focuses on the investigators. The cops are the linchpins who can see all sides of a case and who can delve into the psyches of the other characters. Tami admits she’s a pantser rather than a plotter, and she never outlines. Does she ever face a hurdle? Sometimes she’ll write a character into a corner, but she views this as an opportunity, not a blockade.
Tami has another occupation, and that’s what keeps her sane. She’s into horse dressage or “horse dancing”, as some people call it. Both this field and writing require strict discipline. She enters show competitions during the winter. Whenever deadlines are getting to her, she tells herself to “go to the barn.” Being with her horses frees up her subconscious. She compares being on a horse and centered on what she’s doing to meditation. “It’s essential to my creative process.”
Chatting before the meeting FRW Board/Past and Present
Does writing get any easier? Her answer is negative, not even after so many books. As for the current state of publishing, “It’s a fear-driven business.” The market is terrible, and there’s competition from other media. You won’t find the same optimism that we found in the eighties. Back then, publishers said, “there are so many readers, we want content!” Now they say, “there are so many readers and we want content, but we have no money to pay you.” The prevailing climate is one of fear and desperation. On the good side, more opportunities exist for new writers to break in.
Regarding research, Tami started out with a hands-on approach, where she consulted cops and FBI personnel, but by now she pretty much has a handle on the procedures. Movies? A two-part miniseries was done on her book in 1997 but nothing since. She’s had a lot of film options but they haven’t led anywhere.
What’s next for her? The Ninth Girl brings back homicide cops from Minneapolis who appeared in a previous story. Pressured by her publisher to write an ebook, she penned a novella that acts as a prequel. Normally, Tami says, “I’m not known for brevity. I don’t write short stories.” As for her novels, she has ideas “stacked up on the runway.” While friends of hers are writing to double their capacity, Tami believes you have to fight for time to enjoy life. And although she likes to challenge herself and grow as a writer, Tami still manages to be surprised when she achieves something new.
After the morning meeting adjourned, a bunch of members took Tami to lunch at The Field Irish Pub in Davie.
My husband and I had just eaten there the night before, so I didn’t go. It’s a neat place with entertainment on weekends.
Hummus Appetizer Here’s a toast to you!
<><><>
Tami Hoag asked her Facebook friends the following question. They voted for number one. What would you say?
Would you rather (1) wait for a really good book by your favorite author, or (2) have your favorite author produce more books at a faster rate but knowing that might lessen the quality?

August 5, 2012
Salmon Cakes
Cooking Class: How to Make Salmon Cakes, or what my mother called salmon croquettes. That sounds so much fancier, doesn’t it? Anyway, all you need is 5 ingredients:
(3) 6 oz or (2) 14/1/2 oz cans Salmon
Plain Bread Crumbs
Garlic Powder
Egg Beaters
Canola Oil
Drain and flake the salmon in a large bowl. Remove vertebrae bones if present. Sprinkle in garlic powder. Add bread crumbs—not too much— and Egg Beaters to moisten. Stir to blend. Form by hand into patties. (You may refrigerate the cakes on a plate at this point if you’re cooking later.)
Meanwhile, heat a generous proportion of oil in a large frypan. I use an electric skillet. When the oil is hot, place the salmon cakes inside. Watch for browning and bubbling at the edges after a few minutes and turn with spatula. Brown on both sides. When done, drain on paper towel and serve. Serves 4.
Accompaniment: Try whole wheat spaghetti with tomato basil sauce and a salad.
Tip: If you have hot oil left over, pour in Egg Beaters and scramble for another side dish.


August 1, 2012
Weddings as Inspiration
Congratulations to LORALEE LILLIBRIDGE who won the pair of handcuffs in the drawing from my previous blog. Loralee, please contact me with your snail mail address.
We recently attended a family wedding, and it reminded me why I used a wedding as my setting in Shear Murder, book ten in the Bad Hair Day mystery series. The sheer sentimentality, the joy of the married couple, the suspension of family conflict for one evening, lend themselves to an outburst of passion that can have good or bad results. In my story, it ends in the matron of honor’s death, her body found by my hairdresser sleuth under the cake table.
This particular wedding took place at a magnificent site in Mitchellville, Maryland: the Newton White Mansion. Surrounded by beautiful acreage, this historic house is the perfect setting for a nuptial ceremony.
The processional began to the music of violinists. A more beautiful bride couldn’t be found. A traditional Jewish wedding followed, with all of the customs described in my earlier blog. The wedding program explained each ritual in detail. At the breaking of the glass, cheers erupted.
After the bridal party exited and slipped away to take photos, we entered a separate smaller room for cocktails and appetizers.
Dinner and dancing followed with live, pulse-pounding music. Young people might like it that loud, but we couldn’t be heard over the noise. I prefer quieter, romantic dance music for a wedding or at least rock decibels that don’t beat through your head. Anyway, the dinner was delicious. Stuffed lobster tail and filet mignon followed a mixed greens salad. I was most impressed by the magnificent flower arrangements. The centerpieces were exquisite. Again my writer’s brain erupted with ideas. I remembered an unpublished story of mine wherein floral wiring was used as a method of murder. I can’t help it; we writers are unable to turn off our storytelling mind. And I’d also had the foresight to bring business cards in my beaded clutch purse.
Those treats that look like lollipops are cake pops, all the rage in the dessert stores these days. I thought they were the dessert and ate two. Chocolate covered strawberries accompanied them. Then wedding cake got passed around. Oy! I was too full to eat another bite.
We left the mansion feeling happy, sated, and tired. We spent the rest of our time in Maryland eating meals with family, touring downtown D.C., and strolling around Bethesda. I look forward to the next wedding that brings us north again. So much time, money, and planning goes into this event, and it goes by so fast! But such is life, and these events live on in my stories and in my heart.

