Nancy J. Cohen's Blog: Nancy's Notes from Florida, page 83
June 10, 2014
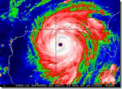
Hurricane Season
Hurricane Season officially began on June 1st. Are you prepared? It’s supposed to be a mild season, but you never know. So here’s a list of what to do if you see the orange cone of concern coming your way.
HURRICANE PREP LIST
1. Buy bags of ice. Put on lower shelves in freezer, and later in fridge if power is out, so melting ice doesn’t flood the interior. Or freeze water in plastic containers ahead of time to help keep food cool. Turn fridge to colder setting ahead of storm.
2. Buy bottled water and fruit juices; sports drinks if you like them. Fill unused plastic pitchers at home with tap water and refrigerate for drinking.
3. Have enough snack foods in stock. Fruits that keeps well: grapes, apples, bananas. Buy bread for peanut butter and jelly sandwiches.
4. Cook and eat perishable foods. Hard boil your eggs, and make sure you cook dinner early in case the power goes out.
5. Consider boarding your pet at a kennel or make plans to have a secure place for the pooch and enough supplies.
6. Backup important computer files. Send an email to yourself at another online address or to an out of state relative or friend with your important data files attached.
7. Bring in all loose objects from outside.
8. Do the laundry.
9. Perform personal grooming essentials. It’s hard to shave and wash hair with no lights, and the water might get contaminated.
10. Fill gas tank in car.
11. Get extra cash to have on hand. ATM’s won’t work in a power failure.
12. Pay bills.
13. Charge cell phone and other portable electronic gadgets.
14. Prepare list of repairmen and tree trimmers who might be needed.
16. Buy hand sanitizer and moist wipes in case the water is contaminated.
17. Have paper plates and cups on hand along with plastic utensils and paper towels.
18. Stock up on trash bags to clear away debris.
19. Place a flashlight or battery-run lantern in each room. Buy extra batteries, cooking fuel if necessary, duct tape, and a roll of plastic sheeting. Candles can be a fire hazard and they don’t provide enough light to read by in the dark.
20. Put insurance papers and other important documents into a plastic bag for quick departure or store copies in a separate location.
21. Eat all the ice cream in your freezer!
Watch the weather reports at:
National Hurricane Center: http://www.nhc.noaa.gov/
National Weather Service, Miami: http://www.srh.noaa.gov/mfl/?n=tropical
The Weather Channel: http://www.weather.com/


June 5, 2014
Self-Publishing Bookkeeping
In attempting to fill in my tax spreadsheet to bring it up to date, I am muddled in the expenses for self-publishing from back in February. Like, where does the purchase of ISBN numbers fit into the grid? I’ve added line items for my formatter and cover designer, and it took me over an hour to track down those costs and date the invoices for my records. Then there are the bookmarks, postcards, and door hangers I’d ordered. Those go under advertising expenses. But what about the proofs from Createspace that I had printed and mailed? The copies of my book that I bought, and the cost difference compared to the number sold on consignment via bookstores?
Hey, and this doesn’t even include the royalty income. Talk about confusing! Amazon alone sends me five different payments, not including Createspace. And lest you think I am making gobs of money, one of those payments was for thirty-five cents. Barnes and Noble and Smashwords are added to my list. By now, I’ve started a separate sheet just for ebook income, and another sheet that includes all royalty income for the year.
I hope my accountant understands all this when I send it to him. It sure is easier when a traditional publisher sends you a statement and a check. Being an indie publisher means keeping track of all the income streams and expenses yourself.
Do you have any tips to offer? What’s your method?


June 2, 2014
Fresh Corn is in Season!
This really works, although I had to cut off both ends. But it saves all that cleaning and works fast!
Originally posted on HASTY TASTY MEALS KITCHEN:
Here in Florida the first crops of corn on the cob are available. Love me some fresh corn! Here’s how I cook it:
Place whole ear of corn in microwave oven.

Microwave 4 minutes per ear

Carefully remove cooked ear of corn.

Slice off husks at beginning of corn cob.

Shake corn cob until it evacuates its husks.

