Karl Shuker's Blog, page 13
February 16, 2021
SEA MONSTERS, DRAGONS, AND A PILOT WHALE SKULL
CFZ Deputy Director Graham Inglis holding the Falmouth pilot whale skull back in June 1996 when we met at Hay-on-Wye (© Dr Karl Shuker) I was recently perusing through various old photograph albums as well as a sizeable number of unsorted packets of sundry photos that I'd snapped long ago, stored away, and largely forgotten about afterwards when I opened two such packets whose contents I'd not seen in many years, but which were and still are of notable cryptozoological significance. Consequently, after having made those pictures public for the very first time anywhere when I posted them on Facebook a few days ago, I am now formally publishing them for posterity as a ShukerNature exclusive, a mere 24 years after they were snapped, together with the somewhat sketchy background information that I have uncovered so far concerning the specimen depicted in them. If any readers have additional details or amendments appertaining to what I have documented here, I would be very grateful to receive and incorporate them herewith, fully-credited as always.
CFZ Director Jonathan Downes and I, presenting the Falmouth pilot whale skull's left-hand profile, at Hay-on-Wye, June 1996 (© Dr Karl Shuker)
A somewhat grey, windy, but thankfully dry day in June 1996 found me taking an 80-mile ride on my motorbike from my West Midlands home to Hay-on-Wye, the small yet world-famous 'Town of Books' on the English-Welsh border, which at its peak of popularity contained within its modest-sized borders almost 40 second-hand book shops. You'll not be surprised to learn that this town had long been a popular place of pilgrimage for me as a serious bibliophile, visiting it and making profuse purchases there several times annually for many years (sadly, however, most of the bookshops that I used to visit are now long gone, and they have not been replaced by any others either, so it has been several years since I was last there).
Close-up view of the Falmouth pilot whale skull's left-hand profile (and making handy use of Graham's packet of Golden Virginia tobacco as a source of scale for the skull's size!) (© Dr Karl Shuker)
On this particular day, however, its books and bookshops were, for once, of only secondary interest to me, because the primary reason for my visiting Hay that afternoon was to meet up with a coterie from the Centre for Fortean Zoology (CFZ), who were bringing with them a remarkable cryptozoological specimen for me to see in the flesh – or, to be precise, the bone, as it was a skull, but no ordinary one. After what seemed like an interminable time caught behind what was assuredly the lengthiest and slowest-moving articulated lorry in existence, and on rural roads far too winding for me to risk overtaking it, I finally reached Hay-on-Wye where, waiting to greet me and anxious as to why I was so late, were CFZ Director and longstanding crypto-friend Jonathan Downes, his first wife Alison, and the CFZ's video/films expert Graham Inglis (who is also now its Deputy Director).
Jon and I, presenting a dorsal view of the Falmouth pilot whale skull that clearly reveals its nasal cavities and characteristic pilot whale rostrum (© Dr Karl Shuker)
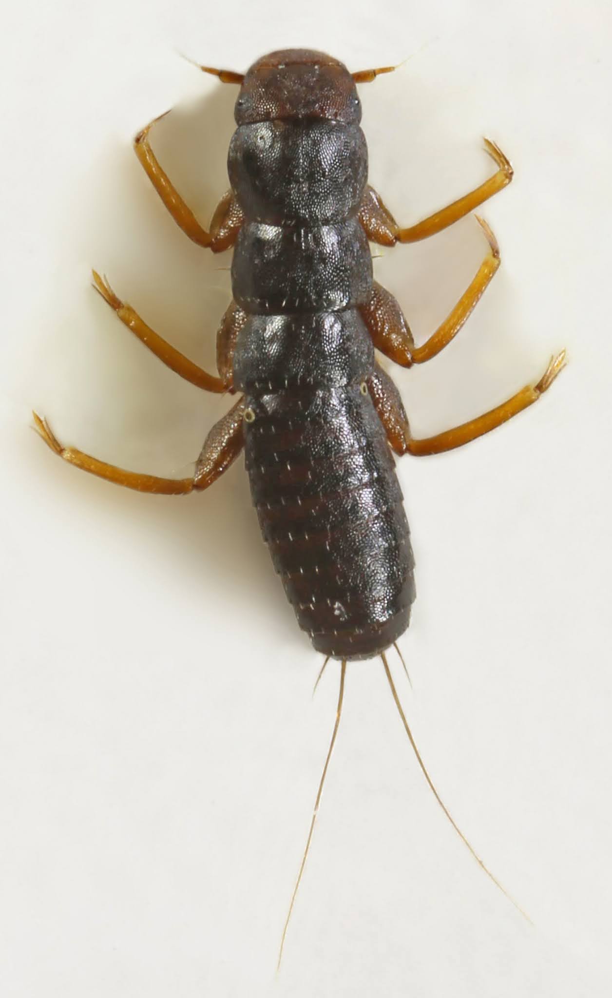
Moreover, carefully carried by Graham was the specimen that had brought us all together that day – what I shall refer to here as the Falmouth skull (see later for details), aka the alleged skull of a certain Cornish sea monster. Needless to say, the briefest of glances revealed that in reality it was from a cetacean, specifically a pilot whale, which we already knew anyway, but it was wonderful to see and hold it, a truly spectacular zoological and erstwhile cryptozoological exhibit, as my photos of it here readily reveal. But what was its history? As I noted above, the details concerning this specimen that I have so far uncovered are somewhat sketchy and currently incomplete, but they do provide a general overview, and are as follows.
Close-up of dorsal view of the skull – like all toothed whales, pilot whales possess a pair of internal nasal cavities but only a single external blowhole (© Dr Karl Shuker)
The Cornish coasts have long been deemed to be the domain of a Nessie-like sea serpent dubbed Morgawr, and particularly during the mid-1970s a fair few alleged sightings of a long-necked maritime cryptid with humps along its back were reported by the media. So too were the notorious 'Mary F' photos, ostensibly depicting just such a beast, which were sent anonymously to the local Falmouth Packetnewspaper and published by it during March 1976 after having supposedly been snapped a month earlier at Trefusis Point. Back in January of that same year, however, and first brought to cryptozoological attention via a brief mention in A. Mawnan-Peller's privately-published booklet Morgawr: The Monster of Falmouth Bay – A Short History (1976), what to some had seemed to be more substantial evidence for a sea monster, albeit a dead one, had surfaced, literally, on Durgan Beach, Helford River – the carcase of an unidentified creature, where it was encountered by Falmouth resident Mrs Kaye Payne.
Vintage illustration of the dorsal view of a pilot whale skull, whose very appreciable morphological correspondence to the Falmouth skull confirms that the latter is indeed that of a pilot whale (public domain)
Despite inciting much local speculation that it may actually be the corpse of Morgawr itself, this intriguing specimen was carried back out to sea by the outgoing tide before any scientists had visited to examine and formally identify it. After the Falmouth Packet reported Mrs Payne's discovery of it, however, the newspaper was contacted by teenage amateur naturalist Toby Benham, from Mawnan Smith (a village roughly three miles south of Falmouth). As the Packet then reported in an article entitled 'Not a sea monster, says Toby', published on 5 May 1976:
The mystery of the bones of Durgan Beach may have been solved this week by 13-year-old Toby Benham, a keen student of skeletons.
Toby believes the bones, found at Durgan by Mrs. Kaye Payne of Falmouth, come not from a 20 foot sea monster as has been suggested, but from a whale.
He came to this conclusion because he thinks the bones form part of a skeleton he discovered on nearby Prisk Beach just after Christmas.
Toby of…Mawnan Smith, studied the "Packet's" photograph of Mrs. Payne holding a bone from the beach, and he is convinced it is one of those he saw.
"I am sure it is from a whale," the young naturalist said emphatically.
STORM TIDES
His explanation for their appearance at Durgan is equally emphatic. Storm tides swept them around from Prisk, he says.
The original skeleton was about ten feet long and the skull which is now one of the prizes in Toby's collection of bones, looks like that of a whale.
He said the skull had what appeared to be blow-holes and it seemed very similar to pictures he has of whales' heads.
If Toby was correct in his assumption that the Prisk carcase he saw and the Durgan Beach carcase encountered not long afterwards by Mrs Payne were one and the same, and that his 10-ft size estimate for the Prisk carcase's length was also correct, then we must assume that the 20-ft estimate attributed to it when on Durgan Beach was an exaggeration. Also, bearing in mind that he took away the skull from the Prisk carcase, it would be interesting to know whether the Durgan carcase was headless – if so, this would strengthen Toby's case for the two carcases being one and the same. Conversely, if the Durgan carcase included a skull, this would obviously disprove his case.
Close-up of the Falmouth pilot whale skull's right-hand profile (© Dr Karl Shuker)
Indeed, it is because of the above-revealed uncertainty as to whether this skull does have anything to do with the Durgan Beach carcase that, unlike various other chroniclers, I have deliberately chosen to refer to it here on ShukerNature not as the Durgan Beach skull but merely as the Falmouth skull. Taking these nomenclatural nuances even further, a far more appropriate, unequivocally accurate name for it would be the Prisk Beach skull, because we do at least know that it was obtained by Toby from the Prisk Beach carcase. Just to make matters even more confusing, the skull has also been dubbed by some the Durgan Dragon (more details concerning this moniker's origin would be greatly appreciated).
With Jon, Graham, and the Falmouth pilot whale skull at Hay-on-Wye, June 1996 (© Dr Karl Shuker)
Anyway: as the years passed by, Toby reached adulthood and moved out of the family home, but he left the skull behind, where it remained outside as an unusual garden ornament and door stop for quite some time, until finally his mother donated it to the art department of Toby's old Falmouth school (name presently unknown to me, and now closed), as revealed both in a Morgawr review article penned by Jonathan Downes that appeared in the 2002 CFZ Yearbook, and also in a short account on this specimen contained within English cryptozoologist Neil Arnold's book Shadows on the Sea: The Maritime Mysteries of Britain (2013). According to Neil's account, after learning about the skull and its whereabouts, Jon contacted a teacher in the school's art department named Mr Brown, and was granted permission not only to take as many photographs of it as he wanted, but also to borrow it for direct examination and identification, which Jon did (in 1996), whereupon he readily recognized that it was a whale's skull.
A living pilot whale (public domain)
Further study narrowed the skull's taxonomic identity down to one or other of the two species of pilot whale – the short-finned pilot whale Globicephala macrorhynchus and the long-finned pilot whale G. melas. These exhibit considerable anatomical variation and overlap with each another, thereby making it difficult to specify the skull's precise species, but British palaeontologist and fellow crypto-enthusiast Dr Darren Naish who has closely examined it has informed me that he believes it to be G. melas.
Vintage engraving of a pilot whale from 1900 (public domain)
Meanwhile, as confirmed by Jon in his afore-mentioned Morgawr article, the proprietors of Toby's old school kindly agreed to donate this skull to the CFZ Museum, which is where it has resided ever since. It is good to know that this cryptozoologically-relevant specimen is safely preserved and its current location verified – all too many crypto-specimens have been lost, discarded, or even destroyed down through the years. And so, another monstrous mystery of the maritime kind is duly solved.
My sincere thanks go to Jon and Graham from the CFZ for kindly making the skull available for me to directly observe back in June 1996. Be sure to click here to visit the CFZ's official website and discover who they are and their substantial contributions to cryptozoology.
Jon looking on while I balance the skull of a pilot whale on my knees, as you do… (© Dr Karl Shuker)
February 14, 2021
HOW THE IMPERIAL FLEA WAS UNCEREMONIOUSLY DEPOSED, AND WHY THE BEE LOUSE BUZZED OFF!
Any flea that was 20 times as big as the all-too-familiar human flea Pulex irritans (a giant model of which is shown here) would certainly deserve to be designated as the emperor of all of its bloodsucking brethren, but in the case of the imperial flea, appearances can – and did – definitely deceive! (© David Ludwig/Wikipedia –
CC BY-SA 3.0 licence
) It was way back in 1997, within my book From Flying Toads To Snakes With Wings, when I originally documented the tragic tale of the imperial flea. In those far-distant, pre-internet days (at least for me, because at the time of my researching and writing that book I'd yet to purchase my first PC, let alone log online for the first time), I had succeeded in unearthing only a few, very sparse details concerning this entomological enigma (from an Antenna article of 1982, and even that only mentioned it in passing). Hence my coverage of it in my book was necessarily brief.
In later years, conversely, with the internet's vast, ever-growing archive of data readily available online, I have compiled a comprehensive file of additional information on this intriguing subject. This has enabled me at long last to piece together what I hope is the entire and highly (albeit unintentionally) entertaining history of the imperial flea, as well as unraveling several twisted strands of confusion and contradiction regarding this contentious creature. So here it is.
My book From Flying Toads To Snakes With Wings (© Dr Karl Shuker/Llewellyn Publications)
SQUASHED AND QUASHED – THE ENDING OF AN EMPEROR
It all began in Gateshead, a large town close to the city of Newcastle upon Tyne in north-west England, when one morning in early 1857 a Dr Backhouse (not Blackhouse, as occasionally claimed) woke up to find a most unwelcome, highly unexpected visitor in his bed. The visitor in question was a sizeable insect, which the good doctor lost no time in permanently dispatching, allegedly with the able assistance of one of his boots. It seemed to him to be a siphonapteran, i.e. a true flea, but one that was far bigger than any that he had ever seen before.
Hoping to learn more, Backhouse sent the flattened ex-hexapod to naturalist friend Thomas John Bold in nearby Long Benton (now Longbenton), for his opinion on what it could be. Bold, however, was unable to identify the creature, but deemed it sufficiently interesting to warrant being sent for formal examination and identification to eminent entomologist Prof. John Obadiah Westwood (1805-1893), based at Oxford University in England. So that is precisely what Bold did.
Among many other titles and academic positions, Prof. Westwood was President of the Entomological Society of London (now the Royal Entomological Society), as well as a Fellow of the Linnean Society of London. After a cursory examination of Backhouse's squashed specimen, he exhibited it during meetings held at both of these societies – a fact rarely mentioned in previous coverages of it.
The first (but only rarely alluded to) of these two meetings took place on 3 February 1857, at the Linnean Society of London; the second (much more famous) one occurred on 4 May 1857, at the Entomological Society of London. At both of them, Westwood orally described the insect as being a specimen of a hitherto-unknown species of gigantic flea, approximately 20 times as big as the common human flea Pulex irritans. Fittingly, he proposed imperator('emperor') as the taxonomic species name for this veritable emperor among fleas.
Prof. J.O. Westwood in c.1850 (public domain)
Westwood's exhibition and naming of this specimen was duly if briefly reported as follows on p. 70 of the Proceedings of the Entomological Society of London for 1857:
Mr. Westwood also exhibited a gigantic species of flea, for which he proposed the specific name of imperator. The specimen, which is about twenty times the size of the common Pulex irritans [sic – taxonomic binomial names should always be published in italics], was found dead in a bed at Gateshead.
It was also reported (but even more briefly) as follows on p. iv of the Journal of the Proceedings of the Linnean Society, Zoology, Vol. 2 for 1858:
Read, secondly, a "Description of a new species of Pulex (P. Imperator, Westw.) found in a bedstead at Gateshead;" by J. O. Westwood, Esq., F.L.S.
Just under a fortnight following Westwood's exhibition of this specimen at the Entomological Society of London, Long Benton-based Bold confirmed in print his action that had been instrumental in bringing about this very curious creature's scientific debut. He did this by way of the following brief recollection penned on 17 May 1857 and then published shortly afterwards in the Transactions of the Tyneside Naturalists' Field Club:
Pulex Imperator[sic – the 'i' in imperator should not be capitalized], Westwood. A friend of mine [Dr Backhouse], resident in Gateshead, brought an immense flea, which he had found in his bed, for my examination. Not being able to identify it, I forwarded the creature to J.O. Westwood, Esq., by whom it has been described as new, under the above appellation, in a paper recently read before the Linnaean Society.
It is important to emphasise Bold's intermediary presence in these proceedings, because virtually every previous account of the imperial flea's history that I have read mistakenly claims that Backhouse sent the specimen directly to Westwood, rather than via Bold.
The type – and only – specimen of Pulex imperator, the immense but ill-fated imperial flea (© Dr Darren J. Mann)
The full formal taxonomic name of any given species includes not only its binomial portion (i.e. the genus name plus the species name for that species) but also the surname of whoever formally described and named that species, plus the year in which its binomial name was first published. Consequently, it is well worth explaining here how the full formal taxonomic name of the imperial flea – Pulex imperator Westwood, 1858 – came about.
Although imperator was proposed as its species name by Westwood at both scientific society meetings where he exhibited and orally described this specimen in 1857, he did not provide at either of them a published description formally naming it as Pulex imperator. Similarly, within the brief above-quoted report published in its Proceedings for 1857 of Westwood's exhibition and oral description of this specimen at its meeting of 4 May 1857, it can be seen that the Entomological Society of London did not refer to its species as Pulex imperator either.
Conversely, in the Linnean Society of London's even briefer above-quoted report published in its own Journal of Proceedings for 1858 of Westwood's exhibition and oral description of this specimen at its 3 February 1857 meeting, it did refer to its species as Pulex imperator – which is generally deemed to be the very first time that this binomial name had appeared in print. This in turn is why the imperial flea's full scientific name contains the year 1858, rather than 1857, despite the latter year being the one in which the specimen was given the binomial name orally by Westwood. (Having said that, I cannot help but wonder why Bold's published naming of it as Pulex imperator in his 1857 Transactions of the Tyneside Naturalists' Field Club communication did not take precedence over Westwood's in 1858…?)
Anyway, taxonomic technicalities aside, there seemed no denying that Westwood's imperial flea Pulex imperator was a truly extraordinary addition to the entomological fauna of Britain and, indeed, the world, because this was unquestionably the largest flea species known to science.
