Nathaniel Sewell's Blog, page 19
December 14, 2017
#Free – 5th&Hope – for limited time, now on Amazon.com
”This is a brilliant book. I was so engrossed in the story that I literally forgot the time. Bobby was haunted by his past demons and he was fighting to get rid of them. Going to the places that his grandfather frequented was a cleanser for him. He felt connected and that made him appear more human and believable. I thoroughly enjoyed this novel and I definitely know that I will be reaching for it again soon.” – by Rabia Tanveer.
#
“5th&Hope by Nathaniel Sewell is a lovely story, one of discovery and enlightenment. Mr. Sewell is an amazing writer and has produced a story that will leave you breathless with excitement, with wonder, and with self-discovery. The book is written in the first-person and you can’t help but be drawn into Bobby’s world. The tale is expertly told and takes on a wonderful and sometimes haunting journey. The descriptions are vivid, and the characters are woven into the fabric of the story, bringing a whole new world to life. I guarantee that no reader will want to put this book down and, when it’s over, you will start to rethink your own life, your own story, and wonder about your own roots. This is perhaps a journey that all of us must make at some time in our lives, and I think that the way Mr. Sewell has told this story will help us all to do that.” – by Anne-Marie Reynolds for Readers’ Favorite.
#
“The past haunts the living, even if they don’t know it. Discovering the truth of your roots can help even the most stubborn and detached man understand themselves a little better. Written in the first person narrative, 5th&Hope follows a journey of discovery, loss, hope, understanding, faith, and kinship. Nathaniel Sewell’s writing has a very authentic feel, enough to make you consider this a real pilgrimage, and with intricate descriptions that bring life to even the most everyday scenes, you’ll quickly find yourself walking beside the characters. An injection of humour adds a little spice and a diverse array of characters will capture your heart and attention. A great plot, inspiring in parts, and certainly an enjoyable read.” – By K.J. Simmill
#
“The story is told in the first person and the reader is irresistibly drawn into the world of the protagonist, a man who sounds like a loner, barely connected with others. From the very beginning, the reader gets the strong feeling that Bobby could be inwardly troubled, a man who doesn’t want to confront his past, and who has been running from it for a long time. But the death of his mother compels him to make the journey that could reconcile him to himself. Readers will enjoy the relationship between Bobby and his sister. About his sister, he says: “I wasn’t sure what love meant, but I had a vague notion because of her and our maternal grandparents.” 5th&Hope is well-written and readers will love the author’s handling of the setting and the vivid images he feeds into the minds of readers. Nathaniel Sewell is a great storyteller and I loved his characters and his ability to keep the reader gripped by the plot. A very delightful read!” – by Ruffina Oserio
December 10, 2017
November 28, 2017
Another 5 Star Review – forthcoming novel, 5th&Hope
Reviewed By Anne-Marie Reynolds for Readers’ Favorite
5th&Hope by Nathaniel Sewell tells Bobby’s story. Bobby hasn’t seen his mother in years, but when his sister calls, he learns of her death and realizes that he needs to go back; he needs to revisit his memories in his old home. His wife accompanies him on the trip and when she finds diaries written by Bobby’s grandfather, at first, he doesn’t want to read them. Curiosity prevails though and, the more he reads of his grandfather’s life the more he wants to learn. Something is hovering, a secret that perhaps should be left hidden, but Bobby needs to know the truth. And so he sets off. He follows Route 66, looking for a way to put the demons to rest. Bobby needs to go back to his roots and find out exactly who he is while discovering his grandfather’s colorful life.
5th&Hope by Nathaniel Sewell is a lovely story, one of discovery and enlightenment. Mr. Sewell is an amazing writer and has produced a story that will leave you breathless with excitement, with wonder, and with self-discovery. The book is written in the first-person and you can’t help but be drawn into Bobby’s world. The tale is expertly told and takes on a wonderful and sometimes haunting journey. The descriptions are vivid, and the characters are woven into the fabric of the story, bringing a whole new world to life. I guarantee that no reader will want to put this book down and, when it’s over, you will start to rethink your own life, your own story, and wonder about your own roots. This is perhaps a journey that all of us must make at some time in our lives, and I think that the way Mr. Sewell has told this story will help us all to do that.
November 25, 2017
5 Star Review – forthcoming novel, 5th&Hope
Reviewed By K.J. Simmill for Readers’ Favorite
A single phone call was all it took to start the wheels of change turning for Bobby. It was a beautiful day when his sister rang to tell him about his mother’s death. The news itself had not been unexpected, but what he would take from it certainly was. Within their old house Rebecca, Bobby’s wife, discovered some old diaries belonging to his grandfather. He wanted to let the dead rest, but his wife had other ideas. She was determined it was time for him to learn who his grandfather really was, and with the detail left in his diaries, walking in his footprints couldn’t be easier. These books were living history, and the lives within, the stories, and the paths they unlocked would change Bobby’s own life in ways he had never imagined. Join Bobby on this journey of discovery in Nathaniel Sewell’s 5th&Hope.