Perfectly cooked corn emerges clean of all silk and husks!


May 29, 2014
Vegetable Shepherd Pie
I like to experiment with healthy cooking, and recently I adapted this recipe from one we ate at Disney’s Rose and Crown Pub at Epcot. Their version may have had cheese on top and been called Cottage Pie, but in the interest of lowering the fat content, I omitted the cheese in my version. As you’ll see, I take the easy route and buy prepared mashed potatoes that can be heated in the microwave. Buying other pre-chopped ingredients also speeds the process.
VEGETABLE SHEPHERD’S PIE
Ingredients
12 oz. low-sodium vegetable broth
1/3 cup dry red wine
1 small can tomato paste
1 Tbsp. all-purpose flour
1 oz. dried porcini mushrooms
24 oz. package prepared garlic mashed potatoes
3 Tbsp. unsalted butter
3 Tbsp. olive oil
2 pounds mushrooms, stemmed and quartered
2-6 oz. packages chopped fresh celery
1-8 oz. package chopped fresh onions
5 medium garlic cloves, finely chopped
1 medium turnip, peeled and diced
2 medium parsnips, peeled and diced
8 oz. crinkle cut carrots, halved
6.5 oz. package peeled pearl onions
1 Tbsp. chopped fresh sage leaves
1 Tbsp. chopped fresh thyme leaves
1 Tbsp. Worchester sauce
Paprika
Directions
In a medium bowl, whisk together vegetable broth, wine, tomato paste, and flour until evenly combined. Stir in dried mushrooms and set aside for at least 30 minutes. Strain and chop mushrooms when softened and reserve liquid.
Meanwhile, melt 1 Tbsp. butter in a Dutch oven over medium-high heat. Add half the mushrooms and 1 Tbsp. olive oil and cook until mushrooms are browned. Remove this batch of mushrooms from pan. Repeat process to cook off the remaining mushrooms. Remove to bowl.
Return pan over medium high heat and add remaining butter and olive oil, onion, celery, and garlic, and cook until softened and golden, about 2 minutes. Add turnip, carrots, parsnip, herbs, pearl onions, and Worchester sauce. Cook until vegetables are softened.
Add wine mixture to pan and deglaze by scraping up any browned bits. Stir in reserved mushrooms and mix well. Remove from heat and transfer vegetable mixture to a greased baking dish.
Prepare potatoes according to package directions. Thin with butter and milk or half-and-half if desired. Spread potatoes on top of vegetables. Sprinkle with paprika. Bake at 350 degrees until top is golden and mixture is bubbly, about 20 minutes. If you want a more browned look, put briefly under broiler. Or sprinkle shredded cheddar cheese on top and put dish back in the oven until melted. Serve hot. A salad makes a nice accompaniment. Makes 6-8 servings.
<><><>
Play the Mystery & Mayhem game and win prizes from authors Nancy J. Cohen, Hannah Dennison, Author Melissa Bourbon/Misa Ramirez, and Kate Carlisle. Visit the Mayhem Contest tab on each of our Facebook pages to see what antics Mayhem is getting up to, then complete the entry form on any of the pages. Deadline: May 31. Start here: http://statictab.com/yykobw8