Specimen labels alongside the type specimen of the imperial flea Pulex imperator (© Dr Darren J. Mann)
So far, so good – until, that is, following his initial cursory examination that had incited him into describing and naming it as a gigantic flea, Westwood decided to conduct a much more detailed, extensive scrutiny of Backhouse's Brobdingnagian specimen. Only then was the awful truth, the embarrassing reality, of its taxonomic nature duly revealed to him.
What Westwood had originally assumed to be the creature's long, blood-sucking proboscis, a flea characteristic, turned out instead to be the basal section of a long multi-segmented antenna. Such lengthy antennae are structures conspicuous only by their absence in all bona fide fleas, whose own antennae are tiny ones that for much of the time remain concealed for their own protection within deep grooves located slightly behind the fleas' eyes. And the reason for its laterally compressed body, another flea characteristic, could now be clearly discerned as nothing more significant than the inevitable physical outcome of having been flattened side-on with considerable force by Backhouse when he struck it with his boot!
Further studies determined the tragic truth that, far from being a truly extraordinary, exceptionally large flea, the type (and only) specimen of Pulex imperator was simply a decidedly ordinary, unexceptionally-sizeable, and undeniably squashed nymph (juvenile stage) of the Oriental cockroach Blatta orientalis, a common invasive species in England.
Nymph of Oriental cockroach Blatta orientalis(© Zeptomoon/Wikipedia –
CC BY-SA 3.0 licence
)
As documented in greater detail on p. 60 within the Proceedings of the Entomological Society of London for 1859:
He [Westwood] also exhibited an insect which he had received some time previously from Mr. Backhouse, of Gateshead, as a gigantic flea, and which he had exhibited to the Society on the 4th of May 1857 (without, however, having previously had an opportunity of carefully examining it), and for which he then suggested the name of Pulex Imperator [sic]. He had, however, recently examined the insect more minutely, and had ascertained that it was a very young larva of a Blatta [sic], much distorted by being crushed flat in rather an oblique position, and with most of the limbs broken off. A small portion of the base of the multiannular antennae was visible in such a situation as to seem like a part of the mouth, but on microscopically examining it, as well as the portions of the legs still remaining, it became evident that the insect was not a flea, and on dissecting the mouth, its true character was at once detected.
[This account was also included almost verbatim within a communication concerning the imperial flea that was penned on 9 April 1894 by R. M'Lachlan of Lewisham, London, and published by the journal Entomologische Nachrichten in June 1894.]
To his credit, and in spite of the great personal shame that he must have felt, at a meeting of the Entomological Society of London held on 7 March 1859 (and attended by the afore-mentioned R. M'Lachlan among others) Westwood publicly recanted his previous pronouncements, quashing the imperial flea's taxonomic standing by unmasking its true nature as a squashed cockroach nymph (and duly documented once again in the Proceedings of the Entomological Society of London). Thus ended the brief but infamous reign of the flea realm's erroneous emperor.
Nevertheless, its crushed corpse lives on, at least in preserved state, housed in the Oxford University Museum of Natural History's very extensive Hope Entomological Collections. These were amassed by, and duly named after, English entomologist Frederick William Hope (1797-1862), who donated them to Oxford University after having founded a professorship there. Together with Westwood, he was also a founder of the Entomological Society of London in 1833.
Frederick William Hope, painted in c.1851 by L C Dickinson (public domain)
Finally, for the sake of completeness, here is that scant little account of the imperial flea that I wrote for and included in my book From Flying Toads To Snakes With Wings more than 23 years ago, but which fired my enthusiasm for seeking out all of the additional information that I have now compiled in my much more extensive documentation above:
As for the enormous "imperial flea," formally described during the 1800s by J.O. Westwood, its only known specimen (housed in the Hope insect collections at Oxford University Museum) was later unmasked as a rather squashed juvenile Blatta orientalis – a common species of cockroach!
SUPER FLEAS AND MOUNTAIN BEAVERS
Although the imperial flea is nothing more than an imposing imposter, there really is a genuine species of giant flea out there. And despite sporting rather less prodigious proportions than those of the imperial flea, it is still more than sufficiently sizeable to claim with ease the official zoological superlative of the world's largest flea species, some specimens of which are up to one third of an inch long.
Yet, remarkably, whereas so many of its far smaller kith and kin had been known to science and the general public alike for untold centuries, this bloodsucking behemoth remained zoologically undescribed and unnamed until little more than 100 years ago.
A 6-mm-long specimen of Hystrichopsylla schefferi (© Ryan Eide/BugGuide –
Creative Commons licence for more details; reproduced here on a strictly non-commercial Fair Use basis for educational/review purposes only)
Needless to say, such an outstanding creature readily claimed its place in all three of my volumes on new and rediscovered animals of the 20th and 21st Centuries. So here is what I wrote about it in the most recently-published tome in this trio, The Encyclopaedia of New and Rediscovered Animals: From Okapis To Onzas – And Beyond! (2012):
In 1921, publication of the formal scientific description of Hystrichopsylla schefferi introduced zoologists to the world's largest species of flea. When its original name, H. mammoth, was disallowed on a nomenclatural technicality, it was renamed H. schefferi, after its discoverer, agricultural researcher Theophilus Scheffer, from the USA's Bureau of Biological Survey. He had collected the type specimen whilst in Washington State, finding it inside a nest belonging to the world's most primitive species of rodent – Aplodontia rufa, the sewellel, though also referred to popularly but very inappropriately as the mountain beaver (it is neither a mountain-dweller nor a beaver!). Other specimens have been collected since, some of which are more than 8 mm (0.31 in) long.
Subsequently nicknamed 'Super Flea', H. schefferi appears to be a specific parasite of the sewellel; most specimens have been obtained from individuals of this rodent, or from their nests. A few have also been taken from the fur of mink and spotted skunks, but as these are carnivores that are known to prey upon sewellels it is likely that they received their over-sized parasites directly from their prey or, once again, from its nests. Little is known either about the natural history of 'Super Flea' or about that of its host, so the mystery of why the world's most primitive rodent should be exclusively parasitised by the world's largest flea has yet to be solved.
An illustration of the sewellel or mountain beaver from 1918 (public domain)
Incidentally, the taxonomic and nomenclatural niceties relating to this significant insect species are more complex than I had space to elaborate upon in my above account, so here is the full story.
What we now know to be Super Flea was initially described by American zoologist Dr Edward A. Chapin under the name Hystrichopsylla schefferi in 1919 (in a paper published by the Bulletin of the Brooklyn Entomological Society), and whose type specimen was a 6.2-mm-long female. But then in 1921, Chapin described a second, marginally bigger species, which he named H. mammoth (in a paper published by the Proceedings of the Entomological Society of Washington), and which was based upon a 7.38-mm-long male type specimen plus a 7.53-mm-long female allotype specimen, thereby making it the world's largest flea species (as it was even larger than H. schefferi). However, this latter, bigger species was later shown to be one and the same as H. schefferi.
Nevertheless, for a while it was still the rather more dramatic 1921 name H. mammoth by which Super Flea was generally referred to. Eventually, to clear up the confusion, the rules of nomenclatural priority were brought firmly into play, and as the name H. schefferihad been coined two years before H. mammoth (albeit by the same person), the latter name was disallowed (i.e. demoting it to a synonym of the former). So it is H. schefferi that is used by most (though still not all) researchers for this species today. As a result, Super Flea is nowadays technically deemed to have been described in 1919 rather than 1921, because even though the two 1921 specimens were bigger than the 1919 specimen, this is irrelevant now that the species that the 1921 specimens represented, H. mammoth, has been subsumed into H. schefferi. Who'd be a nomenclatural taxonomist?!
DINOSAUR PSEUDO-FLEAS – OR, GREATER MONSTERS HAVE LESSER MONSTERS…
The earliest known prehistoric representatives of the true fleas that possess modern morphological features are of comparably tiny size to their present-day counterparts, and date back at least 40-50 million years, having been discovered embedded in both Baltic and Dominican amber, but none dating back to Mesozoic times (65-250 million years ago) are currently known. Due to their laterally flattened bodies, these prehistoric true fleas most probably parasitized mammals and birds, just like present-day true fleas do, rather than any form of scaly reptile.
In 2012, however, Chinese scientists revealed the former existence of a hitherto-unknown lineage of prehistoric parasitic insect, unrepresented by any present-day species, whose members were considerably bigger than true fleas, whose bodies were flattened dorsoventrally rather than laterally, and which, by dating from the Jurassic and Cretacous Periods of the Mesozoic Era may well have targeted some of the mighty dinosaurs as their preferred hosts. A memorable case of greater monsters having lesser monsters upon their backs to bite them??
They were discovered independently in the same Chinese sites by two different teams of researchers and are currently known from four different species, all belonging to the specially-created genus Pseudopulex, which translates as false flea or pseudo-flea. As a result, scientists colloquially refer to these exceedingly sizeable flea analogues as pseudo-fleas, thereby emphasizing that they were not true fleas. In contrast, exhibiting their usual predilection for headline-grabbing hyperbole over sober scientific authenticity, a fair few media reports have instead burdened them with such melodramatic monikers as "monster fleas", "gigantic horror fleas", and sundry other sensationalized nicknames.
As readers who have seen such headlines but without realizing their less than accurate nature may therefore expect me to document these noteworthy insects here, I have indeed decided to do so, even though they are not true fleas, but rather because it provides an ideal opportunity to present the facts and dispel the fallacies associated with them.
Restoration of the likely appearance in life of the prehistoric pseudo-flea Pseudopulex jurassicus (© Oregon State University/Wikipedia –
CC BY-SA 2.0 licence
)
The four species of pseudo-flea so far described are P. jurassicus, P. magnus, P. tanian, and P. wangi, with most scientific work so far having been conducted upon the first two species, both from China's Inner Mongolian region. As its name indicates, P. jurassicus lived during the Jurassic Period, specifically during the mid-Jurassic, approximately 165 million years ago. P. magnus, the biggest species, is of younger age, dating from the early Cretaceous, approximately 125 million years ago, P. tanian is the smallest pseudo-flea species currently known, while in P. wangi the females were much larger than the males, indicating sexual dimorphism. All four species bore longer claws on their feet than those of true fleas.
The most readily obvious morphological differences between the past and present true fleas and the exclusively prehistoric pseudo-fleas are the shape and size of their bodies. In true fleas, their body is laterally compressed, which greatly facilitates the ease of these ectoparasitic insects' movement between hairs in furry mammals and feathers in birds (and possibly in prehistoric feathered non-avian dinosaurs too) in order to reach their host's soft skin that they can then pierce with their narrow, fine proboscis and suck forth its blood, upon which they subsist.
In pseudo-fleas, conversely, their body is dorsoventrally flattened (more like those of bedbugs and lice), which, while greatly impeding these ectoparasitic insects' movement between hairs and feathers, would readily enable them to squeeze between scales, in order to reach the soft skin underneath, which they could then pierce using their broader, coarser proboscis (see below), and thence draw forth the blood that they subsisted upon.
Line diagram and fossils of the prehistoric pseudo-flea Pseudopulex tanian (Wikipedia/public domain)
Consequently, scientists deem it likely that whereas true fleas seek out mammals and birds as hosts, pseudo-fleas would have instead parasitized reptiles, including scaly non-avian dinosaurs, and possibly pterosaurs too.
As for body size: all of the pseudo-flea fossils so far discovered are far bigger than true fleas – measuring from 17 mm to nearly 22 mm (i.e. almost 1 inch long), whereas most true fleas are less than 6 mm long (even H. schefferirarely reaches 8 mm long). Moreover, their mouthparts are proportionately much larger than those of true fleas, and of particular note is that their proboscis is not only broader but also serrated in a far coarser manner than the much narrower, finely-serrated proboscis of true fleas. This in turn means that when a pseudo-flea plunged its proboscis into the soft skin of its host, it is likely to have caused the pseudo-flea's dinosaurian host much more pain than the mammalian and avian hosts of true fleas experience.
In fact, to quote Oregon State University zoologist and fossil insect specialist Prof. George O. Poinar Jr speaking about pseudo-fleas in a newspaper interview from May 2012: "It would have felt about like a hypodermic needle going in – a flea shot, if not a flu shot. We can be thankful our modern fleas are not nearly this big". We can indeed!
BEE LOUSE, OIL BEETLE, AND ANOTHER WAYWARD NOTION BY WESTWOOD
I mentioned earlier in this present ShukerNature blog article of mine that Prof. J.O. Westwood lost no time in publicly conceding that he had been wrong in previously declaring the squashed remains of a juvenile cockroach to be those of a hitherto-unknown gigantic flea – but the rapidity of his recant should not really come as any great surprise. For notwithstanding his celebrated status as an entomologist of no little eminence and esteem, when it came to promoting mistaken identifications the good professor definitely had form.
In my previously-mentioned 1997 book From Flying Toads To Snakes With Wings, directly preceding my brief note concerning the imperial flea I had included the following short account concerning another erroneously-classified insect, the so-called bee louse Pediculus apis:
Equally delightful is the story of the bee louse. Its victims included among their number the very eminent eighteenth-century zoologist Johann Cristian Fabricius, who formally christened it Pediculus apis [a name that directly translates as 'bee louse']. There is no doubt that this small insect does indeed resemble a louse, but appearances can – and do – deceive. Many years later, the 'bee louse' was revealed to be the first larval stage of the oil beetle Meloë violaceus, but it is so unlike any other type of beetle larva that Fabricius can certainly be forgiven for taking its louse-like form a little too literally.
Engraving of Johann Cristian Fabricius (public domain)
Incidentally, as a brief digression, I wish to point out here that I obtained my information concerning the bee louse's supposed scientific naming as Pediculus apis by Fabricius (1745-1808) from Ewald Reitters book Beetles (1961), which states:
Johann Cristian Fabricius (1745-1808) believed it to be a louse and named it Pediculus apis F., the bee louse.
However, I have since discovered that this name was originally given to it by none other than the originator of the taxonomic binomial system himself, a certain Carl von Linné (1707-1778), aka Carolus Linnaeus. He duly dubbed it on p. 614 in the monumental 10thedition of his pioneering work Systema Naturae, which was published in 1758 (at which time Fabricius would have only been about 13 years old).
Adult oil beetle Meloë violaceus (public domain)
Anyway, whereas the adult oil beetle is a notably short-winged but otherwise fairly typical glossy-black coleopteran of the free-living, non-parasitic kind commonly seen scuttling about in sunny gardens and other dry flower-nurturing habitats across Britain, continental Europe, and northern Africa, its first larval form, which hatches directly from this species' eggs, is very different morphologically, and actively parasitizes bees.
Known as a planidium, this tiny but highly specialized larva's body is long and thin (filiform), ferruginous brown in colour, very flattened dorsoventrally, and highly sclerotized, so it does indeed look superficially louse-like and entirely unlike its adult form. Moreover, each of its six limbs terminates in three long claws (as a result of which it is sometimes called a triungulin, more about which later).
Planidium of the oil beetle Meloë violaceus (© Janet Graham/Wikipedia –
CC BY 2.0 licence
)
Climbing up the stalk of a nearby flower in swarms and sitting in wait upon its blossom, the planidia use their claws to latch onto any bee that arrives to sip nectar and collect pollen from the flower, and these miniscule parasites are then carried by it (phoresy) back to its hive, nest, or burrow (depending upon whether the bee is a social or solitary species). Once there, the planidia duly lay waste to the bee eggs and larvae present, as well as any stored pollen, devouring them hungrily as they gradually metamorphose from one larval stage (instar) into another, until eventually they pupate into the adult beetle form, after which they then exit their apian host's domicile and live normal, non-parasitic beetle lives thereafter in the outside world.
Due to its louse-like form and the knowledge that it could be found inside bee hives, however, Linnaeus failed to make any connection between the oil beetle's planidium larva and the adult oil beetle. Instead, he mistakenly assumed that the planidium was a genuine species of louse, which, as noted earlier, he duly christened Pediculus apis, the bee louse (not to be confused, incidentally, with various highly specialized species of wingless dipteran fly, the braulids, which are colloquially dubbed bee lice because they too parasitise bees).
Linnaeus, painted by Alexander Roslin in 1775 (public domain)
Nor was Linnaeus alone in this misconception – the afore-mentioned Fabricius also labored under it, as did a number of other insect authorities too, including prominent French naturalist Léon J.M. Dufour (1780-1865), who in 1828 named the bemusing little bee louse Triungulinus andrenetarum, from which the term 'triungulin', often applied to such larvae, originates. Yet another binomial name applied to this insect was Pediculus melittae, in 1802, by English entomologist William Kirby (1759-1850).
By the mid-1830s, however, it was becoming increasing accepted in entomological circles that the bee louse was actually the first larva of the oil beetle. Even so, this view was not without its skeptics, and one dissenting voice in particular was none other than that of Prof. J.O. Westwood.
Engraving of a youthful Prof. J.O. Westwood holding a goliath beetle (public domain)
In a Transactions of the Entomological Society of London paper published in 1839, which dealt with a bizarre taxonomic order of tiny parasitic insects known variously as strepsipterans, stylopids, or twisted-wings (only the males are winged, the female are both wingless and limbless), Westwood also considered the issue of bee louse/oil beetle synonymity. Yet despite acknowledging that bee lice had been directly observed emerging from oil beetle eggs, he was still not entirely convinced that the former were indeed the first larval stage of the latter. Instead, he speculated that perhaps the bee lice were of external origin and had somehow penetrated the eggs of the oil beetle, thereby giving rise when they subsequently emerged from these eggs to a misconception that they had actually originated within them:
No one, it is admitted, has ever seen the larva of Meloe, except as one of these minute Pediculi melitta, as Kirby calls them; and I have elsewhere said that, notwithstanding all the apparent proofs of their being the larvae of the Meloe, I cannot but think them in some unaccountable manner or other to be parasites, not only upon the bees, but also within the eggs of the Meloe. It is true many observers have seen them hatch from the eggs of the Meloe.