July 31, 2012
Does Crime Pay?
Do you ever wonder if the punishment fits the crime? Come along to the Crime Museum in Washington D.C. where you can tour through a history of crime and punishment. Beginning in medieval times, you get insights into torturous implements with the items on display. Metal was popular for finger screws and iron helmets. And look at this unhappy guy stretched out in the dungeon. The different areas of the museum are made to look like their eras, a cool factor I found appealing. Also scattered throughout the place are interactive kiosks to challenge you.

Note the handcuff fencing.
Definitions of crimes have changed through the years. In Colonial times, you could get your ears nailed to the pillory for kissing on the Sabbath. That was considered lewd and unseemly behavior. This era included a poster on the Salem Witch Trials. Next we moved into Pirates, where famous pirates are described leading up to the current ones operating off the coast of Somalia.

Blackbeard the Pirate
The outlaws of the Wild West come next amid sounds of gunshots and horses neighing in the background. Billy the Kid and the Dalton Gang were famous bad guys from this era, while Wyatt Earp was a well-known law man. You could shoot rifles for a fee at a shooting range looking like the Old West.

Note the bullet holes.
Crimes of the Great Depression followed with the Barker Gang, Bonnie and Clyde, and Al Capone, among others. Sirens and jazz music play in the background along with machine gun fire. You can learn how to Crack-A-Safe at the interactive kiosk. Moving along, we come next to scams, hoists, and hoaxes. Then we come to the worst crime of all: murder. Apparently collectors like to obtain Murderabilia, items associated with these criminals. Can you imagine a more gruesome collection? It’s bad enough that killers become media celebrities without having people try to acquire their belongings and giving value to their fame.
Famous serial killers are mentioned in this area before we move onto conspiracy and assassinations. On the wall are posters listing all the presidents who’d been assassinated and famous kidnappings like the Lindbergh baby. There are notes from police files on famous solved crimes, including J.W. Gacy who worked as Pogo the clown. I knew there was a reason why I find clowns creepy. Computer crimes aren’t forgotten either as several of these silent criminals are mentioned. For example, Robert Morris created the first computer worm. An interactive kiosk will challenge you to see how fast you can crack a code.

See me in the line up?
Then you pass through a darkened corridor lined by brick buildings and sound effects into the history of fingerprinting, Miranda Rights, what a booking officer does, mug shots were you can get your photo taken along with some crooks, and a jail cell where you can sit on the bed. There is a meet the warden video and a display on famous prisons and great escapes. One of the dioramas shows a luxury cell where Al Capone lived in Alcatraz. Here you can play on another kiosk to see how far you can get in your escape. Death Row is mentioned as you walk into a section that looks like a prison block with sound effects and an elevated walkway. Methods of capital punishment are described dating back from medieval torture and executions through the death penalty with displays of an electric chair, a gas chamber and a guillotine.
On a better note, we come to a section on famous lawmen. Notes describe how cops communicated before 1930, their use of firearms, equipment, and the bomb squad. See how fast you can defuse a bomb at the next interactive kiosk. Technologies such as night vision and thermal imaging are described. Here we pause for patrol training. In a simulation, you can drive a cop car on a high-speed chase. Or you can fire a Glock 17 at a simulated scene, watching for the bad guy to pop up and shoot at you. After this escapade, we descend downstairs to the CSI Experience.
You are greeted by a crime scene scenario in the bedroom where a murder took place. You can push buttons to see what each piece of numbered evidence represents.
You learn about witnesses and the role of the crime lab. At a kiosk, you can play the part of a witness. What did you see?
Contents of the crime scene kit are shown. Did you know that evidence is put into brown paper bags and not plastic bags like you see on TV? Fingerprint and footprint recovery, ballistics, toxicology, dental ID, autopsy, and entomology are some of the topics touched upon. The interactive kiosk here is, Can you match the bullet?
Other crimes are discussed such as counterfeiting, art forgery, and forgery of documents. Famous cold cases has a room of its own. There’s a section on crime related TV shows, movies and books. Books by Sue Grafton, James Elroy, and Patricia Cornwall are some of the ones mentioned. Even crimes against marine animals are covered. Then we descend to the lower level that holds the studio for America’s Most Wanted television show.
I would say you need maybe 2 to 3 hours to do this museum justice. There’s a Clyde’s nearby which is great for lunch, and then you can meander over to the International Spy Museum if you’ve never visited that attraction before. The closest Metro stop to the Crime Museum is Gallery Place.