May 18, 2014
Maryland and D.C.
Besides attending Malice Domestic, we visited relatives in Maryland and got to see some new sites. My husband and I toured the National Building Museum in downtown D.C. We rode the Metro, which is easy to figure out and still a thrill for us tourists. The National Building Museum is a majestic building, with a Great Hall filled with tall (75 feet high) marbelized columns and high ceilings. Constructed in the late 1800’s, it has served as the seat of eighteen inaugural balls including Barack Obama. A small café and a fun gift shop reside here as well.
We saw an interesting exhibit called House & Home which explained the difference between the two terms and showed replicas of housing construction from the early days to now. Objects on display recalled simpler living and took us through various eras. Museum admission is free but the exhibits have a fee.
We ate lunch one day at Spices Asian Restaurant with my cousin. This was one of our best meals.
We visited Brookside Gardens at the conclusion of Malice. What a delight! Behold the colorful blooms. It was perfect weather to stroll among the flowers.
We walked into the rear section by a tranquil lake where you can sit and watch the ducks. I’ll remember the peace and tranquility with fond memories.
Our trip took us back to Orlando, where we spent a couple of days at Disney’s Epcot and Hollywood Studios. We noticed the Norway pavilion’s museum now has scenes relevant to Frozen. We saw an extended preview in 3D for the upcoming film, Maleficent. Angelina Jolie looks evil in the role of the nasty witch. This live-active film is a sure winner.
And finally, I spoke on a panel and at an MWA-sponsored breakfast at the Florida Library Association Convention. Here I am with fellow panelists Miriam Auerbach, S.L. Menear, H. Terrell Griffin and Joanna Campbell Slan.
This trip was a perfect combination of business and pleasure. And now it’s back to work. I hope you enjoyed journeying with me on my latest travel adventure!
<><><>
Have you been following my blog tour? Here are the sites if you want to catch up:
May 13, Tuesday, Socrates’ Book Reviews - Guest Post “Plotter, Pantser, or Prepper?”
May 14, Wednesday, Melissa’s Eclectic Bookshelf – Interview
May 15, Thursday, Thoughts in Progress – Review, Interview
May 16, Friday, Author Expressions – Interview
May 16, Friday, Read Your Writes Book Reviews – Review
May 17, Saturday, Chloe Gets A Clue – Interview and Giveaway
May 19, Monday, Queen of All She Reads – Guest Post “The Mystique of Bones”
May 20, Tuesday, Books-n-Kisses – Review
June 3, Tuesday, Cats, Books…and More Cats! – Interview
And check out my Contest page for ways to prizes!


May 14, 2014
Malice Domestic 2014
What is Malice Domestic? As it says on the Website, Malice is an annual fan conference that focuses on the traditional mystery or “books best typified by the works of Agatha Christie.”
Although I’ve been attending Malice Domestic for a number of years off and on, this was the first time I participated in Malice-Go-Round. What a fabulous event! On Friday morning, 200 people filed into a room with 20 tables. At each table sat 2 authors and 8 readers. As an author, I had about two minutes to give a pitch about my book and then the other author at my table took a turn. I was lucky to pair with Linda Joffe Hull who writes the Mrs. Frugalicious mystery series. We hopped from table to table repeating the same spiel twenty times. I lost my voice by the end but was exhilarated by meeting so many mystery fans. This event was worth the price of registration alone. If you get in, bring enough promo items for all the tables.
Friday night was a dessert party. This gave me another way to connect with old friends and make new ones. I chatted with Marilyn Levinson, author of Murder A La Christie, waved hello to Toni Kelner, and caught up on news with Carol Nelson Douglas, who writes the popular Midnight Louie cat mystery series among others. I thoroughly enjoyed meeting Barbara Graham, a quilting enthusiast who combines her talent with writing mysteries.
Saturday morning, I attended the Sisters in Crime Breakfast. About 160 members attended from 50 chapters nationwide. The Guppies (Great Unpublished) wore colorful boas. Besides this program, SinC offers a monitoring project, quarterly newsletter, grants for chapter events, subsidies for members to attend Writers Police Academy, writing courses, educational seminars and an annual Publisher’s Summit.
Hank Phillippi Ryan spoke about the Writes of Passage collection of essays, and each member received a copy.
Later that morning began the panels. I attended one on Book-Themed Mysteries, ate the box lunch available at the lobby bar, checked out the Dealer’s Room and laid out my promo materials in the Hospitality Room at the end of the corridor. That afternoon, I spoke on a panel about social issues in mysteries. Fellow panelists were John Clement, Judy Hogan, and Linda O. Johnston with Debra H. Goldstein as moderator.
At five o’clock, the afternoon speakers gathered at the Mezzanine level for a mass book signing.
Later that evening, Maggie Toussaint, Barbara Graham, and I headed to the famous Agatha Banquet where the awards were presented. Everyone looked their best.
Sunday morning had more panels. I enjoyed the talk on Paranormal Mysteries with authors Carolyn Hart (“Death at the Door”), Molly MacRae (“Spinning in her Grave), TJ O’Connor (“Dying to Know”), and Maggie Toussaint (“Gone and Done It”) and moderated by Aimee Hix.
They discussed the rules and limitations of their paranormal element and why they write about it.
Why are these stories so popular? They offer an escape from reality to readers who want to experience something new. Readers can enter someone else’s imaginary world that’s fun, exotic, and touches upon the unknown. As mystery fans, we want to solve a puzzle, and what greater puzzle is there than “What’s on the other side?”
Do ghost stories and detective tales go together? “Death is a mystery,” Molly replied. Maggie Toussaint, a Five Star author and member of Booklovers Bench, agreed. “These stories engage your senses and your mind.”
See Photos here: http://bit.ly/1jX7QVy
Coming Next: Our Trip to Maryland and D.C. and the beautiful flowers of Brookside Gardens
<><><>
Are you following my Blog Tour and entering my Contests? Please click on these links for my guest posts, interviews, and chances to win some free books plus a Hanging By A Hair tee-shirt!