Westwood even speculated that perhaps the minute parasitic stylopids might actually be "the younger state of the Pediculus melittae". This is despite the notable fact that the stylopids belong to an entirely discrete taxonomic order from all other insect forms. Named Strepsiptera, it was created for them by none other than the afore-mentioned William Kirby, in 1813, i.e. almost 30 years before Westwood's above-quoted paper was published, so he was well aware of their taxonomic distinctness.
Scale line drawing of male (winged) and female (wingless) strepsipterans (public domain)
Happily, in 1851, distinguished English entomologist George Newport (1803-1854) revealed beyond any shadow of doubt the extraordinary life cycle of the oil beetle. For he not only had observed planidia being carried by Anthophorabees into their nest, but also had described the later, recognizably beetle larval stages in the nest's cells – and, in so doing, had thus confirmed the bee louse's true taxonomic identity.
In conclusion, the histrionic and in places quite hysterical histories of the imperial flea and the bee louse readily demonstrate that not even the most experienced experts are immune to error – but as they are, after all, only human, we should not be too surprised.
My sincere thanks go to Dr Darren J. Mann for very kindly permitting me to include his photos of the imperial flea specimen and its specimen labels within this article.
William Kirby, who created the taxonomic order Strepsiptera for the tiny parasitic stylopids or twisted-wings (public domain)
January 31, 2021
THE CONGOLESE NDENDECKI – A VERITABLE DINOSAUR TURTLE?
Reconstruction of the possible appearance in life of the Congolese ndendecki, alongside a local pygmy for scale purposes (© David Miller/Prof. Roy P. Mackal)
During the 1980s, Prof. Roy P. Mackal, famous as both a Chicago University biochemist and an enthusiastic spare-time cryptozoologist, led two expeditions to the Republic of the Congo (formerly the French Congo) in search of a mysterious water beast known as the mokele-mbembe, which apparently bears a remarkable resemblance to a small sauropod dinosaur. Sadly, they did not encounter any such creature while there, but they did discover that it was only one of several different types of very large mystery reptile claimed by the local pygmies and Western missionaries to inhabit the vast and virtually inaccessible Likouala swamplands in this country's central region.
Among this assortment of cryptozoological curiosities was the ndendecki, which Mackal's expeditions nicknamed the dinosaur turtle due to its huge size, at least according to reports from eyewitnesses living in the village of Boha and collated by Gilbert Bonguenele Manengue. He was a public security agent commissioned by the military governor general of Brazzaville (this country's capital) to gather together for Mackal's expeditions any available information appertaining to putative unknown animals, and was himself born in Boha.
Life-sized fossil replica of a Stupendemys carapace (
© Chris Gladis aka MShades-Wikipedia - CC BY 2.0 licence)
The shell of this gargantuan freshwater chelonian was claimed by the Boha villagers to be conspicuously rounded in shape and to measure some 12-15 ft in diameter, which is very considerably bigger than that of any known species of aquatic chelonian alive today. It even exceeds the largest known fossil freshwater chelonian, the aptly-named Stupendemys, a side-necked turtle from South America's Miocene epoch that may have grown up to 11 ft long, but slightly less in diameter. Happily, however, the ndendecki apparently poses no threat to humans, browsing harmlessly upon detritus at the bottom of rivers and lakes.
As it happens, the Likouala swamps are already known to harbour one fairly large species of freshwater turtle, the African softshell Trionyx triunguis – a well-documented chelonian found in many parts of Africa. However, this species rarely exceeds 3 ft across. Nevertheless, Congolese zoologist Dr Marcellin Agnagna, who has participated in several mokele-mbembe expeditions and has extensive knowledge of the Likouala's fauna, is convinced that this species and the gigantic ndendecki are one and the same, dismissing the appreciable size difference between the two as nothing more than exaggeration upon the part of the eyewitnesses.
Softshells, plus an African hoopoe (public domain)
Yet such exaggeration would need to be on a very grand scale indeed to enlarge a 3-ft turtle by approximately four to five times, and it seems unlikely that locals would be prone to such an overestimation of size for a species that is very common here and must therefore be a familiar sight to them. Consequently, it seems more plausible to believe that amid the Likouala's immense and yet scarcely explored wilderness of lakes, rivers, and swamps are some extra-large individuals of T. triunguis that have lived to great ages and continued growing throughout their protracted lives. Perhaps 13-16.5 ft is indeed an exaggeration, but even a softshell only half as big would still be an extremely imposing creature to encounter, and could certainly explain the ndendecki.
More information concerning the ndendecki can be found in Roy Mackal's book A Living Dinosaur? (1987).
Prof. Roy P. Mackal and his book A Living Dinosaur?
(© Prof. Roy P. Mackal/E.J. Brill)
January 3, 2021
ELUCIDATING THE TWO 'CIVIL WAR PTERODACTYL' THUNDERBIRD PHOTOGRAPHS
The two so-called Civil War Pterodactyl thunderbird photographs: the PTP photo (top) and the AP photo (bottom) (both photos © FreakyLinks/Haxan Films/Regency Television/20th Century Fox Television – reproduced here on a strictly non-commercial Fair Use basis for educational/review purposes only) Over the years, I have documented on ShukerNature a number of alleged thunderbird photographs (some of them even being claimed on various online sites to be THE infamous, missing thunderbird photograph – click herefor the latter's fascinating if highly frustrating history), and I have exposed each one of them either as an intentionally deceiving hoax perpetrated by creator(s) unknown, or as a pastiche deliberately intended as a tribute to the missing thunderbird photo that has been openly and unequivocally identified as a pastiche by its creator(s). Click here, here,here, and hereto access these cases. Yet the photographs from this particular cryptozoological category that have elicited the most queries sent to me by readers, and continue to do so, are the two that form the subject of this first ShukerNature blog article of mine in 2021 – namely, the so-called Civil War Pterodactyl thunderbird photos.
Before I go any further, however, I must point out that their full details were first revealed online elsewhere (see later for a clickable link to that source). Consequently, this present concise article of mine is intended merely as a summary, an elucidation, for anyone who has not seen that very comprehensive original coverage and is therefore checking ShukerNature for information concerning them instead.
First and foremost, setting the scene: as my article's title and opening illustrations clearly demonstrate, there is not just one Civil War Pterodactyl thunderbird photograph (as is sometimes mistakenly assumed), but two. Although superficially similar, each depicting a group of men in American Civil War uniforms standing around a large seemingly-killed pterodactyl-like mystery beast lying on the ground, and therefore corresponding with some claimed recollections of the missing thunderbird photo (in turn explaining why they have been popularly dubbed the Civil War Pterodactyl thunderbird photos), a closer look readily shows that the two beasts are in fact quite different, as are the men.
Both photos look very old and tattered, their existence ostensibly indicating that at some stage during the American Civil War (1861-1865), a group of soldiers somehow managed to kill a living, modern-day pterodactyl, or something extraordinarily like one. As a result, the two images have variously appeared separately and together on many online sites and elsewhere as evidence that these winged reptiles did not become extinct at the end of the Cretaceous Period approximately 65 million years ago as currently indicated by the fossil record, but have somehow survived into the present age, at least in North America.
In fact, the reality is very different. As will be seen, both Civil War Pterodactyl thunderbird photographs have the same origin, and are completely artificial, but were created for two very different, entirely separate purposes.
One of these photos is commonly dubbed the PTP Photo online, and sometimes even the PTP Pterodactyl Photo, although the latter is decidedly tautological, bearing in mind that PTP is short for Pterosaur Photo (and as pterodactyls constitute a major taxonomic group of pterosaurs, this means that if referred to in full it would be the Pterosaur Photo Pterodactyl Photo!). Here it is:
The PTP Photo (© FreakyLinks/Haxan Films/Regency Television/20th Century Fox Television – reproduced here on a strictly non-commercial Fair Use basis for educational/review purposes only)
The other photo does not seem to have a specific name. Consequently, for reasons that will shortly become obvious, I shall refer to it hereafter as the AP Photo, with AP being short for Advance Publicity. Here it is:
The AP Photo (© FreakyLinks/Haxan Films/Regency Television/20th Century Fox Television – reproduced here on a strictly non-commercial Fair Use basis for educational/review purposes only)
Originally screened from October 2000 until June 2001, FreakyLinks was a single-season, 13-episode science fiction TV show originating in the USA. It was created by American film producer Gregg Hale (best known for producing the movie The Blair Witch Project) and David S. Hoyer (an American film-maker, novelist, and comic book writer, with many superhero movie screenplays to his name, most notably those for the trilogy of Blade movies and the Dark Knight trilogy of Batman movies). The production companies responsible for bringing FreakyLinks to the small screen were Haxan Films, Regency Television, and 20th Century Fox Television
The focus of FreakyLinks is a mysteries-obsessed geek named Derek Barnes (played by Ethan Embry), who has a website entitled FreakyLinksthrough which he channels his investigations and findings relating to a wide range of unexplained phenomena, and he is assisted in his endeavours to uncover the truth by a couple of friends. Each episode deals with a different case investigated by them, and the subject of Episode 4, which is entitled 'Coelacanth This!', is a series of recent attacks upon people by some huge winged mystery beast. Derek believes that this may be a living pterodactyl (i.e. a prehistoric survivor, hence the coelacanth reference in this episode's title) and, in turn, the origin of cryptozoological thunderbird reports dating back more than a century.
This is where the two Civil War Pterodactyl photos come in, because the PTP Photo had been created specifically (and digitally) by a VFX company hired by the production design team at FreakyLinks to appear (as indeed it did) in 'Coelacanth This!', which was first screened on 27 October 2000. At the time of my writing and uploading this blog article of mine onto ShukerNature, 'Coelacanth This!' can be watched for free here on YouTube, so you can readily confirm for yourself that the PTP Photo does indeed appear in this episode. Moreover, below are three screen shots of this photo's presence in it that reveal precisely when it first appears (it does so more than once in this episode – see the end of this present article for a screen shot of its reappearance).
Three screen shots of the PTP photo's first appearance in 'Coelacanth This!' – Episode 4 of FreakyLinks - please click each one to enlarge it for viewing pueposes
(© FreakyLinks/Haxan Films/Regency Television/20th Century Fox Television – reproduced here on a strictly non-commercial Fair Use basis for educational/review purposes only)
The PTP photo should not be (but very often is) confused with an earlier, visually inferior Civil War pterodactyl photo. This latter picture is none other than the AP Photo, which features different actors as the Civil War soldiers, plus a different pterodactyl, in the form of a physical model. The AP Photo had also been created for FreakyLinks but, crucially, was used by them solely for advance publicity purposes, being included (together with a specially-created back story for it) in their FreakyLinks website (which in turn had been launched two years prior to the show's actual screening in order to promote it), but never actually appearing onscreen in the show itself.
Two decades later finds the FreakyLinks website now archived within the website of Haxan Films, but if you click hereyou can still access the page from it containing the AP Photo. Moreover, the pterodactyl model from the AP Photo is now housed at veteran cryptozoologist Loren Coleman's famous International Cryptozoology Museum at Portland, in Maine, USA.
Screen shot of the relevant section of the page from the original FreakyLinks website (now archived within the site of Haxan Films) that contains the AP photo
- please click it to enlarge for reading purposes (© FreakyLinks/Haxan Films/Regency Television/20th Century Fox Television – reproduced here on a strictly non-commercial Fair Use basis for educational/review purposes only)
But why do two different Civil War Pterodactyl photos associated with FreakyLinksexist? Why wasn't just one created, to appear both onscreen in the show itself and online in its publicity website? The reason is as follows.
The AP Photo was created first, but apparently there was subsequently a problem in obtaining talent releases for the actors featured in it, which would be needed if it were indeed to be shown onscreen in the episode. Also, the show's production designer allegedly didn't think that the AP Photo's pterodactyl was very impressive.
So Haxan Films hired the visual-effects company E=MC2 Digital to create a second, more spectacular Civil War Pterodactyl photo (which would then be shown in the episode), and signed up new actors to appear in it. The result was the PTP photo, with the pterodactyl in it being a digitally-added image this time, as far as I'm aware, rather than a physical model.
So, to reiterate the key fact here: it was the PTP photo that was used onscreen in the actual FreakyLinks episode, not the AP Photo, which appeared instead in the show's online publicity website.
All of this and more concerning the two different FreakyLinks Civil War Pterodactyl photos was first revealed by Brian Dunning in a fascinating Skeptoid podcast and accompanying online transcript of 9 January 2018 that finally and comprehensively dispelled the confusion that had hitherto enshrouded these two images for so long online. Consequently, I strongly recommend that you click hereto listen to his podcast and/or read his transcript for full details concerning this now fully-resolved but still very interesting cryptozoological case. (A detailed analysis of the PTP photo within the context of putative living pterosaurs can also be accessed here.)
A screen shot showing the reappearance of the PTP Photo near the end of the 'Coelacanth This!' episode of FreakyLinks(© FreakyLinks/Haxan Films/Regency Television/20th Century Fox Television – reproduced here on a strictly non-commercial Fair Use basis for educational/review purposes only)
December 31, 2020
BIG BIRD IS BACK IN BRITAIN – TWICE OVER!
Exquisite 1860s illustrations of the common crane (left) and the white stork (right), two spectacular species making very welcome returns to Britain as re-establishing breeding birds (public domain) There hasn’t been a great deal to be thankful for in 2020, but on the ornithological front Great Britain has two very notable reasons to consider this year a favourably memorable one. This is due to the very welcome return as potentially re-establishing UK breeding birds of two very sizeable, spectacular species. Veritable Big Birds of Sesame Street stature, in fact, at least when compared to most other feathered members of the British fauna, they were both formerly native here, but until now have been conspicuous only by their continued absence from our shores for several centuries, except as non-breeding vagrant visitors.
So what better way to end this dismal year than on an avian high, by documenting these two very significant success stories here as my final blog article for 2020 on ShukerNature.
CRANING FOR ATTENTION
A bird that commands attention for the simple fact that, at over 4 ft tall and sporting a wingspan of up to 8 ft across, it is difficult to overlook is the common crane Grus grus – and for especially good reason lately.
This is because, after having been exterminated in Britain by hunting and habitat destruction several centuries ago, during the 1600s, this stately long-necked species has recently made a dramatic comeback here, and for two wholly separate reasons.
Common cranes, painted by Edward Neale, 1890s (public domain) Firstly, in 1979 a few individuals from mainland Europe returned to their former wetland homeland in Norfolk in eastern England and began to breed, gradually increasing their numbers during the next 40 years.
Secondly, conservation work to improve wetlands elsewhere in England eventually encouraged this greatly-welcomed prodigal bird to spread further afield too.
A pair of common cranes (© Олексій Карпенко/Wikipedia –
CC BY-SA 4.0 licence
) In April 2020, the UK Crane Working Group was pleased to announce that crane numbers in Britain have reached their highest number for more than 400 years, with 56 breeding pairs here last year and 26 chicks successfully reared.
So if this very positive trend continues, with crane numbers increasing still further and its geographical range continuing to expand, it seems likely that before very much longer, wildlife enthusiasts in the UK may not have to crane their own necks too hard in order to catch sight of this elegant bird here once again.
STORKING A PLACE IN HISTORY
With the common crane gradually re-establishing itself in Britain after having previously died out here back in the 1600s, I'm delighted to say that another tall, equally spectacular bird is seeking to do the same after an even longer absence.
Standing up to 4 ft tall and boasting a wingspan of up to 7 ft, the white stork Ciconia ciconia is last known to have successfully nested in the UK way back in 1416, when a pair did so at St Giles' Cathedral in Edinburgh. Since then, this famous species has been but a rare non-breeding visitor to Britain from continental Europe – until last year, that is.
Adult male (left) and juvenile (right) white storks, painted by M.A. Koekkoek, from Ornithologia Neerlandica, Vol. 1, by E.D. van Oort, 1868 (public domain) Founded in 2016 by a partnership of private landowners and nature conservation charities, the White Stork Project operates in three localities in Surrey and West Sussex, southern England, and using a series of injured storks from Poland that cannot fly far it hopes to re-establish the species as a breeding bird here.
In 2019, one of its females plus an unringed, possibly wild stork visiting from the continent paired up, built a nest in a tree within the Knepp Castle Estate, West Sussex, and laid some eggs, but tragically they failed to hatch.
A pair of adult white storks on their nest (© Andrea0250/Wikipedia –
CC BY-SA 4.0 licence
) As all storks do, this pair then spent the winter in warmer, African climes, but they returned to the same estate this spring, built a nest in a tree near to the one that they used last year, the female laid some eggs again – and this time, in early May, they hatched!
The White Stork Project is naturally delighted, and hopes that this much-anticipated event will herald the beginning of the breeding pair's stately species staking its much-deserved place in Britain's natural history once more. The Project's aim is to restore a population of at least 50 breeding pairs of white storks in southern England by 2030.
A gorgeous painting of white storks from Richard Crossley's The Crossley ID Guide Britain and Ireland (© Richard Crossley/Wikipedia –
CC BY-SA 3.0 licence
)
Today, 31 December 2020, marks the 126thanniversary of the birth of my maternal grandmother, Gertrude Timmins, who passed away at the age of 99 in April 1994. I can still vividly remember Nan telling me when I was a youngster that once, while on a guided tour somewhere in Great Britain during the early 1900s, she saw an unusual bird that the guide identified as a crane. From her description of it, the bird seemed too small for such a species, but she stressed that the guide had insisted that it was indeed a crane. So who knows, maybe it was – a juvenile straggler, perhaps, a lonely stranger on the shore, like so many of us are.
Nan with my Jack Russell terrier Patch during the mid/late 1970s (© Dr Karl Shuker)
Happy birthday, Nan – how I wish that you, Mom, and all of my family were here with me to celebrate your big day today, and to greet the New Year all together tomorrow.