The past haunts the living, even if they don’t know it. Discovering the truth of your roots can help even the most stubborn and detached man understand themselves a little better. Written in the first person narrative, 5th&Hope follows a journey of discovery, loss, hope, understanding, faith, and kinship. Nathaniel Sewell’s writing has a very authentic feel, enough to make you consider this a real pilgrimage, and with intricate descriptions that bring life to even the most everyday scenes, you’ll quickly find yourself walking beside the characters. An injection of humour adds a little spice and a diverse array of characters will capture your heart and attention. A great plot, inspiring in parts, and certainly an enjoyable read.
November 19, 2017
5 Star Book Reviews – Forthcoming novel, 5th&Hope
Reviewed By Rabia Tanveer for Readers’ Favorite
5th&Hope by Nathaniel Sewell is a beautiful novel of self discovery, appreciating your roots, and learning that the past can always surprise you. Sometimes novels have the ability to move you beyond words, and Nathaniel Sewell’s writing style and his storytelling have done that for me. I loved the character development and I loved the way the plot flowed so smoothly.
The story follows Bobby, a man who goes back to Kentucky to bury his mother. Even though it had been years since he last saw his mother, the death still hit him hard. Going back to the place where he only has bad memories is not easy, but he goes anyway. On arriving there, his wife discovers an old diary that belonged to his grandfather. So, Bobby starts reading it and the more he reads, the more he realizes that his grandfather lived a rather colorful life in California during the Depression. Wanting to relive the adventures and moments, he decides to revisit some of his grandfather’s favorite places. He has only one hope from this: chasing his own demons as he chases his grandfather’s life.
This is a brilliant book. I was so engrossed in the story that I literally forgot the time. Bobby was haunted by his past demons and he was fighting to get rid of them. Going to the places that his grandfather frequented was a cleanser for him. He felt connected and that made him appear more human and believable. I thoroughly enjoyed this novel and I definitely know that I will be reaching for it again soon.
#
Reviewed By Ruffina Oserio for Readers’ Favorite
5th&Hope by Nathaniel Sewell is a riveting novel that explores family and social issues, a story about identity and relationships. Bobby has neither seen nor spoken to his mother for decades now. But a phone conversation with his sister has just confirmed the news he has waited for — the death of his mother. Now, he will have to leave his wonderful home in California and make the long journey back to the mountains of Kentucky, a place that holds his early memories. The diaries of his grandfather (discovered by his wife, Rebecca) lure him into an adventure that he never saw coming. Intrigued by his grandfather’s words, and haunted by the need to reconnect with his deepest yearnings, he sets out driving through Route 66, a difficult journey that could well bring him to his roots.
The story is told in the first person and the reader is irresistibly drawn into the world of the protagonist, a man who sounds like a loner, barely connected with others. From the very beginning, the reader gets the strong feeling that Bobby could be inwardly troubled, a man who doesn’t want to confront his past, and who has been running from it for a long time. But the death of his mother compels him to make the journey that could reconcile him to himself. Readers will enjoy the relationship between Bobby and his sister. About his sister, he says: “I wasn’t sure what love meant, but I had a vague notion because of her and our maternal grandparents.” 5th&Hope is well-written and readers will love the author’s handling of the setting and the vivid images he feeds into the minds of readers. Nathaniel Sewell is a great storyteller and I loved his characters and his ability to keep the reader gripped by the plot. A very delightful read!
November 11, 2017
5th&Hope – final book cover and book blurb
It has been decades since Bobby last saw his mother. Now, his sister calls, and he knows before she even speaks—the old woman is finally dead. He’d expected to feel nothing; but death, Bobby knows, has a funny way of surprising you. Now, after all these years, he leaves California’s sunny cliffsides behind and heads back to the blue mountains of Kentucky, where his buried memories lie hidden among the dogwoods.
When Bobby’s wife Rebecca first finds his grandfather’s diaries in the dusty rooms of their family home, Bobby is hesitant—he’s learned the hard way to let the dead rest. But as Bobby reads more about his grandfather’s life in California during the depression, the more excited he becomes. The old man’s words seem to hide some quiet, essential truth and, without really knowing why, Bobby finds himself driving Route 66 in his beloved 1929 Pearce Arrow, hoping to find in the Californian haunts of his grandfather’s past something to chase away his own lingering demons.
But the road ahead is long and winding, and the forests of home are never as far away as they seem. The Appalachian looms on the horizon, and Bobby will learn that, sometimes, finding the truth means following your roots.
#
November 8, 2017
5th&Hope – book blurb
It has been decades since Bobby last saw his mother. Now, his sister calls, and he knows before she even speaks—the old woman is finally dead. He’d expected to feel nothing; but death, Bobby knows, has a funny way of surprising you. Now, after all these years, he leaves California’s sunny cliffsides behind and heads back to the blue mountains of Kentucky, where his buried memories lie hidden among the dogwoods.