May 12, 2014
Appearances and Contests
Dear Friends, I have yet to report on Malice Domestic, my visit to Maryland, and the Florida Library Association Convention. First I need to go home, unpack my suitcase, pay bills, do laundry, and then upload photos before I can share my experiences with you.
In the meantime, there’s a lot going on this month.
Personal Appearances
May 18, Sunday, 5:00 pm, “Romance to Mystery: Making the Switch” With Nancy J. Cohen and Alyssa Maxwell. Two authors who have made the switch discuss the advantages and problems of making the move. Murder on the Beach Mystery Bookstore, 273 NE 2nd Avenue, Delray Beach, FL 33444, 561-279-7790, www.murderonthebeach.com
June 14, Saturday, 8:30 am, “Women of Mystery” with Sandra Balzo, Nancy J. Cohen, Miriam Auerbach and Cara Norton. Moderator: Jerry Healy. Mystery Writers Key West Fest, June 13-14, DoubleTree by Hilton Grand Key Resort, 3990 S. Roosevelt Blvd, Key West, FL 33040, 305- 293-1818, http://mysterywriterskeywestfest.com/
June 24, Tuesday, 1:00 – 3:00 pm, “Writing the Mystery” with Nancy J. Cohen, North Regional/Broward College Library, 1100 Coconut Creek Blvd, Coconut Creek, FL 33066, Phone 954- 201-2600, http://www.broward.org/library/locationshours/branches/pages/nr.aspx
August 2, Saturday, 10:00 am, “Blogging, Posting, and Tweeting your Way to Success,” with Nancy J. Cohen at Murder on the Beach Mystery Bookstore, 273 NE 2nd Avenue, Delray Beach, FL 33444, 561-279-7790. Advance Reservations Required. Fee for Class. http://www.flauthorsacademy.com/home
Online Blog Tour
Great Escapes Blog Tour May 13-20,
Enter my Blog Tour Rafflecopter Contest to win a Hanging By A Hair T-shirt and a signed print copy of Killer Knots
Please visit my tour sites. Comments welcome!
May 13, Tuesday, Socrates’ Book Reviews – Guest Post “Plotter, Pantser, or Prepper?”
May 14, Wednesday, Melissa’s Eclectic Bookshelf – Interview
May 15, Thursday, Thoughts in Progress – Review, Interview
May 16, Friday, Author Expressions – Interview
May 16, Friday, Read Your Writes Book Reviews – Review
May 17, Saturday, Chloe Gets A Clue – Interview
May 19, Monday, Queen of All She Reads – Guest Post “The Mystique of Bones”
May 20, Tuesday, Books-n-Kisses – Review
June 3, Tuesday, Cats, Books…and More Cats! – Interview
Contests
Brenda Novak’s Diabetes Auction May 1-31
Win a signed print copy Writing the Cozy Mystery by Nancy J. Cohen
http://brendanovak.auctionanything.com/Bidding.taf?_function=detail&Auction_uid1=3319691
Win a synopsis critique by Nancy J. Cohen
http://brendanovak.auctionanything.com/Bidding.taf?_function=detail&Auction_uid1=3319692
Booklover’s Bench May 4-18
Win a $25 Amazon/BN Gift card or 1/6 books from Booklovers Bench authors,
http://bookloversbench.com/contest/
Have you checked out this magazine? See if you can find the ad I have inside.