Wishing all of my ShukerNature readers a very happy, healthy 2021, and hoping that it will inspire me to prepare and post many exciting new blog articles here on ShukerNature!
Common cranes portrayed in another breathtakingly beautiful painting from Richard Crossley's The Crossley ID Guide Britain and Ireland (© Richard Crossley/Wikipedia –
CC BY-SA 3.0 licence
)
MISSING MACAWS OF THE WEST INDIES - Part 2: A MULTICOLOURED MULTITUDE OF MYSTERY MACAWS
Dominican green and yellow macaw statuette, its colouring digitally created to match Atwood's description (© Dr Karl Shuker) In Part 1 of this 2-part ShukerNature blog article (click hereto access it), I surveyed an array of mysterious, seemingly-vanished or even still-undiscovered types of macaw with either predominantly blue or predominantly red plumage. Now, in Part 2, I am reviewing a number of varicoloured lost macaws, sporting plumages that were either green and yellow or blue and yellow, and will then be assessing the entire spectrum of Caribbean mystery macaws whose histories I have documented in Parts 1 and 2.
ENIGMAS IN GREEN AND YELLOW
Although there is no species of macaw with almost exclusively green and yellow plumage alive today, two so-called green and yellow macaws, both now extinct, have been described and named from the West Indies. Having said that, one of these, the Jamaican green and yellow macaw Ara erythrocephala, which became extinct around 1842 and was formally named by Lord Walter Rothschild in a 1905 scientific paper, also had a red head, blue wings, and a red-and-blue tail! Only its neck, shoulders, and underparts were green, and only the under plumage of its wings and tail was yellow. Consequently, it is also known as the red-headed green macaw.
Jamaican green and yellow macaw Ara erythrocephala, painted by Dutch wildlife artist John Gerrard Keulemans for Lord Walter Rothschild's book Extinct Birds, 1907 (public domain)According to Jamaican resident Richard Hill (who assisted naturalist Philip H. Gosse in preparing his book The Birds of Jamaica – see Part 1 of my article), this species could be found in a very remote mountain district between Trelawney and St Anne's, and also in the southern part of Jamaica's Cockpit region. Interestingly, Hill did not consider it to be resident in Jamaica, because he claimed that it could only be found there during the winter period, and he assumed that it bred in Mexico instead.
Hill also deemed it to be one and the same as the military (aka great green) macaw A. militaris. Yet a red head is conspicuous only by its absence in that principally all-green species.
Military or great green macaws Ara militaris(public domain) Unlike the Jamaican green and yellow macaw, the other one, the Dominican green and yellow macaw Ara atwoodi, believed to have died out around 1800, was indeed principally green and yellow. Today, it is known directly only from a short description penned by British colonial judge Thomas Atwood (after whom it was named) in his book The History of the Island of Dominica (1791). This is what he wrote:
The mackaw [sic] is of the parrot kind, but larger than the common parrot [a species of amazon parrot, much smaller than any macaw], and makes a more disagreeable, harsh noise. They are in great plenty, as are also parrots in this island; have both of them a delightful green and yellow plumage, with a scarlet-coloured fleshy substance from the ears to the root of the bill, of which colour is likewise the chief feathers of their wings and tails. They breed on the tops of the highest trees, where they feed on the berries in great numbers together; and are easily discovered by their loud chattering noise, which at a distance resembles human voices. The mackaws cannot be taught to articulate words; but the parrots of this country may, by taking pains with them when caught young. The flesh of both is eat[en], but being very fat, it wastes in roasting, and eats dry and insipid; for which reason, they are chiefly used to make soup of, which is accounted very nutritive.
Originally categorised as conspecific with the long-extinct Guadeloupe red macaw Ara guadeloupensis, after reading Atwood's account Austin Hobart Clark reclassified it as a separate species in 1908.
Dominican green and yellow macaw Ara atwoodi, painted by Rafael Nascimento (© Rafael Nascimento)Tantalisingly, moreover, there is a version of a famous painting that actually depicts a principally green and yellow macaw. The painting in question is the spectacular dodo portrait prepared in 1626 by Flemish artist Roelandt Savery, which I previously referred to in Part 1 of this article, in relation to the mysterious, predominantly all-red macaw depicted by Savery to the immediate left of the dodo and which readily recalls descriptions of the vanished Guadeloupe red macaw.
However, this painting also contains a second macaw, depicted to the right of the dodo. On first sight, it looks very like the familiar blue and yellow macaw (aka blue and gold macaw) Ara ararauna from the South American mainland. Yet a closer look reveals that its under-tail coverts are yellow, whereas those of A. ararauna are blue. Nor is that all.
Dodo with two mystery macaws in Roelandt Savery's famous dodo painting, 1626 (public domain)As I noted in Part 1, Japan's dodo expert Masauji Hachisuka owned a copy of Savery's painting, which had been specially prepared for him by another famous but much later bird artist, John Gerrard Keulemans (1842-1912). It is a near-identical reproduction of Savery's original, except that the colours of the macaws in it are more distinct (also, the dodo itself is more brown than grey).
Of particular interest, the plumage of the right-hand macaw is not blue and yellow but is instead green and yellow. What, I wonder, is the significance of this notable colour discrepancy between Savery's original painting and Hachisuka's version of it?
Dodo with two mystery macaws in Keulemans's copy of Savery's original painting, in the frontispiece of Hachisuka book (public domain)Might it be that Hachisuka believed that down through the centuries the colours in Savery's painting had faded, and therefore when Hachisuka commissioned his version of it he had attempted to re-create its original appearance? If so, this meant that unless constituting a freak colour variety of it, the right-hand macaw may not have been a specimen of Ara ararauna at all (as already implied anyway by virtue of its yellow under-tail coverts?), but was conceivably an entirely different, seemingly now-extinct green and yellow species instead.
More conservative, alternative options include the prospect that it was an entirely non-existent, fictitious bird, 'invented' by Savery purely as colourful support for the more prosaic plumage of the dodo. Or perhaps it had once existed but Savery's depiction of it was based not upon any physical specimens but instead upon inaccurate verbal descriptions of a known species.
Blue and yellow macaw statuette (left), and the same statuette but now photoshopped into a green and yellow macaw (right) in order to simulate the right-hand macaw present in Savery's dodo painting (© Dr Karl Shuker)But what if Savery's right-hand macaw had been real, had been depicted accurately by Savery, and before fading during subsequent centuries had genuinely been green and yellow, and not blue and yellow? Might it therefore be a representation of the Dominican green and yellow macaw, thereby indicating that at least one specimen of this now-lost form had been brought back to Holland prior to its species' extinction?
Needless to say, this is all very speculative, but in view of the presence in the same painting of a second mysterious macaw that also just so happens to resemble accounts of another now-vanished West Indian macaw, it is nothing if not a most intriguing coincidence, to say the very least.
Bartholomeus van Bassen's painting 'Renaissance Interior With Banqueters', 1618-1620 - please click to enlarge for viewing purposes (public domain) No less interesting, moreover, is the equally mystifying macaw depicted in a second very noteworthy painting, this time prepared by Bartholomeus van Bassen (1590-1652), a celebrated Dutch architect and artist. Perhaps his most famous painting was 'Renaissance Interior With Banqueters' – an extremely detailed, sophisticated work of art that took from 1618 to 1620 to complete. Notwithstanding the architectural splendours and opulence that it depicts, the most fascinating aspect of it for me, however, is the parrot perching upon a chair in this painting's bottom left-hand corner, because it does not appear to correspond with any species known to be living today.
As noted earlier, artists have often included much-modified or even entirely fictitious examples of birds in their works, simply to enhance their visual appeal. In this particular case, conversely, van Bassen's painting is so meticulously executed and so accurate in all other details, including those of other creatures included in it, that it seems highly unlikely that he would have added a made-up bird.
Close-up of the mystery parrot in Bartholomeus van Bassen's painting 'Renaissance Interior With Banqueters', 1618-1620 (public domain) This case was brought to my attention some years ago by pets specialist and author David Alderton, who shares my view that the bird is unlikely to be an ornithological invention on van Bassen's part. In an email to me, David stated:
What I would say is that the other animals in the scene are very clearly recognisable. Based on its position in the painting, and its perch on rare/expensive material, this tends to suggest that this parrot is significant. It would have been rare and exotic of course – representing a flamboyant display of wealth in a very clear visual way, and I can't see it would have been a "fictional" bird.
So if we assume that the parrot represents a bona fide species, are there any that resemble it in some way?
Carolina parakeets, painted by John James Audubon (public domain) On first glance, it recalls the Carolina parakeet Conuropsis carolinensis, a predominantly green-plumaged species with a bright yellow head marked with red. Once common in North America, it suffered greatly from habitat destruction, from being captured for the pet trade, and by being heavily persecuted due to its fondness for farmers' crops, until the last confirmed specimen died in Cincinnati Zoo in 1918. Closer observation, however, reveals a number of marked differences between this now-demised species and van Bassen's painted parrot.
Van Bassen's parrot has golden-yellow underparts, whereas the Carolina parakeet's were green; it also has yellow lateral tail feathers whereas all of the Carolina's tail feathers were green; its wing primaries are red, not green like the Carolina's; the red markings on its head are more extensive than the Carolina's; and its relative proportions are very different from the Carolina's. Van Bassen's parrot has a much longer tail, a more powerful beak, and, judging scale from the chair upon which it is perched, a much larger overall body size. Indeed, in general appearance, the category of parrots that it most closely agrees with is the macaws.
Sun conure (© H. Zell/Wikipedia –
CC BY-SA 3.0 licence
) Consequently, attempts to liken it to various small species of South American conure parakeet, such as the sun conure Aratinga solstitialis and the jenday conure A. jandaya, are not satisfactory either, unless of course the bird has been badly painted, with incorrect plumage and/or dimensions.
For all of the reasons already discussed with regard to the prospect of its being a fictitious species, however, this notion seems untenable.
Jenday conure (public domain) However closely one studies images of a painting, even close-up ones of a specific section of it, there can be no substitute for viewing the painting itself directly. Happily, David Alderton was able to do precisely this, when 'Renaissance Interior With Banqueters' was on display several years ago at the National Gallery in London. As a result, he noticed various features of the parrot not readily visible even in close-up images of it. These include the presence of a white brow line above its eye, and, of particular interest, the extensive amount of bare white facial skin – a feature characterising macaws. Usually this area is limited to the sides of the face around the eyes, and at the beak's base, but in van Bassen's bird it also extends onto the top of the head.
After viewing the bird directly in the painting, David wondered whether it may be a Cuban red macaw Ara tricolor, whose last confirmed wild specimen was shot in 1864, since when this species has been deemed to be extinct (click here to access my coverage of this species in Part 1 of the present ShukerNature article). However, he conceded that the Cuban red macaw's plumage exhibited certain noticeable differences from van Bassen's. The most significant of these are the Cuban's blue wing primaries, its red cheeks, neck, and underparts, its red and blue tail feathers, and the much less extensive area of white facial skin.
Cuban red macaw Ara tricolor, by Keulemans, from Rothschild's Extinct Birds, 1907 (public domain) Conversely, Thomas Atwood's above-quoted description of the Dominican green and yellow macaw accords well with van Bassen's portrayed parrot – the precise configuration of its head's red colouration, its red wing feathers, and obviously its predominantly green and yellow plumage. True, Atwood did not mention any area of white on the Dominican macaws' faces, but in some species of macaw this region turns red if the bird becomes excited, so perhaps he simply didn't observe any macaws when in a quiescent state, only when they were squawking animatedly while feeding.
The only inconsistency in appearance between van Bassen's bird and Atwood's Dominican macaws is the mention of red tail feathers in his description, whereas the central tail feathers of van Bassen's parrot are green and the lateral ones are yellow. Perhaps, however, there was a slight degree of variation in the Dominican macaw's plumage colouration (sexual dimorphism, for instance?) that could account for this discrepancy? In all other respects, the match is much closer than for any other species, living or extinct.
A representation of the Dominican green and yellow macaw, created by A.C. Tatarinov by modifying Keulemans's original painting of a blue and yellow macaw Ara ararauna, but not including the red tail and red wing feathers mentioned for the former species by Atwood (public domain) So, as already suggested for Savery's mystery right-hand macaw, could it be that the enigmatic parrot perched in this other highly-renowned Dutch artist's early 17th-Century painting was a living Dominican green and yellow macaw, brought back to Europe as an eyecatching pet by (or for) a wealthy Dutch citizen?
During that period, all manner of rare and extremely exotic fauna were being transported here from every known corner of the globe, many of which had never before been seen in Europe. Consequently, a colourful macaw would be nothing special or unexpected on that score.
Keulemans's original blue and yellow macaw Ara ararauna painting (public domain) What wouldbe very special, and extremely unexpected, however, is if the macaw species in question subsequently became extinct but its exquisite appearance was preserved under the very nose of every art-lover in an extremely famous, spectacular painting, yet without its identity or zoological significance being recognised – until now?
If true, this is a great tragedy. After all, to paraphrase a certain classic comedy sketch from the golden age of British television, it may be an ex-parrot, but it had lovely plumage…
BEWILDERMENT IN BLUE AND YELLOW
The last two Caribbean mystery macaws to be documented here have separate taxonomic binomial names but only a shared common name – the Martinique macaw. This because these blue and yellow species may well have been one and the same species, yet there is no guarantee that even a single species existed. Bewildered? Then read on.
The Martinique macaw proper, as it were, is A. martinicus, which like so many other mystery macaws of the West Indies was formally named by Rothschild in his 1905 paper, although he originally assigned it not to the genus Ara but rather to the blue macaw genus Anodorhynchus(reclassifying it as an Ara species two years later in his book Extinct Birds). Rothschild based his description of it (as did Keulemans when preparing a full-colour painting of it for Extinct Birds) upon a brief account penned by French Jesuit priest Père Jacques Bouton during the 1630s. Bouton stated that the macaws of Martinique were two or three times as large as this island's other parrots, with blue and saffron plumage and a good body, and could be taught to talk.
Martinique macaw Ara martinicus, painted by Keulemans (public domain) At least two early paintings exist that may depict the Martinique macaw, one of which is none other than the previously-mentioned dodo painting by Savery, if we assume that the right-hand macaw really was blue and yellow, rather than green and yellow that through time has faded to blue and yellow. Of particular interest at the time was an announcement by Cuban scientist Mario Sánchez y Roig in early 1936 that he had uncovered a taxiderm specimen of this species, which had supposedly been collected in 1845 and mounted a year later. When fellow scientist J.T. Zimmer examined it just a short time after its discovery, however, it was swiftly exposed as a hoax, created by person(s) unknown.
It proved to be a composite specimen, in which the tail of an Old World Streptopeliadove had been combined with the head, body, and wings of a Chilean burrowing parrot Cyanoliseus patagonus byroni [now renamed bloxami]. Bearing in mind, however, that this parrot is small and predominantly green, it is difficult to comprehend how it could possibly have been intended or expected to impersonate with any prospect of success a large blue and yellow macaw.
Chilean burrowing parrot Cyanoliseus patagonus bloxami, painted by Edward Lear during the 1800s (public domain) Tainting the taxonomic waters even further: in his 1907 book Extinct Birds, Rothschild described a second, ostensibly distinct but equally lost species of Caribbean blue and yellow macaw that he formally dubbed A. erythrura, and he also included a full-colour painting of it once again prepared specially by Keulemans.
Rothschild had based this species upon a description in Charles de Rochefort's work Histoire Naturelle et Morale des Îles Antilles de l'Amerique (1658) of a type of macaw of unknown provenance within the West Indies, although both Martinique and Jamaica have been offered as possibilities by researchers.
Mysterious macaw Ara erythrura, aka satin macaw or red-tailed blue and yellow macaw, painted by Keulemans, (public domain) According to de Rochefort, its head, back, and the upper side of its neck were satiny sky blue, its belly, the underside of its neck, and its wings' underparts were yellow, and its tail was entirely red. Accordingly, it has since been dubbed variously as the red-tailed blue and yellow macaw, the satin macaw, the mysterious macaw, and, confusingly, the Martinique macaw.
American ornithologist James C. Greenway viewed this description with grave reservations, noting that de Rochefort had never even visited Jamaica, and suspecting instead that he had based it upon an earlier account written by Jean-Baptiste Du Tertre. Today, most ornithologists consider A. martinicus and A. erythrura as merely synonyms for the same single species, the Martinique macaw.
Psittacus alux maximus
, a mystery blue macaw with yellow wing tips and red under-tail feathers, depicted in an early painting by an unknown artist (public domain) Tantalisingly, however, in December 2012 Brazil-based mystery parrot enthusiast Rafael Nascimento drew my attention to a published but hitherto-obscure early painting entitled Psittacus alux maximus, and of currently-undetermined origin and painter. It depicts a predominantly blue macaw but with golden-yellow wing tips and red under-tail feathers that is somewhat reminiscent of A. erythrura except for lacking the latter's yellow underside.
Rafael had discovered the painting online on Facebook's 'Sixth Extinction Forum', which stated that it had been found in the central library of Paris's National Museum of Natural History but offered no additional information concerning it or the macaw that it depicts. Consequently, Rafael contacted the museum for details, but did not receive any reply.
Mystery blue and yellow macaw painted by Eleazar Albin in mid-1700s, possibly Ara martinicus (public domain) Also worthy of note is a painting produced during the mid-1700s by English naturalist and watercolour artist Eleazar Albin depicting an unidentified blue and yellow macaw said to have originated in Jamaica but which may be Ara martinicus.
Moreover, in 1740 Albin painted a striking red and blue macaw that again was supposedly of Jamaican provenance but is known only from this single illustration, and hence is referred to nowadays as Albin's macaw.