When Bobby’s wife Rebecca first finds his grandfather’s diaries in the dusty rooms of their family home, Bobby is hesitant—he’s learned the hard way to let the dead rest. But as Bobby reads more about his grandfather’s life in California during the depression, the more excited he becomes. The old man’s words seem to hide some quiet, essential truth and, without really knowing why, Bobby finds himself driving Route 66 in his beloved 1929 Pearce Arrow, hoping to find in the Californian haunts of his grandfather’s past something to chase away his own lingering demons.
But the road ahead is long and winding, and the forests of home are never as far away as they seem. The Appalachian looms on the horizon, and Bobby will learn that, sometimes, finding the truth means following your roots.
###
Coming Soon – January 2018
November 5, 2017
5th&Hope – book cover
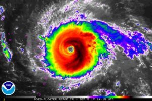
September 17, 2017
After Irma – St. Petersburg, Florida
“The House was built on the highest part of the narrow tongue of land between the harbor and the open sea. It had lasted through three hurricanes and was built solid as a ship.” By Ernest Hemingway – the opening sentences from the novel, Islands in the Stream.
If you find me in a library or book store, you’ll find me reading the opening sentences from novels. It’s sort of a passion I have for the writing craft. I rarely quote anyone, I think you should share your own stuff, but I have a strong affection for the above quote from Ernest Hemingway.
Let me explain…
Today, I am thankful. I am safe.
If you live alone in Florida, like I do, the pre-hurricane process to prepare can eat up all your waking time. Life by definition is full of stress, it’s about the unknown, but this was a constant community stress that had blanketed the rich, and the not so rich.
It had been over a decade since a hurricane had made a direct hit on Florida, most people around me at the grocery store had not a clue what to expect. My clients from my daytime efforts had all scattered to prepare for the same naturally occurring event.
The naturally occurring event was a hurricane the weather service had named, Irma.
Upon her arrival late last Sunday night, I had noted from my relative safety within my solid-as-a-ship building, built at a high-point, she was not a happy girl. I suspected she was a heavy seawater drinker given her hippy satellite appearance, and wobbly gate. But that was from my memory, as the power was out, and I had watched, and sensed her pass by me in total darkness. Alone.
And like a bad relationship, I had no idea where she’d head next, but she made a big mess, broke some hearts, and quickly left town.
Not long ago, I had watched in horror from afar as my former home, Houston and that part of Texas, got hit by that sumo wrestler like hurricane named Harvey, which had slowly smothered the region with wind and rain.
I have lived through many other storms, both personal and naturally occurring. I have a resilient nature, and I’ll just nod or shrug this off and keep moving forward.
After a week without power, it was mercifully reignited, and I was again bathed in air-conditioning, and a hot shower. To state the obvious, I am soft, as in wimpy. I have zero to complain about – ever.
As I strolled about downtown St. Petersburg late this afternoon, a week after Irma had come and gone, it was a resplendent day. The sun had cast a sunshine blanket, it was quite warm. The restaurants and bars had reopened, the Bucs had a game, and groups of people appeared on the downtown streets.
The dark bay waters were calm as I strolled past the debris clumps left in the nearby front yards after the clean-up.
As I watched the other joggers and bikers along our shared concrete path, I stopped and I gazed back across the bay at the passing boats and packs of dolphins. It was as if a surreal foggy experience had occurred, and now all with this part of the world had gotten back right with the Lord.
I’ll admit something, I argue with God.
Or, I argue with a deep-rooted concept in my mind that I don’t understand.
It comes from my suspicion that we human kind, me included, put God, or what we define as God, in our own convenient boxes.
If God exists, we cannot collectively or individually put God in ANY man-made box.
The one thing I do know, hurricanes mark time, consider that idea – something or someone had actually marked time. The one universal constant – time.
At the end of Islands in the Stream, the Thomas Hudson character had been mortally wounded, he’s about to die. Hemingway wrote a scene that I love. It’s so simple, yet, not. The last dialogue speaks for itself.
“I think I understand, Willie,” Thomas Hudson said.
“Oh shit,” Willie said. “You never understand anybody that loves you.”
NS
September 1, 2017
America’s Spine – this time found in Houston, Texas
A mere 5 months ago I was living in Houston, Texas.
If I were still there, I would have likely lost just about all of my material possessions.
But worldly possessions, for the most part, can be replaced.
And it reminds me how important it is to appreciate the simple things, to be thankful for my health.
It reminds me, it teaches me, how fragile life can be.
If you ever wonder where to find America’s spine, take a look at these attached images.
These are images of Americans being Americans. They were born from the same American spirit found after 9/11, or Katrina, or the next disaster. They are not seeking fame or fortune, they are not trying to create conflict.
They are the silent people, they are the majority, they are America’s spine.
And as expected, Jim “Matress Mack” McInvale opened Gallery Furniture for those displaced by Harvey.
As the cliché’ – if the shoe were on the other foot, I know they’d have my back. The least I can do is share my voice, and share my financial resources.
I donated to JJ Watt’s relief fund – but there are several others that I trust will put the money to work.
Even a modest donation, $1, helps if everyone comes together.
NS