May 7, 2014
Blending Humor and Tension in a Traditional Mystery / Author Nancy J. Cohen
How do you add humor to a mystery? See what I said in my guest post on the Killer Nashville blog.
Originally posted on Killer Nashville Blog:
There’s nothing funny about murder. Or is there? Mystery, romance, and how-to author Nancy J. Cohen navigates the delicate balance between bloodshed and laughter in her guest blog, “Blending Humor and Tension in a Traditional Mystery.” Here’s a great way to laugh your way into the perfect crime. And for even more great tips from Nancy, check out her book “Writing the Cozy Mystery.” Happy Reading!
(And Happy Writing – using Nancy’s excellent advice).
Clay Stafford
Founder of Killer Nashville

Nancy J Cohen (Photo by Lasky)
How do you maintain tension in a humorous mystery? First, look at the source of humor. If it’s the sleuth’s wry attitude toward life, humor is inherent to how she’ll view things. It’s in her nature, and no matter the circumstances, her attitude will prevail. Or perhaps the humor is situational. This can be momentary, or it can relate to a subplot that lasts…
View original 927 more words


April 24, 2014
April Contest Winners
Here are the recent winners from my April contests.
You still have one more chance to win!!! Enter at FreshFiction.com by April 30 to win a Hanging By A Hair T-shirt & door hanger, plus a signed copy of Shear Murder http://freshfiction.com/contest.php?id=6389
Watch for more contests in May.
April 15-22 Spring B log Hop sponsored by Florida Chapter of MWA
The grand prize winner of a Kindle Paperwhite is K. Wong
On my blog, “Characters Too Weird to be True,” http://wp.me/pHSwk-1wF, Deannad414 has won her choice of an ebook copy of Shear Murder or Writing the Cozy Mystery.
April 18 Book Launch Party Nancy J. Cohen and Maggie Toussaint at https://www.facebook.com/NewReleaseParty
These are my winners
S. Allen, E-book copy of Died Blonde
L. Hale, $10 gift card
M. Edwards, E-book copy of Writing the Cozy Mystery
D. Sharp, E-book copy of Shear Murder
D. Frazier, Signed copy of Killer Knots
M. Hayes, A signed copy of Killer Knots
A. Connolley, tropical grocery shopping bag
S. York, Hanging By A Hair T-shirt
D. Esperson, Hanging By A Hair T-shirt
Booklover’s Bench April 4-18, http://bit.ly/13qZ4oF
S. Baker won an ebook copy of Writing the Cozy Mystery and another lucky winner won a $25 gift card.
Watch for our new contest May 4-18
What’s your favorite prize? A book–ebook or signed copy? Swag like a tee shirt? Or a gift card to an online store?


April 23, 2014
Blog Tour Begins
I’ve been guest posting around the cybersphere lately. Here are the sites if you want to catch up. Comments welcome!
April 21, “Do you enjoy reading books out of seasons?” The Big Thrill Roundtable, http://www.thebigthrill.org/2014/04/24048/
April 21, “Story Magic,” Mayhem and Magic, http://mayhemandmagic2.blogspot.com/2014/04/guest-blogger-nancy-cohen-on-story-magic.html
April 22, “Hooks in Cozy Mysteries,” Musings from the Slush Pile, http://blog.juliealindsey.com/julie-anne-lindsey-writer/musings-welcomes-author-nancy-cohen/
April 23, “Where Do You Get Your Ideas?” The Kill Zone, http://killzoneauthors.blogspot.com/2014/04/where-do-you-get-your-ideas.html#.U1e4Ilesj9s
I’ll be taking a break to go to the Malice Domestic conference and the Florida Library Association Convention but then I’ll be back in May!


Nancy's Notes from Florida
- Nancy J. Cohen's profile
- 667 followers