Albin's Macaw, painted by Eleazar Albin in 1740 (public domain)
KNOWN MACAWS OF UNKNOWN APPEARANCE
Irrespective of these contentious (albeit scientifically-named) macaw forms documented by me in Parts 1 and 2 of this ShukerNature article, moreover, there is also the intriguing possibility that there were others that unquestionably existed but died out before their physical appearance had been documented. Two such macaws are certainly known, being represented by physical evidence.
One of these is A. autocthones, the enigmatic macaw of St Croix (one of the American Virgin Islands), which has never been reported in the living state. It was long known only from a single leg bone obtained there, but is now also known from some skeletal material described in 2008 from Puerto Rico. The other is the currently-unnamed Montserrat macaw, presently known from just a single coracoid bone, and again of entirely unknown visual appearance.
IN SEARCH OF ORIGINS AND IDENTITIES
As noted earlier, because almost all of the ostensibly vanished Caribbean macaws documented by me in this 2-part article are known only from descriptions and paintings, not from any physical remains (the Cuban red macaw remaining the lone major exception to date), many ornithologists have discounted them as hypothetical species that may never have existed.
Instead, they suggest, these intangible birds may have been based solely upon misidentified or inaccurately-described known species (possibly even escapee pets belonging to certain mainland South American species) or hybrids of known species. It is certainly well-established that mainland South American species of parrot, including the large showy macaws, have frequently been imported into the West Indies from the mainland, and not only by Europeans and indigenous peoples during historic times but also by Palaeoamericans during prehistoric times.
A hybrid macaw with predominantly blue, green, and yellow plumage (public domain)However, as seen here, descriptions of the lost, mystery macaws reported from various of the Caribbean islands do not correspond with known mainland species. So unless their chroniclers' descriptions were invariably inaccurate, at least some such macaws may well have represented bona fide species distinct from mainland ones rather than merely escapee non-native pets belonging to various mainland species.
This discrepancy between descriptions of mystery macaws reported in the West Indies and known mainland species also provides problems when attempting to identify Caribbean macaws as native West Indian representatives of various mainland species (as James C. Greenway unconvincingly sought to do, for instance, with Jamaica's green and yellow macaw in relation to the mainland's military macaw A. militaris). Having said that, it may be that while still conspecific with their respective mainland counterparts the Caribbean mystery macaws had nonetheless diverged from them morphologically, perhaps even to the point of constituting valid island subspecies of the latter species. Yet if this were the case, i.e. that although conspecific with various mainland species the Caribbean macaws were native, island-indigenous representatives of them, they would surely be present in these islands' subfossil fauna. Yet no such subfossils have ever been found on any of the main Caribbean islands.
Hybrid macaw with green and yellow plumage (© Justin Henry/Wikipedia –
CC BY 2.0 licence
)As for hybrids: macaws are famous for being able to yield an astonishing array and diversity of crossbred varieties, including many F1, F2, and even F3-generation hybrids – and of such dazzling polychromatic splendour, far exceeding in multicoloured resplendence any of the many pure-bred macaw species, that I have no doubt that in terms of plumage colour any of the Caribbean mystery macaws documented here could conceivably result from hybridisation between various known species.
However, for such crossbreeding to occur there would need to be progenitor species here to begin with, which in turn hearkens back to the problems highlighted above in relation to such a prospect.
Might a green and yellow strain of hybrid macaw, like this exquisite individual specifically photographed for me by Facebook friend Michael Andrew Leigh at Singapore's famous Bird Gardens in April 2014, explain some of the earlier-documented historical reports of green and yellow macaws on Jamaica and Dominica? (© Michael Andrew Leigh) How about mutations? Both Tony Pittman and Brazil-based mystery parrot enthusiast Rafael Nascimento have informed me that a very beautiful mutation of the blue and yellow macaw occurs naturally in Brazil, whose aviculturalists refer to it as 'A. mosaica', on account of the eyecatching blue-mosaic pattern decorating the golden-yellow portions of its plumage. This in turn provides a precedent for other mutations similarly occurring in the wild state and thereby possibly even explaining some of the Caribbean's mysterious lost macaws, but all of this is pure speculation, with no physical evidence whatsoever to substantiate any of it.
The same applies to a fifth option that certain ornithologists have favoured – namely, that some Caribbean mystery macaws may actually have been tapiré artefacts, i.e. specimens whose normal, natural colouration has been artificially altered by Amerindians.
Might some Caribbean mystery macaws have been based upon nothing more than escaped pet specimens of known mainland species, such as South America's familiar blue and yellow macaw? (copyright-free)My own notion is that quite possibly a combination of all of these suggestions may collectively explain the Caribbean's controversial diversity of lost macaws. In other words: some of these mystery macaws might indeed be based upon nothing more than escapee non-native (i.e. mainland-derived) pets and/or inaccurate descriptions; whereas certain others could have genuinely constituted native island-specific subspecies of known mainland species (a very common occurrence in evolution across the entire zoological spectrum) or even distinct species. Also, a few may have been exotic escapee/released hybrids originally bred from mainland species imported in certain Caribbean islands; and there might even have been occasional spontaneous mutations arising on these islands, originating again from imported mainland species; plus one or two cases of tapiré macaws may possibly having been produced by natives here to sell as high-priced curiosities to visitors.
Personally speaking, I consider the first two of these five options to be much more likely than the others, but without physical evidence to examine we can never know for certain what any of these fascinating but irretrievably lost West Indian macaws truly were.
A gorgeous multicoloured hybrid macaw (public domain)
Finally: for more mystery blue macaws documented on ShukerNature, not to mention turquoise, glaucous, purple, and even black forms, please click hereand here.
I wish to offer my sincere thanks to Rafael Nascimento for bringing several hitherto obscure mystery macaws to my attention and which I have thereby been able to document in this present 2-part ShukerNature article, and also for so generously permitting me to include some of his beautiful paintings of various mystery macaws in it. Thanks also go to David Alderton for kindly alerting me to van Bassen's painting and its perplexing parrot, and to Michael Andrew Leigh for kindly photographing for me the green and yellow hybrid macaw at Singapore Bird Gardens (I wonder which specific type of hybrid macaw this bird is?).
A very handsome pair of blue and yellow macaws – representing one of the many macaw species that definitely do exist! (public domain)
This 2-part ShukerNature article is excerpted from a work-in-progress book of mine, Mystery Birds of the World - look out for it in due course.
And finally: does anyone happen to know which precise type of hybrid macaw the following beautiful individual is, which I encountered with its handler while visiting Mandalay Bay Hotel, on the Strip in Las Vegas, during a Stateside holiday in 2004? All suggestions would be greatly welcomed - thanks very much!
A beautiful hybrid macaw of currently-undetermined identity on display with its handler at Mandalay Bay Hotel, Las Vegas, which I visited in 2004 (© Dr Karl Shuker)
December 30, 2020
MISSING MACAWS OF THE WEST INDIES - Part 1: RIDDLES IN RED AND YELLOW
Jan Steen's mystery red macaw (left); and Roelandt Savery's mystery red macaw (right) (both public domain) In two previous ShukerNature blog articles, I surveyed a number of mysterious, seemingly-vanished or even still-undiscovered types of macaw with very diverse histories but united morphologically by their eyecatching plumage whose hues were all drawn from the blue, indigo, and violet sections of the colour spectrum (please click here and hereto access these two articles). However, as will now be revealed in Part 1 of this major new 2-part ShukerNature article on missing macaws, also on file are some equally intriguing, mystifying examples of lost mystery macaws whose plumage exhibits vibrant hues drawn from the colour spectrum's red, orange, and yellow sections, and which were all reputedly different from any of the familiar macaw species known today. All of these species, moreover, were reported from the West Indies archipelago (click here for a very much briefer, introductory coverage of them on ShukerNature several years ago), and many chroniclers claimed that macaws were once extremely common there, yet today none of its islands (other than Trinidad, but see my comment later here) are home to any macaws at all.
Although I have since read many much more detailed accounts of them elsewhere, when still only a child I first learned about the Caribbean's lost macaws from Purnell's Encyclopedia of Animal Life. This was an extremely comprehensive, authoritative six-volume wildlife encyclopaedia first published during the 1960s and edited by zoologists Drs Maurice Burton and Robert Burton – which included the following very succinct summary of most of them:
The red macaw of Jamaica has not been seen since 1765 and the green and yellow macaw of the same island became extinct in the early 19th century. The Guadeloupe red macaw became extinct a century before this [i.e. during the 1700s] and the Dominican green and yellow macaw in the late 18th Century. The Martinique macaw has not been heard of since 1640 and then there was one which has been called the mysterious macaw. No specimen of this is known but a description of it was published in 1658 – and that is all we know of it except that it lived on 'one of the West Indian islands'.
The red macaw of Jamaica is A. gossei; the Jamaican green and yellow macaw is A. erythrocephala; the Guadeloupe red macaw is A. guadeloupensis; the Dominican green and yellow macaw is A. atwoodi; and the Martinique macaw is A. martinicus. As for the 'mysterious macaw', this is A. erythrura, and like the Martinique macaw it was principally blue and yellow in colour.
Cuban red macaw on Cuban postage stamps (public domain) Two additional erstwhile Caribbean macaws not noted above by the Burtons are the Cuban red macaw A. tricolor and the scientifically-undescribed Hispaniolan red macaw (there is also the purple macaw of Guadeloupe Anodorhynchus purpurascens, already documented by me on ShukerNature here). I shall be examining the Caribbean's green and yellow mystery macaws as well as its blue and yellow mystery macaws in Part 2 of this article, so let us concentrate now upon its red and yellow examples.
Incidentally, I wish to point out that the illustrations that I am presenting here and also in Part 2 include several beautiful paintings depicting these birds' possible appearance in life that were commissioned by Lord Walter Rothschild for his magnificent tome Extinct Birds (1907).
In addition, please note that I am omitting from these two Parts' discussion any coverage or consideration referring to the islands of Trinidad and Tobago, because only one mystery macaw has ever been documented from either of them. This is Seaforth's macaw, described in 1822 from Trinidad by ornithologist J.A. Latham (but by no-one else), and almost certainly referable to a colour variety of the scarlet macaw Ara macao, a South American mainland species but which is native there too. Indeed, unlike all other Caribbean islands, but no doubt due to its very close proximity to South America, Trinidad is known to be inhabited by mainland macaw species (no less than four, in fact, including the above-noted scarlet macaw, plus the blue and yellow macaw A. ararauna, the red-shouldered macaw Diopsittaca nobilis, and the red-bellied macaw Orthopsittaca manilatus).
THE CUBAN RED MACAW
Depending upon which authority is consulted, as many as 15 endemic macaw species may have once inhabited various islands in the West Indies, but all of them are now extinct – always assuming, of course, that they ever existed to begin with. Indeed, most of them are nowadays commonly referred to in ornithological circles as hypothetical. Nevertheless, there can be no doubt whatsoever that at least one striking, predominantly red-plumed species of indigenous Caribbean macaw did indeed once exist.
This is because there are not only many eyewitness reports of it on file but also at least 19 preserved skins and taxiderm specimens in 15 major city museums around the world (including Liverpool, London, Berlin, Dresden, Paris, Stockholm, Washington DC, New York, Cambridge in Massachusetts, and Havana), plus subfossil remains. This species is, or was, the Cuban red macaw Ara tricolor, which, as its common name suggests, formerly inhabited the island of Cuba (plus the much smaller Isle of Pines, aka the Isla de la Juventud, nearby).
Quite small for a macaw, measuring a mere 20 in long, when adult this species was predominantly red and yellow in colour, but its wings were purplish-blue, and its tail was blue with pale blue upper tail coverts (hence its binomial name, tricolor – 'three-coloured', i.e. red, yellow, and blue). As in all macaws, the sexes were alike, but according to American zoologist Austin Hobart Clark, writing in an Auk paper of 1905 concerning Greater Antillean macaws, its juveniles were mostly green, rather than exhibiting the tricoloured plumage of the adults. No specimen or description of its egg is known.
Cuban red macaw, by John Gerrard Keulemans, from Lord Walter Rothschild's book Extinct Birds, 1907 (public domain) Judging from a plethora of good native eyewitness accounts, the Cuban macaw existed in small populations scattered virtually throughout its island home, nesting in holes in palm trees and feeding upon fruit and seeds plus flower buds and sprouts, but was most common in the extensively forested area of Cuba's vast Zapata Swamp (Ciénaga de Zapata). There is contention as to how tasty (or otherwise) its flesh was, but it is certainly known that it was hunted by Cubans for its meat, and that its young were captured alive by them to be sold and bred as pets.
Although the Cuban red macaw was still said to be abundant in 1849, by the 1850s only one large flock still existed, which frequently came to feed at a small group of trees at Zarabanda in the Zapata Swamp, where quite a few of them were 'collected' (i.e. killed) by German-Cuban ornithologist Dr Juan C.C. Gundlach. This activity on his part and also by others, coupled with portions of its swampland habitat being lost to the creation of plantations, proved disastrous for the species, and in 1864 the last pair of Cuban red macaws known to have been killed in the wild were shot at San Francisco de la Vega.
This is not near the Zapata Swamp on mainland Cuba as frequently yet erroneously reported, but rather on the Isle of Pines, as correctly identified in 2013 by James W. Wiley and Guy M. Kirwan in their extensive Bulletin of the British Ornithologists' Club paper on extinct Caribbean macaws. They also correctly stated that it was a pair of macaws that was shot there, not a single one as is still so often mistakenly claimed by other writers.
Cuban red macaw, by François-Nicolas Martinet, 1765 (public domain) Two single specimens were reputedly shot as late as 1867 by members of Spanish writer-priest Antonio Perpiña's entourage while travelling through central Cuba, and Gundlach believed that the species existed in the Zapata Swamp until as late as the mid-1880s, but there is no physical evidence to support his claim. Perhaps the best-known captive specimen is one that lived at Paris's famous Jardin des Plantes, its body being donated to Paris's National Museum of Natural History in 1842 after its death on 6 October of that year. However, once again contradicting frequent but incorrect claims cited elsewhere, it was not the last captive specimen.
One that was exhibited at Amsterdam Zoo, for instance, survived until 1858, and a specimen living in the Knowsley Park aviaries of the 13th Earl of Derby died in March 1846. Both of these latter specimens were again donated to museums following their deaths, with the Knowsley Park individual being retained at Liverpool's World Museum.
Habitat destruction, hunting them for their meat, and the capturing of young macaws to serve as pets have also been cited as causes for the extinction of the other lost Caribbean macaws documented here and in Part 2, and certainly they showed surprisingly little fear of their hunters, thereby making their killing a tragically easy task. Yet unlike the Cuban red macaw, there are no preserved skins or stuffed specimens of any of these latter forms. As will now be seen, however, there are for at least certain of them some noteworthy written accounts and intriguing illustrations testifying to their erstwhile reality.
RED MACAWS OF HISPANIOLA AND GUADELOUPE
Until the end of the 16thCentury, a scientifically-undescribed species of red macaw, one that was fairly similar in appearance to that of Cuba, may also have existed on the neighbouring island of Hispaniola, judging from a short description given in 1561 by Spanish historian and Dominican friar Bartolomé de las Casas within his authoritative three-volume Historia de Las Indias (History of the West Indies).
Differentiating by their respective size three different species of Hispaniolan parrot (seemingly a macaw, an amazon parrot, and a conure), he stated:
The largest…differ from those of the other islands in that they have over the bill or the forehead white, not green or red; those of this species that are in the island of Cuba have over the bill or the forehead red.
A single later report of a macaw on Hispaniola, on the authority of local resident M. Deshayes, was subsequently documented in 1779 by the eminent French naturalist Count Georges-Louis de Buffon within his multi-volume magnum opus Histoire Naturelle. In 1983, German macaw enthusiast Dieter Hoppe dubbed the Hispaniolan red macaw Ara tricolor haitiusin his book Aras, thereby classifying it as a subspecies of the Cuban macaw.
Possible appearance of the Hispaniolan red macaw, envisaged by Brazilian bird artist Rafael Nascimento (© Rafael Nascimento) A third alleged Caribbean species that was apparently predominantly red-plumed, and which was formally named by Austin Hobart Clark in 1905, was the Guadeloupe red macaw A. guadeloupensis, also known as the lesser Antillean macaw. The first known mention of this species by a European derived from the voyages of none other than Christopher Columbus, who mentioned in his writings that when visiting Guadeloupe in 1493, his landing party observed "red parrots as large as chickens" there (or guacamayos, as referred to by the island's native Caribs at that time). And according to Diego Álvarez Chanca, who joined Columbus on his second voyage (1493-94), they took two such macaws from the houses of Caribs encountered by them on Guadeloupe.
Furthermore, during the 1650s, French missionary Jean-Baptiste Du Tertre also referred to these very distinctive red macaws of Guadeloupe, which he termed the arras and documented as follows:
The Arras is a sort of Parrot bigger than all the others. This is proved because those of Guadaloupe [sic] are larger than all the other Parrots, both those from the Islands as well as from the Mainland; while this Arras is larger than these by one third. It has the head, the neck, the belly and the back of the colour of fire; its wings are a mixture of yellow, azure, and crimson feathers; while the tail is entirely red and a foot-and-a-half long.
A sepia line drawing of one such macaw in the company of various other Guadeloupe fauna appears in Du Tertre's book Histoire Generale des Antilles (1667).
Guadeloupe red macaw, arrowed, in drawing from Jean-Baptiste Du Tertre's book Histoire Generale des Antilles, 1667 (public domain) In Die New Welt (1534), German humanist and historian Johann Huttich stated that he had recorded on Guadeloupe a red macaw "present in such numbers as grasshoppers are with us", thereby indicating that it was very common back then. Nevertheless, this fiery-plumed macaw had seemingly vanished before the end of the 1700s, and has never been conclusively identified with any species alive today. Of great interest, however, is that it readily recalls a mysterious, predominantly red macaw featured prominently in one of the most famous depictions of another extinct bird, the Mauritius dodo Raphus cucullatus.