Bar inside Clyde’s

Crab Cake

Tomato and Mozzarella Salad
Tomorrow, join me over at the Kill Zone where I’ll be discussing Crime and Punishment.
Leave a comment on this blog and enter to win a pair of handcuffs from the Crime Museum. U.S. Residents only. Winner will be announced here on Friday.

July 23, 2012
Promotion Checklist
Have you sold a book and now you’re panicking about what to do? Does the thought of book promotion strike terror into your writer’s heart? Here are some guidelines to get you started on the road to self-promotion. Always remember to be courteous, to avoid clogging the loops/tweets with your constant pronouncements, and to comment on other people’s posts in return. Don’t feel obligated to do everything mentioned here. Pick and choose what works best for you.
IMMEDIATELY UPON SIGNING CONTRACT:
Send press release to local newspapers and trade magazines. Copy any feature articles that result to editor and agent.
Send notices to alumni newsletters and professional organizations.
Solicit advance reviews/quotes from other authors.
Get professional photo taken or update photo.
Reserve your domain name or the domain name of your new series.
Announce the news on your website, blog, listserves, and social networks.
Send an email newsletter announcing the sale to all your mailing lists.
Post excerpts to raise interest.
4-6 MONTHS PRIOR TO PUB DATE:
Send galleys/ARCs/pdf copies to reviewers after making personal contact.
Reserve ad space in online or print sites.
Offer to write articles in trade magazines for issues matching pub date.
As soon as you get your book cover art, order business cards, printed promo materials, and swag.
Design video trailer.
Solicit booksignings and speaking engagements at writers groups, community clubs, conferences, and libraries.
Add cover and blurb to your online sites.
Design contests for the next few months leading up to Release Day.
Solicit blog tour hosts and determine topics.
Look for niche marketing opportunities.
2 MONTHS AHEAD:
Send press release with signing dates to local newspapers.
Load video trailer and add links to all your sites.
Update mailing lists. Send email newsletter to booksellers and librarians.
Write all the blogs for your virtual tour and match topics with hosts. Post your schedule online.
Determine upcoming contest prizes and giveaways.
Decide what to do for a book launch party.
Send promo materials to conferences for goody bags or promo tables.
1 MONTH AHEAD:
As soon as the book appears for pre-order online, add the buy link to all your sites.
Add the book to Goodreads and post giveaway.
Create a “Meet the Author” poster for book events.
Set Google alert for title.
Verify dates with booksellers/conference organizers for events and check that books will be in on time.
Send email newsletter to readers, including signing dates.
Send copies of book reviews, feature articles, and promo schedule to editor/publicist. Remember to promote yourself to your publisher.
RELEASE DAY!
Have a party, run contests and giveaways, offer a Q&A session, and celebrate!
<><><>
Time, budget, and energy are considerations when planning your promotional campaign. Choose what’s reasonable for you to accomplish, and remember that family takes priority, writing comes next, and all else is a bonus. The above suggestions aren’t written in stone. Some items you may be able to do sooner and some may come later. You’ll eventually work out your own rhythm. Do as much or as little as is comfortable at your level, and good luck!

July 19, 2012
Tami Hoag Guest Speaker
Florida Romance Writers is proud to host NY Times bestselling author Tami Hoag at the August 11, 2012 meeting. The twenty-seven year writing veteran will share her vast knowledge of the ever-changing world of publishing, with Q&A to follow.
Saturday, August 11, 2012
9:00 a.m. – 12:30 p.m.
Sheraton Fort Lauderdale Airport Hotel
1825 Griffin Road
Dania, FL 33004
DIRECTIONS: I-95 to Griffin Road exit (Exit 26). Go east on Griffin and make a right at the first light into the Sheraton parking area.
Self-parking is free of charge if you mention you are with FRW.
Program
Tami Hoag
#1 New York Times bestselling author Tami Hoag has fifteen consecutive NY Times bestsellers to her credit, including Deeper Than the Dead, Secrets to the Grave, and Prior Bad Acts. Hoag has more than 35 million books in print, published in more than twenty languages worldwide. Her first thriller, Night Sins, was made into a two-part mini-series in 1997, and continues to air frequently on cable networks more than a decade later. Born in Iowa, raised in Minnesota, Hoag left the frigid north for warmer climes in 1998. An avid competitive equestrian in the Olympic discipline of dressage, she currently lives in Florida, where she competes her horses on the prestigious winter show circuit.
ADVANCE RESERVATIONS REQUIRED!
Please RSVP by the Tuesday prior to the meeting by 5:00pm, by e-mail to Lisa Manuel at lisamore1@aol.com and put meeting reservation in the subject line.
Non-members may attend as guests for $25. Please visit http://www.frwriters.org/meetings.html for PayPal button.
Please be advised there is a $5.00 late fee for any reservations made after the Wednesday prior to the meeting.


Nancy's Notes from Florida
- Nancy J. Cohen's profile
- 667 followers