The depiction in question is a beautiful oil painting by Flemish artist Roelandt Savery (1576-1639), which was painted in Holland in 1626. It was once owned by George Edwards (1694-1773), a very talented English bird painter and author in his own right, and it is now housed at London's Natural History Museum. This great work has become virtually the 'standard' notion of what the dodo looked like in life (though in more recent times, the veracity of its chubby form has been questioned), and has thus attracted great attention.
In stark contrast, almost entirely ignored from an ornithological standpoint are the two very striking, colourful parrots that Savery painted to the dodo's immediate left and top-right in this same painting. Judging from their size and form, they are evidently macaws, but they do not resemble any known species. I'll be dealing with Savery's right-hand macaw in Part 2 of this article, as it is of potential relevance to two different Caribbean mystery macaws that I'll be documenting there. However, his left-hand macaw may well be equally pertinent to one specific Caribbean mystery macaw discussed here in Part 1, because other than its pale facial skin and some yellow-gold and blue wing plumes, this latter Savery-depicted macaw is entirely red.
Dodo and two mystery macaws, in Roelandt Savery's painting, 1626 (public domain) If these two depicted macaws were meant to be real, it suggests that they may be lost (and possibly even undescribed) species, or unusual freak/hybrid individuals, but what happened to the specimens that they were based upon? Or could they have been 'invented' by Savery purely as colourful support for the more prosaic plumage of the dodo? Or perhaps they did exist but Savery's depictions of them were based not upon physical specimens but instead upon inaccurate verbal descriptions of known species?
What I find so interesting about Savery's depicted left-hand macaw is that it greatly recalls Du Tertre's description of the arras or Guadeloupe red macaw – so much so, in fact, that I cannot help but wonder whether a specimen of this latter macaw was brought back to Holland and became the model for Savery's red macaw.
Moreover, in his book The Dodo and Kindred Birds (1953), Japanese dodo expert Masauji Hachisuka included as the frontispiece a copy of Savery's original painting specially prepared for him by another famous but much later bird artist, John Gerrard Keulemans (1842-1912), and stated in the accompanying caption that the two macaws depicted in it were indeed from the West Indies.
Dodo and two mystery macaws, in Keulemans's copy of Savery's painting, in the frontispiece of Hachisuka's dodo book (public domain) Certainly, transportation of Caribbean birds back to Europe in post-Columbus times frequently occurred. Hence it is by no means impossible that one or more Guadeloupe red macaws found their way to Europe at the time of Savery when this species was still extant in its West Indies homeland.
Having said that, while communicating in December 2010 with Jolyon Parrish, subsequently the author of The Dodo and the Solitaire: A Natural History (2012), I was informed by him that Savery sometimes altered the colours of his subjects to suit his specific needs for the painting in question, and that I should therefore be wary of placing too much emphasis upon the colours of the depicted dodo's two macaw companions. Jolyon also stated that some ornithologists have sought to identify Savery's depicted red specimen not as a Guadeloupe red macaw but rather as the much more familiar, and extant, red and blue (aka green-winged) macaw A. chloroptera from the South American mainland.
However, I find such an identification to be both surprising and implausible, because Savery's mostly blue-lacking and entirely green-lacking red macaw bears scant resemblance to A. chloroptera, bearing in mind that the latter species has vivid, instantly visible, and very sizeable portions of both blue and green upon its wings.
Red and blue (aka green-winged) macaw Ara chloroptera(copyright-free) In any case, Savery's painting is not the only putative depiction of a Guadeloupe red macaw on record. A second, but hitherto much more obscure example was kindly brought to my attention in July 2013 by Brazil-based bird artist and crypto-ornithological researcher Rafael Nascimento.
The bird in question is a large red macaw, depicted sitting on a perch in the top-left corner of an oil painting from c.1665 by Dutch artist Jan Steen, entitled 'The Way You Hear It, Is The Way You Sing It'. As I soon realised when viewing it, this bird closely resembles Savery's depicted red mystery macaw (see the direct visual comparison of them that opens this present ShukerNature article).
Both of these birds have yellow and blue wing plumes (although the blue plumes are scarcely discernable in Steen's bird), but otherwise their plumage is uniformly red. Were these two depictions based upon two different specimens of the same species, I wonder – and could that species have been the now-demised Guadeloupe red macaw? Or perhaps Steen's depicted macaw was directly inspired by Savery's? But who can now say with any degree of certainty, more than four centuries later?
Mystery red macaw in Jan Steen's oil painting, 'The Way You Hear It Is The Way You Sing It', c.1665 (public domain) Yet for there now to be two classical works of art depicting what is clearly one and the same variety of mystery red macaw, and one that corresponds closely with a verbal description of an ostensibly real but long-lost Caribbean species, certainly lends weight to the prospect that this latter macaw was indeed real, and not merely hypothetical, as some ornithologists have suggested due to no physical evidence for its former realty having been procured to date.
Also worthy of mention here is a colour plate that appeared in François-Nicolas Martinet's Histoire Naturelle (1765), which depicts a supposed Guadeloupe red macaw. Thanks to its wings' very striking blue and yellow plumes, which are much more prominent than those of the red mystery macaws depicted respectively by Savery and Steen, however, this bird bears much more of a resemblance to the scarlet macaw, and it may simply represent an imported scarlet macaw specimen.
A revised version of this plate that appeared in a contemporary work by Buffon makes it look even more like a scarlet macaw. Nevertheless, in both versions it lacks the blue tail feathers characteristic of the latter species but apparently lacking in the Guadeloupe red macaw, so this artwork remains something of an enigma.
Possible Guadeloupe red macaw depiction from François-Nicolas Martinet's book, Histoire Naturelle, 1765 (left); version of Martinet's plate depicting possible Guadeloupe red macaw, in contemporary tome by Buffon (right) (both images in the public domain)
THE JAMAICAN RED MACAW
The final principally red Caribbean macaw on record is A. gossei, the Jamaican red macaw (also known as the yellow-headed macaw). It was one of several extinct West Indies parrots formally described and named in 1905 by Lord Rothschild within a paper published by the Bulletin of the British Ornithologists' Club. Rothschild named this particular macaw in honour of the famous Victorian naturalist Philip Henry Gosse, who in his book The Birds of Jamaica (1847) had documented an individual shot about 10 miles east of Lucea in c.1765 by a Mr Odell.
Gosse had obtained his information concerning this specimen from an account sent to him by a Dr Robinson (not Robertson, as often mistakenly given elsewhere) who had observed it as a preserved taxiderm exhibit (but lacking its legs). Sadly, this unique specimen, the only one known of the Jamaican red macaw, is now lost, but Robinson's description of it is preserved in Gosse's book, so here it is:
Basal half of upper mandible black, apical half ash-coloured; lower mandible black, tip only ash-coloured. Forehead, crown, and back of neck bright yellow. Sides of face around eyes, anterior and lateral part of neck, and back, a fine scarlet. Wing coverts and breast, deep sanguine red. Winglet and primaries, an elegant light blue. The legs and feet were said to have been black; the tail red and yellow intermixed.
Jamaican red macaw Ara gossei, by Joseph Smit, from Rothschild's book Extinct Birds, 1907 (public domain) Of great interest, moreover, is that in 2003, researchers C.T. Fisher and F.E. Warr, writing on the subject of avian-related library and manuscript resources in a paper published by the Bulletin of the British Ornithologists' Club, revealed that a hitherto-overlooked full-colour painting of a mysterious Jamaican macaw largely fitting Robinson's description as documented by Gosse had lately been discovered in a work containing many wildlife paintings published in 1765 – namely, Lieutenant L.J. Robins's The Natural History of Jamaica. The copy of this work in which the painting had been spotted was owned by the Earl of Derby.
Other researchers have since speculated that it was more likely to have been a Cuban red macaw that had been imported into Jamaica. (Moreover, parrot expert Tony Pittman has mentioned to me that A. gossei as a whole, not just this one specimen, might well have been based entirely upon examples of A. tricolor imported or traded from Cuba and therefore never existed as a valid species in its own right.)
Yet as can be seen here by comparing my article's illustrations of the Cuban red macaw with the Robins-derived painting, the Jamaican red macaw does not correspond precisely with the Cuban red macaw. In particular, its golden-yellow underparts differ markedly from the much darker underparts of the Cuban red macaw, as does its bright red back in comparison with the Cuban's very dark back.
Possible Jamaican red macaw painting in Lieutenant L.J. Robins's book The Natural History of Jamaica, 1765 (public domain) Evidencing that mainland South American macaws (or, at the very least, known macaw species from Trinidad) have indeed been imported into Jamaica, within an Archives of Natural History paper published in October 2010 ornithological researcher S.T. Turvey documented a previously-unconsidered watercolour painting of a probable scarlet macaw A. macao that had lived on Jamaica, where it had been depicted in 1765 by John Lindsay.
However, whereas this latter specimen certainly does resemble the scarlet macaw, it does not recall either the macaw in the Robins painting or the macaw of Robinson's verbal description, indicating once again that A. gossei was a distinct, valid Jamaican endemic. Indeed, concluding their coverage of A. gossei within their authoritative tome Extinct Birds (2012), Julian P. Hume and Michael Walters opined:
Thus there seems to be reasonable evidence that at least one other endemic red macaw, along with Ara tricolor of Cuba, once occurred in the West Indies. Whether it justified specific status is now impossible to ascertain.
Scarlet macaw Ara macao, showing its characteristic blue tail plumes (© Dr Karl Shuker) Finally: in 1967, within the second revised edition of his classic volume Extinct and Vanishing Birds of the World, the esteemed American ornithologist James C. Greenway opined that perhaps the scarlet macaw, the Cuban red macaw, and the mysterious red macaws reported from Hispaniola, Guadeloupe, and Jamaica collectively constituted a species complex, or superspecies as he called it. However, with no specimens of the last three macaws to examine, this must remain just an opinion, albeit a most intriguing one.
Next time, in Part 2 of this ShukerNature article, I shall be examining reports and illustrations of some lost Caribbean macaws that reputedly sported green and yellow or blue and yellow plumage, as well as surveying the possible taxonomic status of a most interesting macaw-like mystery parrot featured in a very famous painting by the celebrated 17th-Century Dutch architect and painter Bartholomeus van Bassen – so don't miss it!
Extinct Birds
author Lord Walter Rothschild aboard his famous zebra-drawn carriage (public domain)
December 28, 2020
STUPENDOUS SEA TURTLES - MORE THAN JUST A MARITIME MYTH?
Skeleton of Archelon(public domain) Do the vast oceans of our planet conceal great sea turtles far larger than any that are officially known to exist there?
The largest species of sea turtle ever known to have existed was Archelon ischyros, which lived some 70 million years ago during the Late Cretaceous Period in the seas around what is now North America. The largest specimen on record measured over 13 ft long and roughly 16 ft across from flipper to flipper.
Leathery turtle on beach (public domain) In comparison, the largest species known to exist today, the leathery (leatherback) turtle Dermochelys coriacea, attains a maximum recorded length of a 'mere' 9.8 ft, but averages only 6-7 ft.
However, reports of substantially larger sea turtles are also on file – veritable behemoths, in fact, which if their existence were ever scientifically confirmed would rival even the mighty Archelonitself.
FATHER-OF-ALL-THE-TURTLES
In his classic if highly controversial tome In the Wake of the Sea-Serpents (1968), Belgian cryptozoologist Dr Bernard Heuvelmans postulated the existence of a number of hypothetical creatures to explain hundreds of reports of sea serpents from around the globe. One of them was what he termed the 'Father-of-All-the-Turtles' – a name originally given by native Sumatran fishermen to a traditional sea deity in which they vehemently believe, and which allegedly assumes the guise of a gargantuan marine turtle.
Father-of-All-the-Turtles (© Tim Morris) Alternative sea serpent classification systems subsequently devised by other cryptozoologists have also included this category, and there are several notable eyewitness accounts on file indicating that a turtle of truly immense size may indeed have been encountered in various far-flung maritime localities.
GIANT TURTLES IN ANTIQUITY AND MEDIEVAL TIMES
Perhaps the earliest report dates back as far as the 3rd Century AD. This was when Roman scholar Claudius Aelianus (popularly known merely as Aelian), writing in his 17-volume treatise De Natura Animalium, referred to the existence in the Indian Ocean of turtles so colossal in size that their huge shells – said to be as much as 23.5 ft in circumference – were sometimes used by the native people as roofing material! Modern-day sceptics have claimed that if such shells truly existed, they must have been fossils. And it is certainly true that portions of fossilised shells from the land-living prehistoric giant tortoise Megalochelys [=Colossochelys] atlas have been unearthed in the rich deposits of Nepal's Siwalik Hills. Yet fossil shells would surely have been too brittle and much too heavy for roofing purposes.
Megalochelys [=Colossochelys] atlasreconstructions (© Vjdchauhan/Wikipedia –
CC BY-SA 3.0 licence
) Writing in his own magnum opus, Geography, which he completed in 1154 AD, Muhammad al-Idrisi, a notable Moroccan Islamic traveller, cartographer, and archaeologist, referred to comparably immense turtles, up to 20 cubits (33 ft) long, living in the Sea of Herkend, off the west coast of Sri Lanka, whose females contained up to a thousand eggs. Although he never personally visited Asia, he collated considerable amounts of detailed information from Islamic explorers and merchants, and recorded on Islamic maps. Having said that, however, turtles generally lay no more than a hundred eggs at a time, not a thousand, so perhaps some such reports were exaggerated (which may also account for the huge size claimed for these Herkend turtles?).
CHRISTOPHER COLUMBUS AND ANNIE L. HALL
Possibly the most famous eyewitness of a reputed mega-chelonian was none other than New World discoverer Christopher Columbus. In early September 1494, along with several of his crew, he witnessed an extraordinary creature likened to a whale-sized turtle with a visible pair of flippers and a long tail that kept its head above the water surface while swimming by as his vessels were sailing east along the southern coast of what is now the Dominican Republic, occupying the right-hand half of the Caribbean island of Hispaniola.
Posthumous painting allegedly depicting Christopher Columbus, by Sebastiano del Piombo, 1519; no confirmed paintings of Columbus are currently known (public domain) On 30 March 1883, while aboard the schooner 'Annie L. Hall' in the North Atlantic's Grand Banks, Captain Augustus G. Hall and his crew spied what they initially took to be an upturned vessel but which, when they approached to within 25 ft of it, proved to be an enormous turtle. By comparing its dimensions with those of their vessel, they were able to estimate its total length as being at least 40 ft, its width as 29.5 ft, and its height from its carapace's apex to its plastron or under-shell's most ventral point as 29.5 ft. Even its flippers were immense – each one approximately 20 ft long. Not surprisingly, the captain deemed it inadvisable to attempt capturing this shell-bearing leviathan!
TURTLES OF A (VERY) DIFFERENT COLOUR!
During the 1950s, two ultra-giant turtles were reported that were highly distinctive due not only to their great size but also to their very unusual colouration. One of these was an alleged 14-ft-long yellow turtle witnessed on 8 March 1955 by L. Alejandro Velasco while stranded on a raft off Colombia's Gulf of Urabá. Its claimed length is greater than that of the largest leathery turtle on record.
Using a hawksbill turtle as its basis, a species native to the waters off Colombia, might the mysterious Colombian yellow sea turtle have looked something like this? (© Dr Karl Shuker) The other was a 44-ft-long pure-white turtle with 14-ft flippers that was sighted south of Nova Scotia, Canada, in June 1956 by crew on board the cargo steamer 'Rhapsody'. According to their account, this huge creature could raise its head 8 ft out of the water.
ENCOUNTERING THE SOAY BEAST
Perhaps the most famous and controversial modern-day sighting of an alleged giant sea turtle occurred just a few years later, off the Scottish Inner Hebridean island of Soay. On 13 September 1959, while fishing here for mackerel, holidaying engineer James Gavin and local fisherman Tex Geddes were very startled to observe an extremely large sea creature swimming directly towards their boat, its head and back readily visible above the sea surface, until it was no more than 60 ft away.
According to their description, documented in a major Illustrated London News report of 4 June 1960, the head of this remarkable beast was definitely reptilian and resembled a tortoise's, with lateral eyes and a rounded face plus a horizontal gash for a mouth when closed, but it was as big as a donkey's, and the neck was cylindrical. The exposed portion of its back was humped in shape, and running down the centre was a series of triangular-shaped spines or serrations, like the teeth of a saw. The animal was so close that when it opened its mouth to breathe, emitting a very loud whistling roar, they could see the red lining inside, and what looked like loose flaps of skin hanging down from the roof, but there were no teeth.
Sketches of Soay Beast's alleged appearance, from Illustrated London News, 4 June 1960 ((© Illustrated London News – reproduced here on a strictly non-commercial Fair Use basis for educational/review purposes only) After remaining in sight for five minutes, their extraordinary visitor dived forward and vanished beneath the water surface, then emerged again almost a quarter of a mile away, before disappearing completely as they watched it. Moreover, the crews of two lobster boats, fishing north of Mallaig on the Scottish mainland, also spied this mysterious creature, much to their alarm!
Due to its mid-dorsal serrations, British zoologist Dr Maurice Burton wondered whether it may have been an escapee iguana, but the remainder of the Soay beast's description does not correspond with such an identity at all, and much more readily recalls a chelonian. Moreover, certain terrapins even possess dorsal serrations, though terrapins are of course freshwater species, not marine.
COULD UNDISCOVERED MEGA-TURTLES EXIST TODAY?
Reading through the above reports, various objections to the possibility of giant turtles existing undiscovered by science soon come to mind, but are they insurmountable? For instance: all known species of sea turtle have only short tails, so the long tail of the specimen sighted by Columbus and his crew is unexpected. Yet there are no sound anatomical or physiological reasons why a long-tailed species might not exist. In any case, it may be that at least part of the tail's length was an optical illusion, caused by the wake created as it swam by.
The odd colours of the two specimens reported during the mid-1950s pose another problem. However, perhaps the yellow colouration of the Colombian individual was merely due to reflected sunlight, or it might have been a rare xanthic (yellow mutant) individual. Equally, the white 'Rhapsody'-spied turtle may conceivably have been an albino or leucistic specimen – such individuals have been reported from many reptilian species, even ones as large as crocodiles and alligators. Indeed, a scan through Google will soon turn up a number of spectacular photographs of leucistic sea turtle specimens, confirming that such creatures can indeed arise (click hereto see them). Having said that, some hawksbill turtles Eretmochelys imbricata can appear golden-brownish in colour, and even some non-leucistic green turtles Chelonia mydas look quite pale. Nevertheless, they do not attain the huge sizes claimed for the Colombian and 'Rhapsody' specimens respectively.
Exquisite vintage illustration of a leathery turtle by Ernst Haeckel, 1902 (public domain) The cold-water regions in which the 'Rhapsody' specimen and the Soay beast were sighted argues on first sight against their being reptiles. However, the leathery turtle is famed for its ability to withstand coldwater temperatures, and of particular note in relation to the Soay case is the remarkable but fully-confirmed fact that in August 1971 a leathery turtle was caught near Mallaig!
If mega-turtles do truly exist, they must be at least predominantly pelagic in occurrence, otherwise they would have been seen far more frequently. Yet even if this is so, surely they would have been observed on land at some point, coming ashore to lay their eggs? Possibly – then again, there are countless small, remote, uninhabited tropical islands and island groups that have never been visited by humans. Indonesia, for instance, consists of over 17,500 islands, and more than 7,100 constitute the Philippines.
Alongside the model of a gigantic sea turtle hatchling at Birmingham Sea Life Centre, 2013 (© Dr Karl Shuker) So perhaps it is beneath the coastal sands of tiny isles such as these, emerging at night for just a few hours only once every 2-3 years and far removed from prying human eyes or from other potential sources of danger to their precious offspring, where these shy reptilian giants (so adept when at sea but so vulnerable when on land) entrust their precious eggs and, while depositing them, their own lives too, before returning once more to the safety of their vast maritime domain.
Who knows? One day, possibly, an intrepid adventurer may visit one of these anonymous specks of land and there encounter a trail of huge flipper prints left behind by some great chelonian Man Friday.
Olive ridley sea turtles Lepidochelys olivacea ashore on a Mexican beach (© Claudio Giovenzana/Wikipedia – CC BY-SA 3.0 licence) This ShukerNature blog article is excerpted and adapted from my book Mirabilis: A Carnival of Cryptozoology and Unnatural History.
December 19, 2020
WHATEVER HAPPENED TO THE MIGO? REVISITING THE MONSTER OF LAKE DAKATAUA. PART 2: A CROCODILIAN CONUNDRUM!
Saltwater crocodile at Australia Z00 (© Sheba/Wikipedia –
CC BY-SA 2.0 licence
) The island of New Britain is the largest member of the Bismarck Archipelago, situated east of Papua New Guinea (PNG), the latter country in turn occupying the eastern half of the mini-island continent of New Guinea and owning this archipelago. As documented in Part 1 of this 2-part ShukerNature blog article (click here to access Part 1), New Britain contains several large bodies of freshwater, one of which is named Lake Dakataua.
From the early 1970s to the late 1990s, this lake attracted considerable media attention worldwide due to its alleged aquatic monster, the migo, described by local eyewitnesses as being extremely slender and lengthy (estimated to be up to 50 ft long). During 1994, a Japanese TV production company launched two expeditions to the lake, their crew accompanied on both occasions by renowned Chicago University biologist and cryptozoologist Prof. Roy P. Mackal, in the capacity of their scientific advisor. Roy was also a longstanding correspondent and friend of mine for many years and kept me fully informed of proceedings regarding the migo.
Map of Papua New Guinea. including New Britain (arrowed red) and the location on it of Lake Dakataua (arrowed green) - please click to enlarge for viewing purposes (© NordNordWest/Wikipedia –
CC BY-SA 3.0 licence
) Moreover, the crew actually succeeded in obtaining some segments of film footage purportedly showing the migo. One of these segments, obtained during the first expedition, duly appeared in a documentary later screened on Japanese TV.
Back then, the two most notable identities that had been offered for the migo both constituted prehistoric survivors – either a surviving wholly aquatic lizard known as a mosasaur (favoured by the documentary makers) or a surviving elongate whale known as an archaeocete (initially favoured by Roy, but see later for his dramatic change of opinion). Yet according to the current fossil record, archaeocetes became extinct around 25 million years ago, and mosasaurs even earlier, around 65 million years ago.
Modern-day life restorations of the mosasaur Tylosaurus (left) and the basilosaurid (aka zeuglodontine) archaeocete Basilosaurus (right) – not to scale (public domain / © Dmitry Bogdanov/Wikipedia – CC BY 3.0 licence) But what about known modern-day animal species? Are there any that could explain the migo?
In September 1983, Japanese explorer/writer Atsuo Tanaka had stayed in the native village of Blumuri not far from Lake Dakataua, and claimed that many of the villagers did not believe that anyone had seen a monster there, or even that it existed. Moreover, after personally observing some 6-10-ft-long crocodiles in this lake, his own opinion was that any 'monster' sightings that may have been made there were of a dugong or a crocodile, perhaps even belonging to an unknown crocodile species, but more probably either the New Guinea crocodile Crocodylus novaeguineae or the larger saltwater (aka Indopacific) crocodile C. porosus. Such a situation if correct would be far from unprecedented.
A saltwater (aka Indopacific) crocodile C. porosus (public domain) As far back as 1956, Wilfred T. Neill reported in a Herpetologica article that while serving with the US Army Air Forces in the Pacific during World War II he once flew over New Britain and that from the air:
…I observed a number of crocodiles, the largest about eight or nine feet long, around the margins of upland lakes. Circumstances rendered it impossible to spend any time in investigation; but at one point the plane passed so low over a lake that a crocodile was frightened into the water, and I could see it plainly.
Neill then stated that some weeks later he attended a lecture on jungle survival given by an officer who had been forced down into the interior of New Britain. While making his way to safety, this officer had similarly seen crocodiles about its lakes, but claimed that they were shy, fleeing into the water at his approach. So, although no specific lake, including Dakataua itself, was named in these reports, they demonstrate that crocodiles are indeed known from lakes in New Britain. Weill later opined in his article:
…whilst a positive statement is not justified, I feel that the New Britain lake crocodiles probably are not C. porosus; they are much more apt to be either C. n. novaeguineae or an undescribed relative thereof.
New Guinea crocodile Crocodylus novaeguineae (© Wilfried Berns/Wikipedia –
CC BY-SA 2.0 licence
)Even so, New Britain certainly falls within the overall geographical range spanned by the known distribution of C. porosus. Also of note is that in a limnological study of Lake Dakataua conducted in 1974 by PNG-based wildlife biologists E.E. Ball and J. Glucksman and published six years later by the scientific journal Freshwater Biology, they stated that crocodiles were indeed present there. Moreover, in a Journal of Tropical Ecologyarticle from February 1987, presenting an inventory and limnological review of PNG's freshwater lakes, M.R. Chambers reported that both of the two known species of crocodile mentioned by Neill in his 1956 account can be found in PNG's lowland lakes (of which Dakataua is one).
Further to Neill's comment about a possible undescribed species, it is worth noting that as recently as July 2020, an extensive study of mainland New Guinea's southern population of C. novaeguineae, geographically isolated from its northern population by this huge island's central ridge of highland mountains, revealed its members to be so genetically, morphologically, and behaviourally discrete from the those of the northern one that the southern population clearly constituted a valid species in its own right. So in a paper documenting this study, published by the journal Copeia, it has been formally named C. halli, Hall's crocodile. This name honours University of Florida zoologist Dr Philip Hall, who had speculated back in the 1980s that these two populations may constitute entirely separate species, but sadly passed away before any formal scientific study to evaluate his suggestion was conducted.
Dr Bernard Heuvelmans (
Wikipedia
– reproduced here on a strictly non-commercial Fair Use basis for educational/review purposes only) Also of note, it was Neill's Herpetologicaarticle that veteran Belgian cryptozoologist Dr Bernard Heuvelmans cited as his reference source when including the migo in his famous annotated checklist of apparently unknown animals with which cryptozoology is concerned, published in 1986 by the now-defunct International Society of Cryptozoology's well-respected peer-reviewed scientific journal Cryptozoology. In his checklist, Heuvelmans suggested that the migo may be:
An unknown species of crocodile (or is it, as has been suggested, a surviving mosasaur?) known as migo, in Lake Dakataua, on the island of New Britain, in the Bismarck Archipelago (Neill 1956).
Bearing in mind, however, that Neill's article makes no suggestion whatsoever of a mosasaur, unequivocally referring to the New Britain lake creatures under consideration by him as crocodiles, from where did Heuvelmans obtain his mosasaur information? Apparently he was aware of a Japanese newspaper report from February 1972 referred to by me in Part 1 of this present ShukerNature article, in which Shohei Shirai, then head of the Pacific Ocean Resources Research Institute, had aired his view that the migo may be an undiscovered modern-day species of mosasaur.
No longer palaeontologically-accurate but still aesthetically-exquisite, a vintage illustration of a mosasaur and two ichthyosaurs by Heinrich Harder (public domain) In addition to Prof. Roy Mackal and myself, another Western scientist with a longstanding interest in cryptozoological creatures who became intrigued with the mystery of the migo was British palaeontologist Dr Darren Naish, who in the mid-1990s was fortunate enough to view the better-quality (albeit still very pixellated) 1st-generation copy video (of the two copy videos available in Britain back then) of the original Japanese documentary. (Unfortunately, conversely, as fully described in Part 1, I was only able to view the other, notably inferior and incomplete 2nd-generation copy video, so my efforts at making sense of what I was looking at were greatly hampered.)
In a couple of articles published during the mid/late 1990s (TCR, autumn 1996; CFZ 1997 Yearbook, 1997), followed up a decade later by a short recap article posted on his Tetrapod Zoology internet blog on 26 October 2008, Darren painstakingly analysed frame by frame, feature by feature, what could be discerned in the 1st-generation copy video's migo footage, and he concluded that the creature in this footage was surely a crocodile, specifically a saltwater crocodile C. porosus. However, there are ostensibly two major problems with this identity, as Darren acknowledged.
Saltwater crocodile foraging in surf (© R Brown et al.-ZooKeys/Wikipedia –
CC BY 3.0 licence
) Firstly: the creature's huge size as claimed for it by Roy, who had initially stated that it was 33 ft long but later upsized his estimate to 50 ft. For even though C. porosus is the largest living species of crocodile, it rarely exceeds 20 ft long. Consequently, in his analysis of the migo footage as seen by him in the 1st-generation copy video, Darren queried whether even Roy's lower size estimate of 33 ft was accurate, and used the presence of birds flying in front of and behind the creature in an attempt to introduce scale into the migo segment, which in turn indicated a smaller size for the creature.
However, he also emphasized the poor quality of even this superior of the two available copy videos, noting how pixellated, jerky, out-of-focus, and amalgamated with the water surface the creature appeared. In my opinion, this negates any perceived scale-related significance of the birds, because they too are insufficiently clear.
Darren and I engaged in deep, meaningful cryptozoological conversation at the CFZ's Weird Weekend 2007 (© Dr Karl Shuker) Moreover, in his 1997 article Darren also stated: "If, however, Mackal's observations are the result of sightings in the field, rather than later viewing of the video footage, they are harder to dismiss". During his communications with me, Roy revealed that his estimates were based both upon his analysis of the original migo footage (as opposed to inferior copy videos of it) and upon binocular-assisted migo observations made directly in the field (see also later).
Secondly: the series of vertical undulations seemingly performed by the creature, which is a mammalian not a reptilian characteristic, thus explaining why Roy had initially favoured an archaeocete identity for it. In Darren's opinion, conversely, these undulations were not actually real, but merely an optical illusion, a distortion artifact caused by the pixellation present in the film footage. Significantly, moreover, during the late 1990s Roy changed his mind concerning what he considered the taxonomic identity of the migo to be – from an archaeocete to a crocodile. But why exactly hadhe changed his mind? And did this mean that he now agreed with Darren's thoughts?
A very recent reconstruction of the basilosaurid archaeocete Basilosaurus
(© Markus Bühler)
The simple answer to both of those latter questions lies in a fact that has been almost entirely overlooked in the cryptozoological literature, until now – namely, that Roy did not participate in only one expedition seeking the migo. In fact, he took part in two – the second migo expedition taking place just a few months after the first one, yet receiving little or no international coverage. Nevertheless, during this second expedition some noteworthy observations were made, and this time at close range. Furthermore, some additional film footage of the migo was obtained, again at close range this time, which Roy was able to view but has never been publicly released as far as I am aware.
In other words, Roy was the only cryptozoologist to have viewed both the much clearer original (as opposed to inferior copy-video quality) migo footage included in the documentary of the first expedition and also those various additional segments of footage (some shot at close range) collectively filmed during the two expeditions yet which even today still remain unseen by anyone not associated with the documentary and expeditions. Needless to say, therefore, this gave him a huge advantage over those of us who had only seen one or other of the two very imperfect copy videos of the single segment of migo footage shown in the documentary. Moreover, unlike any of us he had also been able to view the migo directly and at close range in the field.
Saltwater crocodile swimming (© Thinboyfatter/Wikipedia –
CC BY-SA 2.0 licence
) During his conversations with me, Roy stated categorically that based upon what he had thus seen in the infinitely superior footage selection exclusively available to him for viewing, plus his own close-range observations in the field, there was no optical illusion present – the creature that was the migo was definitely undulating vertically. Or, to be precise, the creatures.
For although he now shared Darren's view that the migo was crocodilian in identity, Roy informed me that at least one of the extremely lengthy (and therefore hitherto very puzzling) examples of this mystery creature captured on film was not a single crocodile specimen. Instead, it was actually three separate crocodile specimens in very close, vigorous contact with each other – two seeking to mate and a third one intimately associating with them, thereby yielding a composite mega-beast. Furthermore, the energetic body-twisting activity featuring in such behaviour explained the hitherto-perplexing vertical undulations seen in the segments of film footage.
Prof. Roy P. Mackal (public domain) But don't take my word for it – happily, I am able to present here Roy's very own publicly-revealed words on this contentious cryptozoological subject. In 1998, I prepared and conducted an interview with Roy concerning his fascinating cryptozoological investigations down through the decades. This was then written up by me and forwarded with his permission to a British partwork magazine entitled The X Factor, which was devoted to mysteries (including cryptozoological ones) and the unexplained (and was no relation, incidentally, to the later TV pop star talent show of the same title!). Although it accepted the interview for future publication, The X Factor sadly came to the end of its run before it was able to do so. As I have retained the original transcript, however, I have since published the interview myself on ShukerNature (click hereto access it). Below is the relevant section from it concerning the migo:
Q3: Since first spying it in 1994, your opinion has changed concerning the likely identity of the migo, the monster of Lake Dakataua in New Britain. Why is this, and what do you now believe the migo to be?
A3: Our original video recordings of the migo clearly established that there were animals, or animal, at least 50 ft or about 14 m in overall length present in the lake from time to time. Lake Dakataua is a freshwater lake, completely isolated from the sea by only 400-500 ft. It is freshwater without any fish in it, due primarily to the salts spewed out by the active volcano at its edge. Images of the serrated back and the contours of the migo that we obtained on the videos in the Japanese expedition suggested that its zoological identity might involve reptiles, or even primitive whales known as archaeocetes.
During the second expedition a few months later, additional video sequences and observations were made at close range, establishing that the 50 ft creature was in fact three specimens of the saltwater or estuarine crocodile Crocodylus porosus - a female in heat being tracked by two males. One of the males was clasping the female's tail, and the other male was clasping the tail of the first male. Altogether this produced a composite 'creature' possessing what had seemed to be a head, neck, and two humps, and measuring in the order of 50 ft or so in total length.
In various of his letters to me concerning the migo, Roy stated that he was planning to write both a scientific paper documenting the migo and an expedition report covering the two migo expeditions and their findings. These publications presumably would include full details of (and possibly even photographic stills from) the additional, hitherto-unreleased segments of film footage, as well as the close-range observations, plus a rigorous explanation of the migo constituting a crocodilian composite 'creature'. He added that they would be submitted to the International Society of Cryptozoology's scientific journal Cryptozoology. Tragically, however, not long afterwards the Society folded, with no further volumes of its journal appearing; and as far as I am aware, even if Roy did complete his paper and expedition report they have never been published anywhere. Sadly, Roy passed away in 2013, so except for the precious details presented in this ShukerNature article of mine, it seems very unlikely now that his unique, invaluable knowledge and insights regarding the migo that he obtained during the two Japanese expeditions and the documentary's preparation will ever be made known.
Saltwater crocodile - key to the migo mystery? (© Bernard Dupont/Wikipedia –
CC BY-SA 2.0 licence
) And on that unhappy note, this is where the history of the migo mystery ends, at least for now. There seems no longer any question that the nature of the beast is crocodilian, but as to the precise species involved, the proportion of sightings based upon single crocodile specimens, and the proportion based upon closely-associating multiple specimens, who can say? And how can we explain, as documented in Part 1, the multiple-eyewitness sighting from 1971 of a migo reputedly sporting a covering of short black hair?
Having said that: to my mind, the most logical, parsimonious explanation is that saltwater crocodiles do exist here, especially given how close this lowland lake is to the sea, with sightings of single specimens having been conflated with rarer but much more visually dramatic sightings of collective, energetic crocodile mating behaviour – basically, some conga-contorting crocodiles in heat, linked closely to one another in a line. And it is these latter 'composite creatures' that have given rise to mistaken claims of extra-long, slender, vertically-undulating mystery beasts, which have been dubbed the migo. In short, as a creature of cryptozoology the migo probably does not actually exist.
Composite crocodile created by two saltwater crocodiles swimming in a line (© Jim Bendon/Wikipedia –
CC BY-SA 2.0 licence
) As for the supposed sighting of a hairy migo, I can only assume that this is based either upon an alga-covered crocodile (Lake Dakataua does contain algae – various species belonging to the genus Chara) or even upon an entirely different, mammalian animal that once again has been erroneously added to the migo mixture. Also, as I noted in Part 1, some New Britain villagers use the term 'migo' in relation to monitor lizards, thereby muddying the already murky waters of the migo mystery even further!
Certainly, it would not be the first time that an ostensibly single mystery beast type has proved likely to consist in reality of several taxonomically discrete animal types all mistakenly lumped together by observers and/or investigators. Judging from the vast range of descriptions given by eyewitnesses, the Loch Ness monster, for instance, is far too diverse morphologically to be just a single animal type (i.e. it has probably been 'created' by the erroneous lumping together of sightings of otters, big eels and other types of large fish, water birds, and occasional seals, as well as some unusual wave formations and misidentified boats – plus, conceivably, even a genuine cryptozoological creature). Ditto for the great sea serpent, the East African Nandi bear, North America's modern-day thunderbirds, and Britain's mystery cats.
A montage of Nessie morphologies, based upon differing eyewitness descriptions (© Richard Svensson) A quarter of a century has passed since the last cryptozoological quest in search of a solution to the riddle of the migo took place. Perhaps, therefore, it is time now for another one, to determine unequivocally just what does lurk in Lake Dakataua, and to release for full public and scientific scrutiny more than just a single brief, blurry segment of film footage as evidence?
I wish to dedicate this article to the late Prof. Roy P. Mackal, whose longstanding friendship, encouragement, and shared interest in cryptozoology will always mean so much to me, including his kindness in writing a magnificent foreword to my 1995 book In Search Of Prehistoric Survivors, which was reprinted in its greatly-expanded, fully-updated successor, Still In Search Of Prehistoric Survivors(2016).
My two books investigating the possible existence of prehistoric survivors (© Dr Karl Shuker/Blandford Press/Coachwhip Publications)
December 17, 2020
WHATEVER HAPPENED TO THE MIGO? REVISITING THE MONSTER OF LAKE DAKATAUA. Part 1: IN SEARCH OF PREHISTORIC SURVIVORS?
Model of the zeuglodontine archaeocete Basilosaurus (© Markus Bühler) For a short time during the mid-1990s, a mysterious freshwater beast said to inhabit a lowland lake on the island of New Britain, north of New Guinea, was making waves in both the literal and the literary sense. Known mostly as the migo (but see later for a multitude of other monikers), it hit media headlines worldwide, featuring in numerous reports and articles globally, due to some very intriguing film footage that had lately been obtained by two Japanese expeditions, which was claimed to show this mystifying, unidentified creature swimming in Lake Dakataua.
But then, just as suddenly as it had raised its hitherto cryptic head above the water surface, the migo abruptly vanished from the news, never to be heard of again, except for a very occasional mention here and there in cryptozoological circles.
Map of Papua New Guinea. including the island of New Britain (arrowed) (© NordNordWest/Wikipedia –
CC BY-SA 3.0 licence
) Consequently, it is high time, surely, to resurrect this long-forgotten mystery beast, reviewing its very convoluted, controversial history in the present two-part ShukerNature article. Indeed, as far as I am aware, this article constitutes the most extensive coverage of the migo published since the 1990s.
The migo first attracted notable attention beyond its island homeland on 1 February 1972, when a Japanese newspaper entitled the Mainichi Daily News reported a strange water monster known locally by this name, which supposedly inhabited Lake Dakataua (aka Lake Niugini in some reports), a caldera lake in the western portion of New Britain. At approximately 320 miles long, New Britain is the largest island in the Bismarck Archipelago, situated off the northeastern coast of Papua New Guinea (PNG), which is the country occupying the eastern half of the island of New Guinea, and to whom the Bismarck Archipelago belongs. The lake has a diameter of 1400 ft, has a maximum depth of roughly 400 ft, and contains a submerged volcano plus three small islands.
Map of New Britain, with Lake Dakataua arrowed (© Kelisi/Wikipedia –
CC BY-SA 3.0 licence
) According to Shohei Shirai, at that time the head of the Pacific Ocean Resources Research Institute, who was quoted in that newspaper report, the migo was similar in appearance to a mosasaur. This is the name given to a taxonomic superfamily of sometimes very large prehistoric lizards (the biggest species was up to 56 ft long) that were closely related to today's monitor lizards or varanids. However, they were exclusively aquatic in lifestyle, equipped with flippers and a laterally-compressed tail, the latter being portrayed with a fin in some restorations. Other than Mosasaurusitself, the most famous and frequently depicted mosasaur was North America's very impressive Tylosaurus, whose largest species is believed to have attained a total length of up to 46 ft.
Although mosasaurs are traditionally assumed to have been wholly marine in lifestyle, one exclusively freshwater species is now known – Pannoniasaurus inexpectatus, which was formally named and described in 2012 from fossilized remains found in what is today Hungary. According to the current fossil record, the mosasaurs had all become extinct by the end of the Cretaceous Period, around 66-65 million years ago, along with the last dinosaurs, plesiosaurs, and pterosaurs.
Modern-day reconstruction of the North American mosasaur Tylosaurus (public domain) In January 1994 (not 1993, as sometimes erroneously claimed online), after arriving in PNG during the rainy season a crew from a Japanese TV production company named the Stream Company, and headed by Nadaka Tetsuo, journeyed on to New Britain and thence to Lake Dakataua in the hope of encountering the migo. Moreover, after setting up cameras around this lake, they actually succeeded in filming what they deemed to be its enigmatic denizen, which was duly included in a TV documentary programme subsequently screened on Japanese TV. Yet with the internet still in its infancy back then, so that sharing film footage, TV shows, etc, online was by no means a common occurrence, and with no excerpts from it shown on UK TV at that time either, it didn't seem likely that I'd manage to view this programme.
Happily, however, fellow cryptozoologist Jon Downes of the CFZ had recently received a 1st-generation copy video of it from a Japanese correspondent, Tokuharu Takabayashi, and kindly prepared from it a 2nd-generation copy video that he then sent to me for my own personal viewing. Below is an abridged version of the lengthy descriptive account that I wrote after viewing the documentary.
Might the migo be a living mosasaur? (© Dr Karl Shuker) After arriving at Lake Dakataua, the Japanese TV crew met the chief of a village near to the lake, and on the third day of their visit they interviewed some local eyewitnesses, sailed on the lake, and obtained footage of what they claimed to be the migo. They also attempted vainly to lure the migo using dead chickens, and lowered a cage and sound-recording equipment into the water, In addition, they sent divers into the lake and nearby sea, as it was suggested that the horseshoe-shaped Dakataua might be connected to the nearby sea via underwater channels.
Comments were exchanged on-screen with Prof. Roy P. Mackal, an eminent Chicago University biologist with a longstanding interest in cryptozoology, who had accompanied the TV crew to Lake Dakataua and had served as the documentary's scientific advisor. Roy had previously led various expeditions of his own in search of aquatic mystery beasts around the world, and he regularly corresponded with me via letters and telephone calls concerning a wide range of cryptozoological subjects.
Prof. Roy P. Mackal (© Prof. Roy P. Mackal) Roy mentioned to me in one such letter that although he had advised against doing so, Shirai's mooted mosasaur identity was promoted throughout the documentary by its makers. However, their cause was not assisted by a woefully inadequate computer-animated model with an inflexible body.
Excluding some footage of a blurred hump, what initially appeared to be the actual migo footage obtained by the Japanese TV crew consisted of two sections. The longer of these, lasting approximately 5 minutes and shot at a distance of about 1200 yards according to Roy, showed what Roy referred to in the documentary as three different body portions of a very long, large animal, travelling through the water from right to left across the screen. There was an indistinct head, staying out of the water throughout the footage, Behind this was a smaller portion that could have been a neck. Further back, maintaining a constant distance from the 'neck', was a large flattened hump that seemed to be propelling the 'head' and 'neck'. Every few moments, the hump submerged, then swiftly bobbed back up, seeming to show that the creature was propelling itself via vertical undulations – a mode of progression normally exhibited by mammals, not by reptiles or fishes. There were some close-ups, which seemed to show that the dorsal surface of the hump was serrated, but this may have been an optical illusion.
Sketch of a frame from the above-described documentary footage showing a migo (© Lisa Peach/CFZ) Earlier in the documentary, there were a few seconds of footage that on first sight seemed much more impressive. When I forwarded it frame by frame, it revealed what appeared to be a section of the body rapidly emerging from the water in a vertical upsurge and bearing two slender projections resembling dorsal fins or spines, before submerging again – followed immediately by the vertical emergence of what may have been a tail, bearing two horizontal, whale-like flukes. Unfortunately, however, and as confessed very sincerely and apologetically by Jon himself, due to what he subsequently referred to as the extremely primitive nature of the only video-copying equipment that he had been able to access at that time the quality of the 2nd-generation copy video of the documentary that I had received from him was extremely poor ("somewhat akin in quality to one of the 'bootleg' copies of Disney movies which one can purchase at car boot sales" is how he subsequently described it). Jon also stated: "It appears that my equipment even managed to miss out bits of the documentary".
Due to this lack of visual clarity and continuity, I had not realized that those above-noted few seconds of footage earlier in the documentary had apparently been filmed by the TV crew not at Lake Dakataua, but instead at sea while approaching New Britain in a boat, and actually showed some dolphins partially surfacing near to the boat. Happily, this was readily discernible in the better-quality 1st-generation copy video that Jon had received from Japan and I was swiftly informed accordingly, thereby saving me from wasting much time contemplating this particular section of footage.
Scan of the very first migo-related letter received by me from Prof. Roy P. Mackal, dated 16 February 1994, in which he documented his initial thoughts concerning the migo (aka migaua) following his recent return home to the USA from the Japanese expedition to Lake Dakataua in January 1994 - please click pages to enlarge for reading purposes (© Dr Karl Shuker/Prof. Roy P. Mackal)Following his return in mid-February 1994 to the USA from New Britain, Roy corresponded with me in depth concerning the migo, via a series of letters beginning with one dated 16 February 1994 (and reproduced in full above for the very first time anywhere) that I have retained on file (and in which he always referred to it as it the migaua) as well as via a number of telephone conversations. He stated that it was about 33 ft long (an estimate that he subsequently revised upward to 50 ft – see later) and travelled at a speed of 4 knots.
Initially ruling out a crocodile or a fish identity, being influenced by its apparent locomotion via vertical undulations, he postulated that it was an evolved, surviving archaeocete. In other words, Roy was suggesting that the migo may be a member of a primitive taxonomic group of cetaceans (whales), the archaeocetes, but one that had not become extinct at least 25 million years ago as indicated by the current fossil record for these creatures, but had instead survived to the present day and in so doing had therefore undergone 25 million years or more of continued evolution, which may conceivably have rendered their bodies more flexible than those of their fossil antecedents.
Modern-day life restoration of Basilosaurus cetoides (© Dmitry Bogdanov/Wikipedia –
CC BY 3.0 licence
) Archaeocetes include the very elongate zeuglodontines, such as the famously huge Basilosaurus, which officially died out just under 40 million years ago. One species, B. cetoides, is believed to have reached a total length of almost 70 ft. Zeuglodontines may have been able to undulate vertically, although the current palaeontological consensus is that those known from the fossil record were far less capable of such movements than had traditionally been believed and depicted in early illustrations.
Judging from their dentition, zeuglodontines were carnivorous (as opposed to planktonivorous, like certain very large present-day cetaceans). However, during an limnological investigation of Lake Dakataua during October-November 1974 (whose findings were published in February 1980 by the scientific journal Freshwater Biology), PNG-based wildlife biologists E.E. Ball and J. Glucksman discovered that its waters were very alkaline, and that although it contained an abundance of invertebrates in its upper levels, as well as amphibians, it did not contain any fishes. So if, in view of its seemingly elongated body, the migo is indeed a zeuglodontine archaeocete, what does it feed upon?
Another restoration of Basilosaurus (© Tim Morris) As Roy disclosed, the answer is simple: namely, the abundance of waterfowl that settle upon the lake's surface, their presence there also having been confirmed by Ball and Glucksman in their 1974 study. The need to remain near the surface in order to seize these birds presumably explains why the migo is seen more often (and filmed more easily!) than other supposed lake monsters, which seemingly feed predominantly upon fishes and therefore do not break the water surface so frequently.
According to the afore-mentioned Tokuharu Takabayashi, Lake Dakataua was visited in October 1978 by Japanese cryptozoologist Toshikazu Saitoh, who learned from natives in the nearby village of Blumuri that the lake monster was known to them variously as the massali, masalai, and mussali (all three names translating as 'spirits'). It was first seen during the summer of 1971 by five eyewitnesses, who said that it was about 30 ft long, and had a relatively small head with long pointed jaws, like a crocodile's, containing many sharp teeth; plus a long neck, a burly but streamlined body, a slender crocodilian tail, and two pairs of flippers (the front pair noticeably larger than the hind pair) that resembled those of a marine turtle.
Hairy migo (aka mussali or massali) based upon 5 eyewitness accounts, 1971 (© Toshikazu Saitoh/CFZ – reproduced here on a strictly non-commercial Fair Use basis for educational/review purposes only) The image conjured forth when all of these morphological features are combined actually recalls a mosasaur, as favoured by the Japanese team, rather than the zeuglodontine identity favoured by Roy, especially as zeuglodontines possessed only vestigial, scarcely-visible external hind limbs, their tail was not crocodilian, and their neck was not long. However, there is one further migo feature still to be mentioned here, which throws all attempts at identifying this mystery beast into total confusion. According to the five eyewitnesses from summer 1971 noted above, the creature that they saw was covered in short black hair!
Mosasaurs were true lizards and were covered in scales, as verified by several well-preserved fossil specimens. Even allowing for the effects of continued evolution, it is exceedingly unlikely that a modern-day mosasaur lineage would have evolved a hairy pelage. The same applies to a contemporary zeuglodontine, whose streamlined body's hydrodynamic efficiency would surely be impeded by a covering of hair.
As shown here, mosasaurs were scaly, not hairy (© Markus Bühler) Returning to the migo's variety of local names, the usage of 'massali' and similar terms in preference to 'migo' by the Blumuri villagers could be dismissed as mere differences in dialect, were it not for the comments of yet another Japanese visitor to Lake Dakataua – namely, the explorer/writer Atsuo Tanaka, who stayed at Blumuri in September 1983. Confirming to Tokuharu Takabayashi that the villagers' names for the lake's monster were 'massali' and also 'rui', he asserted that 'migo' was actually the native name for a 3-ft-long species of monitor lizard! He also claimed that many of the villagers did not believe that anyone had seen a monster here, or even that it existed.
After personally observing some 6-10-ft-long crocodiles in Lake Dakataua, Atsuo Tanaka's own opinion was that any 'monster' sightings that may have been made there were of a dugong or a crocodile (perhaps even an unknown species of the latter reptile, but more probably either the New Guinea crocodile Crocodylus novaeguineae or the larger saltwater aka Indopacific crocodile C. porosus).
New Guinea crocodile Crocodylus novaeguineae (© Wilfried Berns/Wikipedia –
CC BY-SA 2.0 licence
) Incidentally, a third identity proffered for the migo that just like a surviving mosasaur or a living archaeocete invoked a prehistoric survivor but which attracted far less public attention was inspired by a giant Mesozoic crocodilian related to today's alligators. Formerly called Phobosuchusbut nowadays known as Deinosuchus, it is currently represented by four fossil species, and an undiscovered modern-day descendant of this formidable reptile was suggested in relation to the migo by mystery investigators Edward Young and Ronald Rosenblatt in a short Fortean Times magazine article (December 1994/October 1995) reviewing cryptozoological creatures reported from, and recent mainstream zoological discoveries made in, New Guinea and its outlying islands.
Known from the fossil record to have existed 82-73 million years ago during the Upper Cretaceous, Deinosuchus is believed to have attained a truly monstrous total length of up to 40 ft (i.e. twice that of today's largest known crocodilians). Consequently, in terms of size it may indeed match or come close to the lengths attributed to the migo.
Life restoration of Deinosuchus rugosus, known from fossils found in North Carolina (© Andrey Atuchin/Wikipedia –
CC BY-SA 4.0 licence
) Yet as with the mosasaur and, to a lesser extent, the archaeocete identities, the likelihood is not great that a modern-day Deinosuchuslineage exists not only undescribed by science but also unrepresented by any fossilized remains that even partially bridge the gap of many millions of years between itself and its most recent confirmed prehistoric precursors. In addition, Deinosuchus fossils are presently known only from North America, not from New Guinea or indeed anywhere else in the world.
Returning to Tanaka's opinion that the migo sightings at Lake Dakataua may feature some form of recognised modern-day crocodile, such a situation if correct would be far from unprecedented – as will be revealed in Part 2 of this ShukerNature article, coming soon, in which I shall explore in depth the fascinating crocodilian conundrum at the very heart of this truly monstrous mystery. Don't miss it!
Life restoration of Deinosuchus riograndensis, known from fossils found in Texas (© Sphenaphinae/Wikipedia –
CC BY-SA 4.0 licence
)
Karl Shuker's Blog
- Karl Shuker's profile
- 45 followers

